
Wakkerendijk 240-A is gelegen in de plaats Eemnes, de gemeente Eemnes en de provincie Utrecht. Het verblijfsobject is 113 m² groot en bevindt zich op een perceel met een oppervlakte van 445 m². Gemiddeld hebben adressen in Nederland een oppervlakte van 119 m². Het adres is klein vergeleken met andere objecten in de straat. Het grootste object in de straat heeft een oppervlakte van 3789 m², het kleinste is 2 m² groot. Het adres Wakkerendijk 240-A ligt in een relatief oud pand uit het jaar 1932. Panden van vóór het jaar 1965 hebben we hier geclassificeerd als oud. Vergeleken met de andere panden in de straat is dit gebouw nieuw. Het vroegste bouwjaar is er 1640 en het laatste is 2024. De volgende gebruiksdoelen zijn geregistreerd voor dit adres: 'woonfunctie'.
Deze woning is voor het laatst verkocht op 1 februari 1997. Meer informatie over deze transactie? Bestel het Woningtransactierapport om de verkoopprijs en andere informatie te zien.
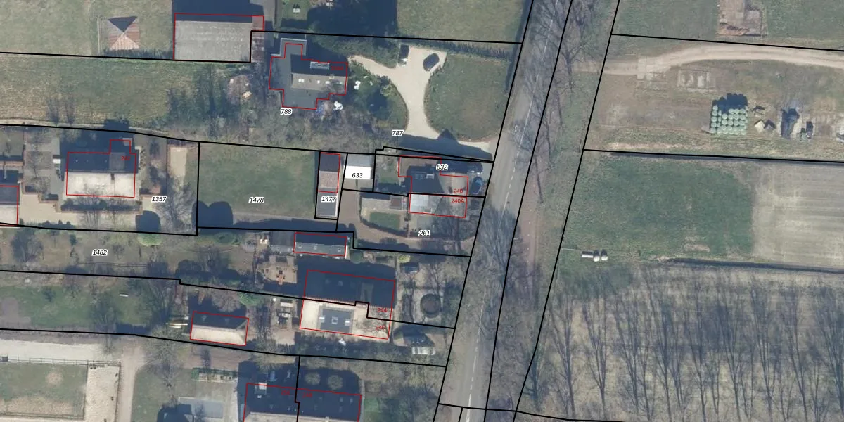
Het adres ligt op het perceel ENS00-L-261, dat zich in de kadastrale gemeente Eemnes bevindt. Het perceel is 445 m² groot. Dat is kleiner dan de gemiddelde perceeloppervlakte in Eemnes, dat op 5250,5 m² ligt. De grootste perceeloppervlakte in de kadastrale gemeente is 1,87 km². De kleinste oppervlakte bedraagt 0 m². Dit is het enige adres dat aanwezig is op het perceel. De laatste wijziging in het de Basisregistratie Kadaster (BRK) was op 07-04-2021.
Er is geen energielabel geregistreerd voor het adres. Het hoogste energielabel in de straat is A++; het laagste is G. Het gemiddelde energielabel is er C. Het adres Wakkerendijk 240-A heeft als status: 'verblijfsobject in gebruik'. Het pand waarin dit adres ligt heeft als status: 'pand in gebruik'.
Wakkerendijk 240-A is een adres gelegen in de gemeente Eemnes, provincie Utrecht. Dit adres is geregistreerd in de Basisregistratie Adressen en Gebouwen (BAG) met als unieke identificatie 0317010000103524.
Het pand op Wakkerendijk 240-A is gebouwd in 1932, wat betekent dat het 94 jaar oud is. Dit is een ouder pand. Het pand heeft mogelijk aanzienlijke renovaties nodig om aan de huidige standaarden te voldoen.
De woning op Wakkerendijk 240-A heeft een gebruiksoppervlakte van 113 m². Dit is onder het gemiddelde vergeleken met de gemiddelde Nederlandse woning, die een oppervlakte heeft van ongeveer 119 m². De gebruiksoppervlakte is de maat die wordt gebruikt in de BAG-registratie, de landelijke registratie van de Nederlandse overheid.
Wakkerendijk 240-A heeft als functie: wonen. Deze gebruiksfunctie(s) zijn vastgelegd in de BAG-registratie en geven aan waarvoor het adres officieel mag worden gebruikt.
Wakkerendijk 240-A is gelegen op kadastraal perceel ENS00L261. Deze kadastrale aanduiding is uniek en wordt gebruikt door het Kadaster om eigendomsrechten en andere zakelijke rechten vast te leggen. Het perceel maakt onderdeel uit van de kadastrale gemeente Eemnes.
Het perceel waarop Wakkerendijk 240-A staat heeft een oppervlakte van 445 m². Dit is een groot perceel. De perceeloppervlakte wordt geregistreerd door het Kadaster. Gedetailleerde informatie over de maten van dit perceel kunt u vinden in het rapport Kadastrale kaart met maatvoering van Wakkerendijk 240-A.
De eigenaar van Wakkerendijk 240-A is op te vragen op deze pagina.
De informatie over dit adres is afkomstig uit officiële overheidsregistraties, voornamelijk de Basisregistratie Adressen en Gebouwen (BAG) en de Basisregistratie Kadaster (BRK). Deze gegevens worden beheerd door respectievelijk gemeenten en het Kadaster, en worden regelmatig bijgewerkt. Energielabelgegevens komen uit de database van de Rijksdienst voor Ondernemend Nederland (RVO).
