Product Functies Prijzen Meer

Adressen

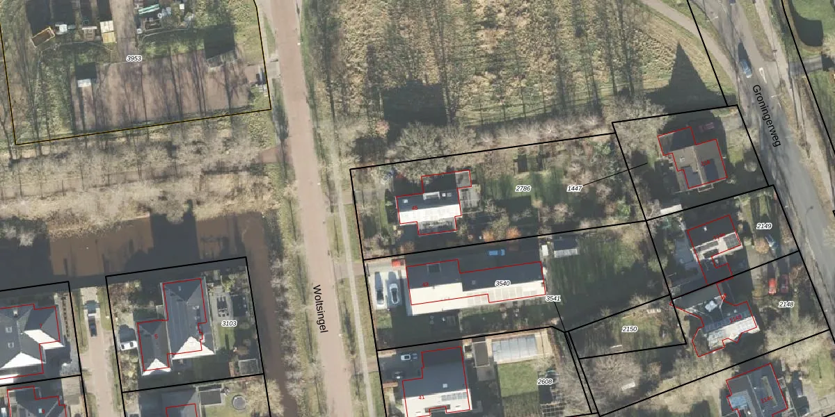
Gebruik de zoekbalk of klik op een perceel voor informatie over de adressen binnen dit perceel.
Locatie
Meten
Lagen
Download

Woltsingel 45

9766VN, Eelderwolde

1519312 Wat moet ik bieden voor deze woning?
452 m²
woonfunctie
1.453 m² perceeloppervlakte
?

Het adres Woltsingel 45 bevindt zich in de plaats Eelderwolde, in de gemeente Eelderwolde en de provincie Drenthe. De oppervlakte bedraagt 452 m², waarmee het adres groter dan gemiddeld is. De grootte van het perceel waarop het adres ligt is 1453 m². Dit is het grootste verblijfsobject. Gemiddeld hebben de objecten in de straat een oppervlakte van 242 m². Het kleinste verblijfsobject is er 131 m². Het pand waarin Woltsingel 45 ligt is gebouwd in het jaar 2010. Panden die gebouwd zijn na het jaar 1984 noemen we hier relatief nieuw. In de straat komt het nieuwste gebouw uit het jaar 2018 en het oudste uit 2009. Het bouwjaar van dit object is relatief oud. Voor het verblijfsobject gelden deze gebruiksdoelen: 'woonfunctie'.

Perceel

Het adres is gelegen op perceel 2786 in de sectie A en de kadastrale gemeente Eelde. De kadastrale aanduiding is aldus EDE02-A-2786. De gemiddelde perceelgrootte in Eelde is 2991,91 m². Dit perceel is kleiner: de perceeloppervlakte bedraagt 1453 m². Het kleinste perceel in de kadastrale gemeente is 0 m² groot. De grootste perceeloppervlakte is 91,4 ha. Er zijn geen andere adressen aanwezig op het perceel. In de Basisregistratie Kadaster (BRK) werden de grenzen van het perceel geregistreerd op 29-12-2010.

Energielabel en status

Er is geen energielabel geregistreerd voor het adres. Het hoogste energielabel in de straat is A+++; het laagste is G. Het gemiddelde energielabel is er A. Het adres Woltsingel 45 heeft als status: 'verblijfsobject in gebruik'. Het pand waarin dit adres ligt heeft als status: 'pand in gebruik'.

Meer lezen

Adres

Gebruiksoppervlakte
452 m²
Bruto vloeroppervlakte
4G njyTpVUpgrade naar KadastraleKaart Pro
Gebruiksdoel(en)
Woonfunctie
Status
Verblijfsobject in gebruik
Type
Onbekend
Gasloos
BBo7SEUITZ2TuvyUpgrade naar KadastraleKaart Pro
Gebeurtenissen
Appartementsrechten
fNfchG8hxdkSmdCoKH28Upgrade naar KadastraleKaart Pro
Eigenaar
Eigendomsinformatie 12,95
Adresinformatie bestellen
Adrespakket 34,95
VBO ID
1730010000018630

Pand

Bouwjaar pand
2010
Aantal adressen in dit gebouw
1 adres
Hoogte pand
Laoz6h KgZUpgrade naar KadastraleKaart Pro
Aantal bouwlagen (schatting)
OASG3q01tn9Gf9eFo aBfUpgrade naar KadastraleKaart Pro
Volume
n3fOfRAbgVOMYqnQxUpgrade naar KadastraleKaart Pro
Oppervlakte dak
Eyxxly5JkUXphUpgrade naar KadastraleKaart Pro
Oppervlakte buitenmuur
feJBp 1M 1qUpgrade naar KadastraleKaart Pro
Status pand
Pand in gebruik
Pand ID
1730100000025905

Perceel

Kadastrale aanduiding
Eelde A 2786 (EDE02 A 2786)
Oppervlakte
1.453 m²
Maatvoering
Kadastrale kaart met maatvoering 59,95
Omtrek
177 meter
Datum laatst gewijzigd
29/12/2010
Aantal adressen op perceel
1
Hoogte boven N.A.P.
JspOtuk X2 WUpgrade naar KadastraleKaart Pro

Veelgestelde vragen

Woltsingel 45 is een adres gelegen in de gemeente Tynaarlo, provincie Drenthe. Dit adres is geregistreerd in de Basisregistratie Adressen en Gebouwen (BAG) met als unieke identificatie 1730010000018630.

Het pand op Woltsingel 45 is gebouwd in 2010, wat betekent dat het 16 jaar oud is. Dit is een relatief modern pand. Ten opzichte van de nationale woningvoorraad is het pand relatief modern, maar er kunnen enkele verouderde elementen zijn die aandacht nodig hebben.

De woning op Woltsingel 45 heeft een gebruiksoppervlakte van 452 m². Dit is ruim vergeleken met de gemiddelde Nederlandse woning, die een oppervlakte heeft van ongeveer 119 m². De gebruiksoppervlakte is de maat die wordt gebruikt in de BAG-registratie, de landelijke registratie van de Nederlandse overheid.

Woltsingel 45 heeft als functie: wonen. Deze gebruiksfunctie(s) zijn vastgelegd in de BAG-registratie en geven aan waarvoor het adres officieel mag worden gebruikt.

Woltsingel 45 is gelegen op kadastraal perceel EDE02A2786. Deze kadastrale aanduiding is uniek en wordt gebruikt door het Kadaster om eigendomsrechten en andere zakelijke rechten vast te leggen. Het perceel maakt onderdeel uit van de kadastrale gemeente Eelde.

Het perceel waarop Woltsingel 45 staat heeft een oppervlakte van 1453 m². Dit is een zeer groot perceel. De perceeloppervlakte wordt geregistreerd door het Kadaster. Gedetailleerde informatie over de maten van dit perceel kunt u vinden in het rapport Kadastrale kaart met maatvoering van Woltsingel 45.

De eigenaar van Woltsingel 45 is op te vragen op deze pagina.

De informatie over dit adres is afkomstig uit officiële overheidsregistraties, voornamelijk de Basisregistratie Adressen en Gebouwen (BAG) en de Basisregistratie Kadaster (BRK). Deze gegevens worden beheerd door respectievelijk gemeenten en het Kadaster, en worden regelmatig bijgewerkt. Energielabelgegevens komen uit de database van de Rijksdienst voor Ondernemend Nederland (RVO).

Maatvoeringsrapport

Wie is de eigenaar?

Bekijk de eigenaar van Woltsingel 45 met de eigendomsinformatie.
Bekijk de eigenaar van dit adres.
Maatvoeringsrapport

Maatvoering van het perceel

Bestel de maatvoering voor Woltsingel 45 met het maatvoeringsrapport.
Bestel de maatvoering voor dit adres.

360°-foto's van de omgeving

Google Street View
Upgrade nu voor 360° Street View foto's

Zon en schaduw rondom adres

Buurt
Ter Borch
Inwoners: 2.750
Woningen: 782
Wijk
Wijk 08 Eelderwolde
Inwoners: 3.210
Woningen: 941
Gemeente
Tynaarlo
Inwoners: 34.736
Woningen: 14.672