
Meersteeg 1-a is een adres in Echteld, dat zich bevindt binnen de gemeentegrenzen van Echteld en de grenzen van de provincie Gelderland. Het object heeft een oppervlakte van 335 m², wat relatief groot is. Het perceel waarop het adres ligt is 5200 m² groot. Vergeleken met de andere verblijfsobjecten in de straat is dit object groot. De oppervlakte van het grootste object in de straat is 556 m², die van het kleinste bedraagt 35 m². Het adres Meersteeg 1-a ligt in een relatief oud pand uit het jaar 1850. Panden van vóór het jaar 1965 hebben we hier geclassificeerd als oud. Het gemiddelde bouwjaar in de straat is 1955 en dat van het nieuwste object 2009. In de straat is dit het oudste pand. Het verblijfsobject heeft de volgende gebruiksdoelen: 'industriefunctie'.
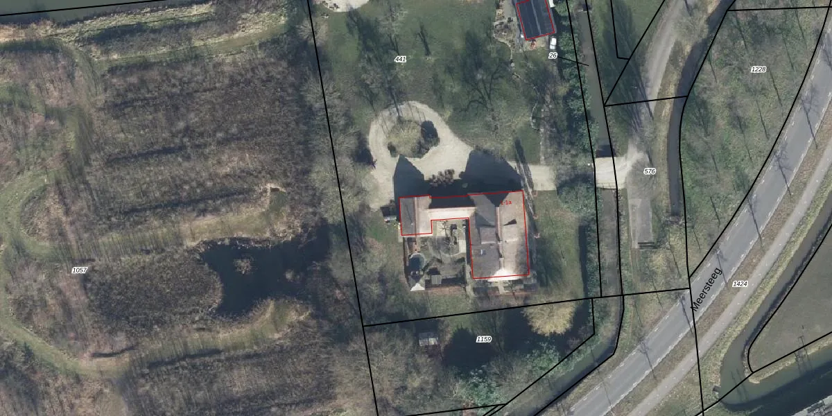
Het adres is gelegen op perceel 441 in de sectie I en de kadastrale gemeente Echteld. De kadastrale aanduiding is aldus ETD00-I-441. Het perceel is kleiner dan gemiddeld in Echteld. Het perceel is 5200 m² groot, terwijl het gemiddelde ligt op 8011,43 m². De grootste perceeloppervlakte in de kadastrale gemeente is 53,7 ha. De kleinste oppervlakte bedraagt 2 m². Er zijn 2 adressen aanwezig op het perceel. De huidige grenzen van het perceel zijn digitaal in de Basisregistratie Kadaster (BRK) geregistreerd op 08-08-2006.
Er is geen energielabel geregistreerd voor het adres. Het hoogste energielabel in de straat is C; het laagste is G. Het gemiddelde energielabel is er D. Het adres Meersteeg 1-a heeft als status: 'verblijfsobject in gebruik'. Het pand waarin dit adres ligt heeft als status: 'pand in gebruik'.
Meersteeg 1-a is een adres gelegen in de gemeente Neder-Betuwe, provincie Gelderland. Dit adres is geregistreerd in de Basisregistratie Adressen en Gebouwen (BAG) met als unieke identificatie 1740010000020334.
Het pand op Meersteeg 1-a is gebouwd in 1850, wat betekent dat het 176 jaar oud is. Dit is een ouder pand. Het pand heeft mogelijk aanzienlijke renovaties nodig om aan de huidige standaarden te voldoen.
De woning op Meersteeg 1-a heeft een gebruiksoppervlakte van 335 m². Dit is ruim vergeleken met de gemiddelde Nederlandse woning, die een oppervlakte heeft van ongeveer 119 m². De gebruiksoppervlakte is de maat die wordt gebruikt in de BAG-registratie, de landelijke registratie van de Nederlandse overheid.
Meersteeg 1-a heeft als functie: industrie. Deze gebruiksfunctie(s) zijn vastgelegd in de BAG-registratie en geven aan waarvoor het adres officieel mag worden gebruikt.
Meersteeg 1-a is gelegen op kadastraal perceel ETD00I441. Deze kadastrale aanduiding is uniek en wordt gebruikt door het Kadaster om eigendomsrechten en andere zakelijke rechten vast te leggen. Het perceel maakt onderdeel uit van de kadastrale gemeente Echteld.
Het perceel waarop Meersteeg 1-a staat heeft een oppervlakte van 5200 m². Dit is een zeer groot perceel. De perceeloppervlakte wordt geregistreerd door het Kadaster. Gedetailleerde informatie over de maten van dit perceel kunt u vinden in het rapport Kadastrale kaart met maatvoering van Meersteeg 1-a.
De eigenaar van Meersteeg 1-a is op te vragen op deze pagina.
De informatie over dit adres is afkomstig uit officiële overheidsregistraties, voornamelijk de Basisregistratie Adressen en Gebouwen (BAG) en de Basisregistratie Kadaster (BRK). Deze gegevens worden beheerd door respectievelijk gemeenten en het Kadaster, en worden regelmatig bijgewerkt. Energielabelgegevens komen uit de database van de Rijksdienst voor Ondernemend Nederland (RVO).
