
Paganinistraat 17 is gelegen in de plaats Drunen, de gemeente Heusden en de provincie Noord-Brabant. Het perceel waarop het verblijfsobject staat is 1209 m² groot. De oppervlakte van het adres is 106 m², wat zich rond het Nederlandse gemiddelde van 119 m² bevindt. Dit is het adres met de grootste oppervlakte van alle adressen in de straat. Gemiddeld hebben de objecten in de straat een oppervlakte van 106 m². De kleinste oppervlakte is er 106 m². De gemiddelde bouwperiode van gebouwen in Nederland ligt tussen de jaren 1965-1984. Dat geldt ook voor het bouwjaar van Paganinistraat 17: het is gebouwd in het jaar 1969. In de straat is dit het nieuwste pand en stamt het oudste object uit het jaar 1969. Het gemiddelde bouwjaar in de straat is 1969. Het verblijfsobject heeft de volgende gebruiksdoelen: 'woonfunctie'.
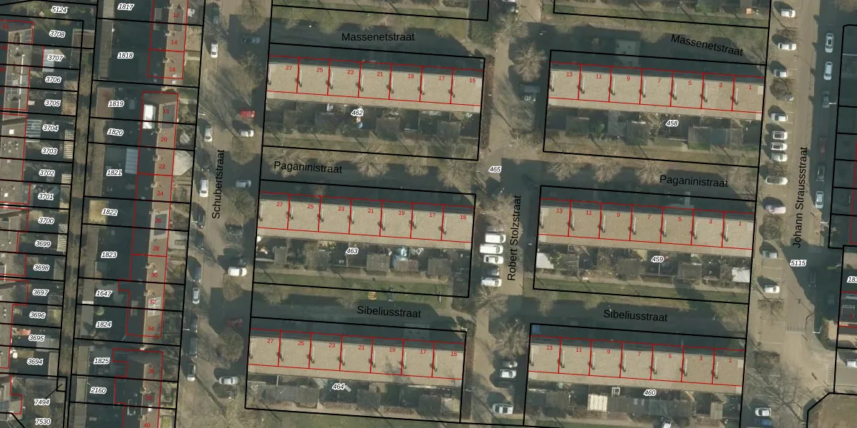
Het adres ligt op het perceel DNN00-L-463, dat zich in de kadastrale gemeente Drunen bevindt. Het perceel is kleiner dan gemiddeld in Drunen. Het perceel is 1209 m² groot, terwijl het gemiddelde ligt op 3020,28 m². Het kleinste perceel in de kadastrale gemeente is 0 m² groot. De grootste perceeloppervlakte is 1,92 km². Op het perceel zijn 7 adressen aanwezig. De laatste wijziging in het de Basisregistratie Kadaster (BRK) was op 14-03-2007.
Het adres ligt in een gebouw van het type 'rijwoning tussen'. Bij de laatste meting is voor het adres het energielabel A geregistreerd. Het hoogste energielabel in de straat is A; het laagste is G. Het gemiddelde energielabel is er A. Het adres Paganinistraat 17 heeft als status: 'verblijfsobject in gebruik'. Het pand waarin dit adres ligt heeft als status: 'pand in gebruik'.
Paganinistraat 17 is een adres gelegen in de gemeente Heusden, provincie Noord-Brabant. Dit adres is geregistreerd in de Basisregistratie Adressen en Gebouwen (BAG) met als unieke identificatie 0797010000003035.
Het pand op Paganinistraat 17 is gebouwd in 1969, wat betekent dat het 57 jaar oud is. Dit is een ouder pand. Het pand heeft mogelijk aanzienlijke renovaties nodig om aan de huidige standaarden te voldoen.
De woning op Paganinistraat 17 heeft een gebruiksoppervlakte van 106 m². Dit is onder het gemiddelde vergeleken met de gemiddelde Nederlandse woning, die een oppervlakte heeft van ongeveer 119 m². De gebruiksoppervlakte is de maat die wordt gebruikt in de BAG-registratie, de landelijke registratie van de Nederlandse overheid.
Paganinistraat 17 heeft als functie: wonen. Deze gebruiksfunctie(s) zijn vastgelegd in de BAG-registratie en geven aan waarvoor het adres officieel mag worden gebruikt.
Paganinistraat 17 is gelegen op kadastraal perceel DNN00L463. Deze kadastrale aanduiding is uniek en wordt gebruikt door het Kadaster om eigendomsrechten en andere zakelijke rechten vast te leggen. Het perceel maakt onderdeel uit van de kadastrale gemeente Drunen.
Het perceel waarop Paganinistraat 17 staat heeft een oppervlakte van 1209 m². Dit is een zeer groot perceel. De perceeloppervlakte wordt geregistreerd door het Kadaster. Gedetailleerde informatie over de maten van dit perceel kunt u vinden in het rapport Kadastrale kaart met maatvoering van Paganinistraat 17.
De eigenaar van Paganinistraat 17 is op te vragen op deze pagina.
De informatie over dit adres is afkomstig uit officiële overheidsregistraties, voornamelijk de Basisregistratie Adressen en Gebouwen (BAG) en de Basisregistratie Kadaster (BRK). Deze gegevens worden beheerd door respectievelijk gemeenten en het Kadaster, en worden regelmatig bijgewerkt. Energielabelgegevens komen uit de database van de Rijksdienst voor Ondernemend Nederland (RVO).
