
Het adres Leliestraat 55-A bevindt zich in de plaats Echt, in de gemeente Echt en de provincie Limburg. Het verblijfsobject is vergeleken met het Nederlandse gemiddelde aan de kleine kant: de oppervlakte is 13 m². Het perceel waarop het adres zich bevindt heeft een oppervlakte van 1836 m². Het object is klein ten opzichte van de andere adressen in de straat. Het grootste verblijfsobject is 87 m² groot en het kleinste is 9 m². De meeste Nederlandse gebouwen zijn gebouwd in de periode 1965-1984. Zo ook het pand waarin Leliestraat 55-A ligt, dat gebouwd is in 1968. Het nieuwste gebouw in de straat komt uit 1970 en het oudste uit 1900. Dit object is relatief oud. De volgende gebruiksdoelen zijn geregistreerd voor dit adres: 'overige gebruiksfunctie'.
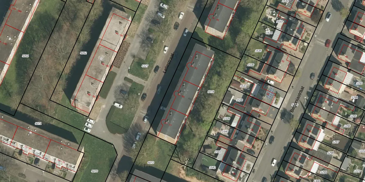
Het perceel waarop het adres ligt is ECH00-K-5074. De afkorting 'ECH00' staat voor kadastrale gemeente Echt. Het perceel is 1836 m² groot. Dat is kleiner dan de gemiddelde perceeloppervlakte in Echt, dat op 4562,67 m² ligt. De grootste perceeloppervlakte in de kadastrale gemeente is 48,7 ha. De kleinste oppervlakte bedraagt 0 m². Op het perceel liggen in totaal 24 adressen. In de Basisregistratie Kadaster (BRK) werden de grenzen van het perceel geregistreerd op 02-11-2011.
Er is geen energielabel geregistreerd voor het adres. Het hoogste energielabel in de straat is A; het laagste is G. Het gemiddelde energielabel is er C. Het adres Leliestraat 55-A heeft als status: 'verblijfsobject in gebruik'. Het pand waarin dit adres ligt heeft als status: 'pand in gebruik'.
Leliestraat 55-A is een adres gelegen in de gemeente Echt-Susteren, provincie Limburg. Dit adres is geregistreerd in de Basisregistratie Adressen en Gebouwen (BAG) met als unieke identificatie 1711010000048007.
Het pand op Leliestraat 55-A is gebouwd in 1968, wat betekent dat het 58 jaar oud is. Dit is een ouder pand. Het pand heeft mogelijk aanzienlijke renovaties nodig om aan de huidige standaarden te voldoen.
De woning op Leliestraat 55-A heeft een gebruiksoppervlakte van 13 m². Dit is relatief klein vergeleken met de gemiddelde Nederlandse woning, die een oppervlakte heeft van ongeveer 119 m². De gebruiksoppervlakte is de maat die wordt gebruikt in de BAG-registratie, de landelijke registratie van de Nederlandse overheid.
Leliestraat 55-A heeft als functie: overige doeleinden. Deze gebruiksfunctie(s) zijn vastgelegd in de BAG-registratie en geven aan waarvoor het adres officieel mag worden gebruikt.
Leliestraat 55-A is gelegen op kadastraal perceel ECH00K5074. Deze kadastrale aanduiding is uniek en wordt gebruikt door het Kadaster om eigendomsrechten en andere zakelijke rechten vast te leggen. Het perceel maakt onderdeel uit van de kadastrale gemeente Echt.
Het perceel waarop Leliestraat 55-A staat heeft een oppervlakte van 1836 m². Dit is een zeer groot perceel. De perceeloppervlakte wordt geregistreerd door het Kadaster. Gedetailleerde informatie over de maten van dit perceel kunt u vinden in het rapport Kadastrale kaart met maatvoering van Leliestraat 55-A.
De eigenaar van Leliestraat 55-A is op te vragen op deze pagina.
De informatie over dit adres is afkomstig uit officiële overheidsregistraties, voornamelijk de Basisregistratie Adressen en Gebouwen (BAG) en de Basisregistratie Kadaster (BRK). Deze gegevens worden beheerd door respectievelijk gemeenten en het Kadaster, en worden regelmatig bijgewerkt. Energielabelgegevens komen uit de database van de Rijksdienst voor Ondernemend Nederland (RVO).
