
Stationsweg 92-113 is een adres in Ede, dat zich bevindt binnen de gemeentegrenzen van Ede en de grenzen van de provincie Gelderland. Het verblijfsobject is vergeleken met het Nederlandse gemiddelde aan de kleine kant: de oppervlakte is 90 m². Het perceel waarop het adres zich bevindt heeft een oppervlakte van 7731 m². Het object is klein ten opzichte van de andere adressen in de straat. Het grootste verblijfsobject is 2882 m² groot en het kleinste is 16 m². De meeste Nederlandse gebouwen zijn gebouwd in de periode 1965-1984. Zo ook het pand waarin Stationsweg 92-113 ligt, dat gebouwd is in 1967. Het nieuwste gebouw in de straat komt uit 2021 en het oudste uit 1858. Dit object is relatief oud. Het verblijfsobject heeft de volgende gebruiksdoelen: 'woonfunctie'.
Deze woning is voor het laatst verkocht op 1 oktober 2025. Meer informatie over deze transactie? Bestel het Woningtransactierapport om de verkoopprijs en andere informatie te zien.
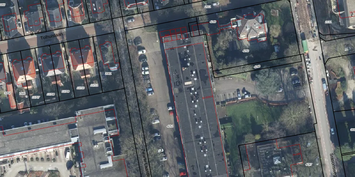
Het perceel waarop het adres ligt is EDE01-D-4251. De afkorting 'EDE01' staat voor kadastrale gemeente Ede. De gemiddelde perceeloppervlakte in de kadastrale gemeente Ede is 2766,44 m². Dit perceel is met zijn 7731 m² dus groter dan gemiddeld. De grootste perceeloppervlakte in de kadastrale gemeente is 2,10 km². De kleinste oppervlakte bedraagt 0 m². Op het perceel liggen in totaal 139 adressen. De huidige grenzen van het perceel zijn digitaal in de Basisregistratie Kadaster (BRK) geregistreerd op 19-11-2002.
Het adres ligt in een gebouw van het type 'appartement met het subtype tussenvloer'. Bij de laatste meting is voor het adres het energielabel C geregistreerd. Het hoogste energielabel in de straat is A+++; het laagste is G. Het gemiddelde energielabel is er B. Het adres Stationsweg 92-113 heeft als status: 'verblijfsobject in gebruik'. Het pand waarin dit adres ligt heeft als status: 'pand in gebruik'.
Stationsweg 92-113 is een adres gelegen in de gemeente Ede, provincie Gelderland. Dit adres is geregistreerd in de Basisregistratie Adressen en Gebouwen (BAG) met als unieke identificatie 0228010000019571.
Het pand op Stationsweg 92-113 is gebouwd in 1967, wat betekent dat het 59 jaar oud is. Dit is een ouder pand. Het pand heeft mogelijk aanzienlijke renovaties nodig om aan de huidige standaarden te voldoen.
De woning op Stationsweg 92-113 heeft een gebruiksoppervlakte van 90 m². Dit is onder het gemiddelde vergeleken met de gemiddelde Nederlandse woning, die een oppervlakte heeft van ongeveer 119 m². De gebruiksoppervlakte is de maat die wordt gebruikt in de BAG-registratie, de landelijke registratie van de Nederlandse overheid.
Stationsweg 92-113 heeft als functie: wonen. Deze gebruiksfunctie(s) zijn vastgelegd in de BAG-registratie en geven aan waarvoor het adres officieel mag worden gebruikt.
Stationsweg 92-113 is gelegen op kadastraal perceel EDE01D4251. Deze kadastrale aanduiding is uniek en wordt gebruikt door het Kadaster om eigendomsrechten en andere zakelijke rechten vast te leggen. Het perceel maakt onderdeel uit van de kadastrale gemeente Ede.
Het perceel waarop Stationsweg 92-113 staat heeft een oppervlakte van 7731 m². Dit is een zeer groot perceel. De perceeloppervlakte wordt geregistreerd door het Kadaster. Gedetailleerde informatie over de maten van dit perceel kunt u vinden in het rapport Kadastrale kaart met maatvoering van Stationsweg 92-113.
De eigenaar van Stationsweg 92-113 is op te vragen op deze pagina.
De informatie over dit adres is afkomstig uit officiële overheidsregistraties, voornamelijk de Basisregistratie Adressen en Gebouwen (BAG) en de Basisregistratie Kadaster (BRK). Deze gegevens worden beheerd door respectievelijk gemeenten en het Kadaster, en worden regelmatig bijgewerkt. Energielabelgegevens komen uit de database van de Rijksdienst voor Ondernemend Nederland (RVO).
