
Lhee 75 is een adres in Dwingeloo, dat zich bevindt binnen de gemeentegrenzen van Dwingeloo en de grenzen van de provincie Drenthe. De oppervlakte van het verblijfsobject is met 509 m² aan de grote kant. Het perceel heeft een oppervlakte van 2730 m². In vergelijking met de andere adressen in de straat is de oppervlakte van dit object relatief groot. Het grootste verblijfsobject heeft een oppervlakte van 2560 m², de oppervlakte van het kleinste object bedraagt 9 m². Het adres Lhee 75 ligt in een relatief oud pand uit het jaar 1960. Panden van vóór het jaar 1965 hebben we hier geclassificeerd als oud. Dit object is relatief nieuw in de straat. Het nieuwste gebouw komt er uit het jaar 2024 en het oudste uit het jaar 1713. Het verblijfsobject heeft de volgende gebruiksdoelen: 'woonfunctie' en 'winkelfunctie'.
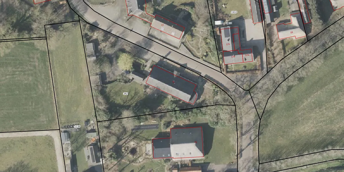
Het perceel waarop het adres ligt is DGL00-M-342. De afkorting 'DGL00' staat voor kadastrale gemeente Dwingeloo. Het perceel is kleiner dan gemiddeld in Dwingeloo. Het perceel is 2730 m² groot, terwijl het gemiddelde ligt op 1,5 ha. De grootste perceeloppervlakte in de kadastrale gemeente is 2,60 km². De kleinste oppervlakte bedraagt 1 m². Op het perceel bevinden zich geen andere adressen. De huidige grenzen van het perceel zijn digitaal in de Basisregistratie Kadaster (BRK) geregistreerd op 05-06-2003.
Er is geen energielabel geregistreerd voor het adres. Het hoogste energielabel in de straat is A++; het laagste is G. Het gemiddelde energielabel is er C. Het adres Lhee 75 heeft als status: 'verblijfsobject in gebruik'. Het pand waarin dit adres ligt heeft als status: 'pand in gebruik'.
Lhee 75 is een adres gelegen in de gemeente Westerveld, provincie Drenthe. Dit adres is geregistreerd in de Basisregistratie Adressen en Gebouwen (BAG) met als unieke identificatie 1701010000225633.
Het pand op Lhee 75 is gebouwd in 1960, wat betekent dat het 66 jaar oud is. Dit is een ouder pand. Het pand heeft mogelijk aanzienlijke renovaties nodig om aan de huidige standaarden te voldoen.
De woning op Lhee 75 heeft een gebruiksoppervlakte van 509 m². Dit is ruim vergeleken met de gemiddelde Nederlandse woning, die een oppervlakte heeft van ongeveer 119 m². De gebruiksoppervlakte is de maat die wordt gebruikt in de BAG-registratie, de landelijke registratie van de Nederlandse overheid.
Lhee 75 heeft als functie: wonen en winkel/handel. Deze gebruiksfunctie(s) zijn vastgelegd in de BAG-registratie en geven aan waarvoor het adres officieel mag worden gebruikt.
Lhee 75 is gelegen op kadastraal perceel DGL00M342. Deze kadastrale aanduiding is uniek en wordt gebruikt door het Kadaster om eigendomsrechten en andere zakelijke rechten vast te leggen. Het perceel maakt onderdeel uit van de kadastrale gemeente Dwingeloo.
Het perceel waarop Lhee 75 staat heeft een oppervlakte van 2730 m². Dit is een zeer groot perceel. De perceeloppervlakte wordt geregistreerd door het Kadaster. Gedetailleerde informatie over de maten van dit perceel kunt u vinden in het rapport Kadastrale kaart met maatvoering van Lhee 75.
De eigenaar van Lhee 75 is op te vragen op deze pagina.
De informatie over dit adres is afkomstig uit officiële overheidsregistraties, voornamelijk de Basisregistratie Adressen en Gebouwen (BAG) en de Basisregistratie Kadaster (BRK). Deze gegevens worden beheerd door respectievelijk gemeenten en het Kadaster, en worden regelmatig bijgewerkt. Energielabelgegevens komen uit de database van de Rijksdienst voor Ondernemend Nederland (RVO).
