
Dubbelhof 6 is gelegen in de plaats Ede, de gemeente Ede en de provincie Gelderland. De oppervlakte van het adres is 112 m². Dat is vergelijkbaar met het gemiddelde Nederlandse oppervlakte van 119 m². De oppervlakte van het perceel waarin het adres ligt is 3600 m². Vergeleken met de andere verblijfsobjecten in de straat is dit object groot. De oppervlakte van het grootste object in de straat is 114 m², die van het kleinste bedraagt 22 m². De meeste Nederlandse gebouwen zijn gebouwd in de periode 1965-1984. Zo ook het pand waarin Dubbelhof 6 ligt, dat gebouwd is in 1973. Gemiddeld zijn de gebouwen in de straat gebouwd in 1973. Dit is het oudste pand in de straat. Het meest recente komt uit het jaar 1976. Het verblijfsobject heeft de volgende gebruiksdoelen: 'woonfunctie'.
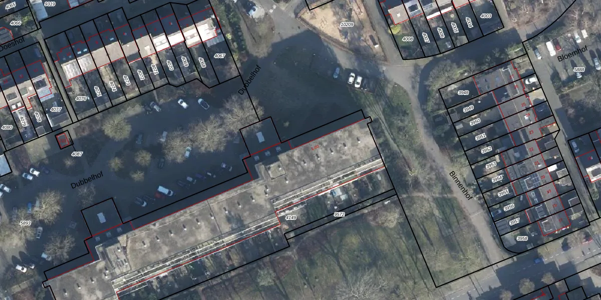
Het adres is gelegen op perceel 4149 in de sectie F en de kadastrale gemeente Ede. De kadastrale aanduiding is aldus EDE01-F-4149. De gemiddelde perceeloppervlakte in de kadastrale gemeente Ede is 2765,97 m². Dit perceel is met zijn 3600 m² dus groter dan gemiddeld. De grootste perceeloppervlakte in de kadastrale gemeente is 2,10 km². De kleinste oppervlakte bedraagt 0 m². Op het perceel liggen in totaal 60 adressen. De laatste wijziging in het de Basisregistratie Kadaster (BRK) was op 01-03-2017.
Het adres ligt in een gebouw van het type 'maisonnette met het subtype tussenvloer'. Bij de laatste meting is voor het adres het energielabel E geregistreerd. Het hoogste energielabel in de straat is B; het laagste is G. Het gemiddelde energielabel is er E. Het adres Dubbelhof 6 heeft als status: 'verblijfsobject in gebruik'. Het pand waarin dit adres ligt heeft als status: 'pand in gebruik'.
Dubbelhof 6 is een adres gelegen in de gemeente Ede, provincie Gelderland. Dit adres is geregistreerd in de Basisregistratie Adressen en Gebouwen (BAG) met als unieke identificatie 0228010000028933.
Het pand op Dubbelhof 6 is gebouwd in 1973, wat betekent dat het 53 jaar oud is. Dit is een ouder pand. Het pand heeft mogelijk aanzienlijke renovaties nodig om aan de huidige standaarden te voldoen.
De woning op Dubbelhof 6 heeft een gebruiksoppervlakte van 112 m². Dit is onder het gemiddelde vergeleken met de gemiddelde Nederlandse woning, die een oppervlakte heeft van ongeveer 119 m². De gebruiksoppervlakte is de maat die wordt gebruikt in de BAG-registratie, de landelijke registratie van de Nederlandse overheid.
Dubbelhof 6 heeft als functie: wonen. Deze gebruiksfunctie(s) zijn vastgelegd in de BAG-registratie en geven aan waarvoor het adres officieel mag worden gebruikt.
Dubbelhof 6 is gelegen op kadastraal perceel EDE01F4149. Deze kadastrale aanduiding is uniek en wordt gebruikt door het Kadaster om eigendomsrechten en andere zakelijke rechten vast te leggen. Het perceel maakt onderdeel uit van de kadastrale gemeente Ede.
Het perceel waarop Dubbelhof 6 staat heeft een oppervlakte van 3600 m². Dit is een zeer groot perceel. De perceeloppervlakte wordt geregistreerd door het Kadaster. Gedetailleerde informatie over de maten van dit perceel kunt u vinden in het rapport Kadastrale kaart met maatvoering van Dubbelhof 6.
De eigenaar van Dubbelhof 6 is op te vragen op deze pagina.
De informatie over dit adres is afkomstig uit officiële overheidsregistraties, voornamelijk de Basisregistratie Adressen en Gebouwen (BAG) en de Basisregistratie Kadaster (BRK). Deze gegevens worden beheerd door respectievelijk gemeenten en het Kadaster, en worden regelmatig bijgewerkt. Energielabelgegevens komen uit de database van de Rijksdienst voor Ondernemend Nederland (RVO).
