
Wagenaarlaan 2-F is een adres in Ede, dat zich bevindt binnen de gemeentegrenzen van Ede en de grenzen van de provincie Gelderland. Het perceel waarop het adres gelegen is heeft een oppervlakte van 894 m². Het verblijfsobject is met 20 m² relatief klein. De oppervlakte van het adres is klein vergeleken met de andere objecten in de straat. De oppervlakte van het kleinste object in de straat bedraagt 17 m², terwijl het grootste object 233 m² groot is. In Nederland komt het grootste deel van de gebouwen uit de periode 1965-1984. Ook het bouwjaar van Wagenaarlaan 2-F is afkomstig uit die periode: het betreft namelijk een pand uit 1966. Het bouwjaar is oud vergeleken met dat van de andere panden in de straat. Het oudste bouwjaar is er 1960 en de nieuwste is 1970. Het verblijfsobject heeft de volgende gebruiksdoelen: 'overige gebruiksfunctie'.
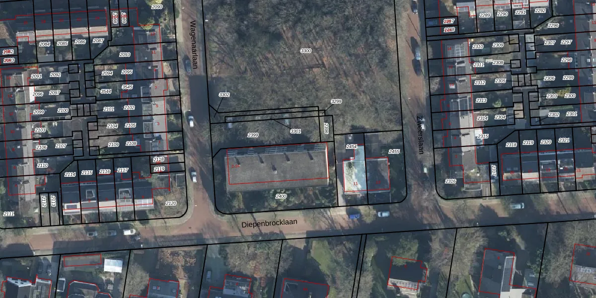
Het adres is gelegen op perceel 2400 in de sectie C en de kadastrale gemeente Ede. De kadastrale aanduiding is aldus EDE01-C-2400. Het perceel is kleiner dan gemiddeld in Ede. Het perceel is 894 m² groot, terwijl het gemiddelde ligt op 2764,86 m². Het grootste perceel in de kadastrale gemeente is 2,10 km². Het kleinste perceel heeft een oppervlakte van 0 m². Er zijn 20 adressen aanwezig op het perceel. De huidige grenzen van het perceel zijn digitaal in de Basisregistratie Kadaster (BRK) geregistreerd op 19-11-2002.
Er is geen energielabel geregistreerd voor het adres. Het hoogste energielabel in de straat is A; het laagste is G. Het gemiddelde energielabel is er C. Het adres Wagenaarlaan 2-F heeft als status: 'verblijfsobject in gebruik'. Het pand waarin dit adres ligt heeft als status: 'pand in gebruik'.
Wagenaarlaan 2-F is een adres gelegen in de gemeente Ede, provincie Gelderland. Dit adres is geregistreerd in de Basisregistratie Adressen en Gebouwen (BAG) met als unieke identificatie 0228010000025765.
Het pand op Wagenaarlaan 2-F is gebouwd in 1966, wat betekent dat het 60 jaar oud is. Dit is een ouder pand. Het pand heeft mogelijk aanzienlijke renovaties nodig om aan de huidige standaarden te voldoen.
De woning op Wagenaarlaan 2-F heeft een gebruiksoppervlakte van 20 m². Dit is relatief klein vergeleken met de gemiddelde Nederlandse woning, die een oppervlakte heeft van ongeveer 119 m². De gebruiksoppervlakte is de maat die wordt gebruikt in de BAG-registratie, de landelijke registratie van de Nederlandse overheid.
Wagenaarlaan 2-F heeft als functie: overige doeleinden. Deze gebruiksfunctie(s) zijn vastgelegd in de BAG-registratie en geven aan waarvoor het adres officieel mag worden gebruikt.
Wagenaarlaan 2-F is gelegen op kadastraal perceel EDE01C2400. Deze kadastrale aanduiding is uniek en wordt gebruikt door het Kadaster om eigendomsrechten en andere zakelijke rechten vast te leggen. Het perceel maakt onderdeel uit van de kadastrale gemeente Ede.
Het perceel waarop Wagenaarlaan 2-F staat heeft een oppervlakte van 894 m². Dit is een groot perceel. De perceeloppervlakte wordt geregistreerd door het Kadaster. Gedetailleerde informatie over de maten van dit perceel kunt u vinden in het rapport Kadastrale kaart met maatvoering van Wagenaarlaan 2-F.
De eigenaar van Wagenaarlaan 2-F is op te vragen op deze pagina.
De informatie over dit adres is afkomstig uit officiële overheidsregistraties, voornamelijk de Basisregistratie Adressen en Gebouwen (BAG) en de Basisregistratie Kadaster (BRK). Deze gegevens worden beheerd door respectievelijk gemeenten en het Kadaster, en worden regelmatig bijgewerkt. Energielabelgegevens komen uit de database van de Rijksdienst voor Ondernemend Nederland (RVO).
