
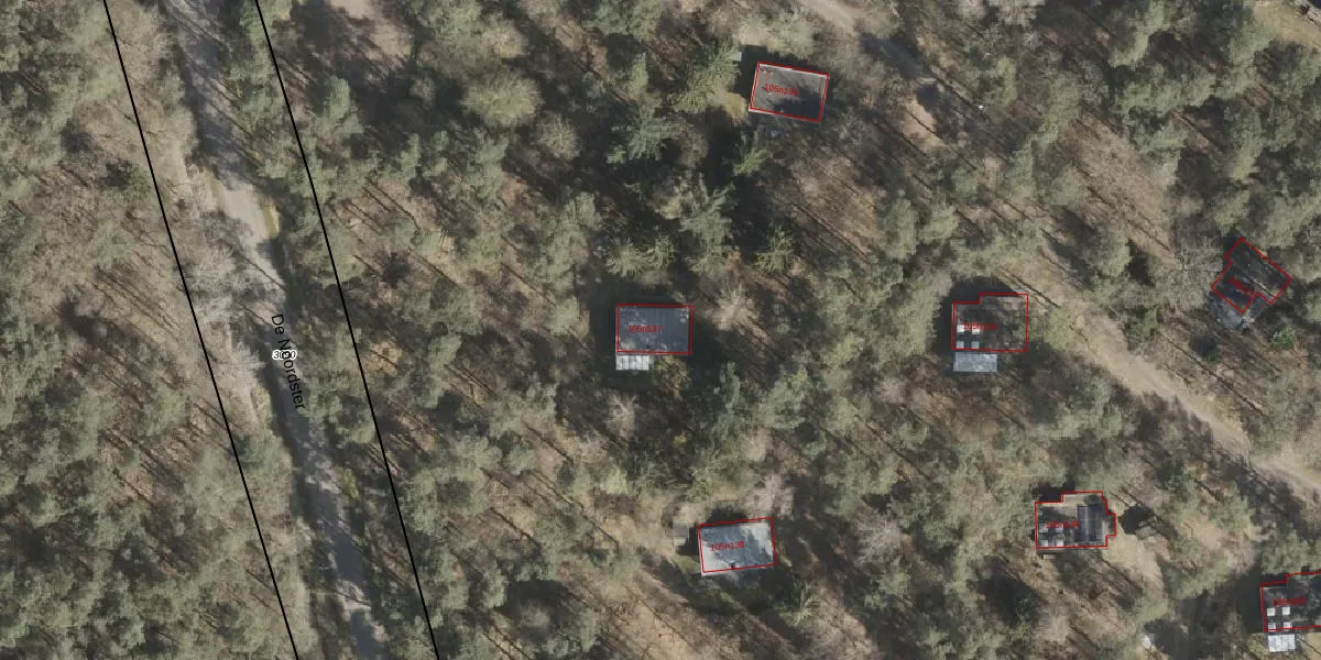
Het adres De Noordster 105-n137 bevindt zich in de plaats Dwingeloo, in de gemeente Dwingeloo en de provincie Drenthe. Het perceel waarop het verblijfsobject staat is 27,4 ha groot. De oppervlakte van het adres is 113 m², wat zich rond het Nederlandse gemiddelde van 119 m² bevindt. De oppervlakte van dit adres is groot vergeleken met de oppervlaktes van andere adressen in de straat. De kleinste oppervlakte bedraagt er 37 m², de grootste 279 m². Het gebouw waarin De Noordster 105-n137 ligt komt uit het jaar 1959. Objecten die gebouwd zijn vóór 1965 classificeren we hier als oud. Dit is het oudste object in de straat. Het nieuwste pand komt uit 2015 en het gemiddelde bouwjaar in de straat is 1962. Het verblijfsobject heeft de volgende gebruiksdoelen: 'logiesfunctie'.
Het adres ligt op het perceel DGL00-G-3077, dat zich in de kadastrale gemeente Dwingeloo bevindt. De gemiddelde perceeloppervlakte in de kadastrale gemeente Dwingeloo is 1,5 ha. Dit perceel is met zijn 27,4 ha dus groter dan gemiddeld. Het kleinste perceel in de kadastrale gemeente is 1 m² groot. De grootste perceeloppervlakte is 2,60 km². Op het perceel zijn 61 adressen aanwezig. In de Basisregistratie Kadaster (BRK) werden de grenzen van het perceel geregistreerd op 13-02-2020.
Er is geen energielabel geregistreerd voor het adres. Het hoogste energielabel in de straat is B; het laagste is G. Het gemiddelde energielabel is er E. Het adres De Noordster 105-n137 heeft als status: 'verblijfsobject in gebruik'. Het pand waarin dit adres ligt heeft als status: 'pand in gebruik'.
De Noordster 105-n137 is een adres gelegen in de gemeente Westerveld, provincie Drenthe. Dit adres is geregistreerd in de Basisregistratie Adressen en Gebouwen (BAG) met als unieke identificatie 1701010000219717.
Het pand op De Noordster 105-n137 is gebouwd in 1959, wat betekent dat het 67 jaar oud is. Dit is een ouder pand. Het pand heeft mogelijk aanzienlijke renovaties nodig om aan de huidige standaarden te voldoen.
De woning op De Noordster 105-n137 heeft een gebruiksoppervlakte van 113 m². Dit is onder het gemiddelde vergeleken met de gemiddelde Nederlandse woning, die een oppervlakte heeft van ongeveer 119 m². De gebruiksoppervlakte is de maat die wordt gebruikt in de BAG-registratie, de landelijke registratie van de Nederlandse overheid.
De Noordster 105-n137 heeft als functie: logies/verblijf. Deze gebruiksfunctie(s) zijn vastgelegd in de BAG-registratie en geven aan waarvoor het adres officieel mag worden gebruikt.
De Noordster 105-n137 is gelegen op kadastraal perceel DGL00G3077. Deze kadastrale aanduiding is uniek en wordt gebruikt door het Kadaster om eigendomsrechten en andere zakelijke rechten vast te leggen. Het perceel maakt onderdeel uit van de kadastrale gemeente Dwingeloo.
Het perceel waarop De Noordster 105-n137 staat heeft een oppervlakte van 27,4 ha. Dit is een zeer groot perceel. De perceeloppervlakte wordt geregistreerd door het Kadaster. Gedetailleerde informatie over de maten van dit perceel kunt u vinden in het rapport Kadastrale kaart met maatvoering van De Noordster 105-n137.
De eigenaar van De Noordster 105-n137 is op te vragen op deze pagina.
De informatie over dit adres is afkomstig uit officiële overheidsregistraties, voornamelijk de Basisregistratie Adressen en Gebouwen (BAG) en de Basisregistratie Kadaster (BRK). Deze gegevens worden beheerd door respectievelijk gemeenten en het Kadaster, en worden regelmatig bijgewerkt. Energielabelgegevens komen uit de database van de Rijksdienst voor Ondernemend Nederland (RVO).
