
Hoofdstraat 26-A-1 is gelegen in de plaats Een, de gemeente Noordenveld en de provincie Drenthe. Het object heeft een oppervlakte van 196 m², wat relatief groot is. Het perceel waarop het adres ligt is 1297 m² groot. Het object is klein ten opzichte van de andere adressen in de straat. Het grootste verblijfsobject is 935 m² groot en het kleinste is 7 m². Het pand waarin Hoofdstraat 26-A-1 ligt is gebouwd in het jaar 1990. Panden die gebouwd zijn na het jaar 1984 noemen we hier relatief nieuw. Vergeleken met de andere panden in de straat is dit gebouw nieuw. Het vroegste bouwjaar is er 1798 en het laatste is 2023. Het verblijfsobject heeft de volgende gebruiksdoelen: 'industriefunctie'.
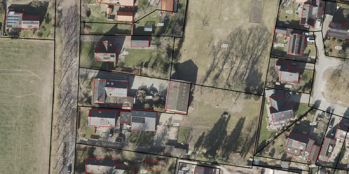
Het perceel waarop het adres ligt is NOR00-N-4011. De afkorting 'NOR00' staat voor kadastrale gemeente Norg. Het perceel is kleiner dan gemiddeld in Norg. Het perceel is 1297 m² groot, terwijl het gemiddelde ligt op 1,4 ha. Het kleinste perceel in de kadastrale gemeente is 1 m² groot. De grootste perceeloppervlakte is 1,59 km². Er zijn 2 adressen aanwezig op het perceel. De laatste wijziging in het de Basisregistratie Kadaster (BRK) was op 22-09-2011.
Er is geen energielabel geregistreerd voor het adres. Het hoogste energielabel in de straat is A+++; het laagste is G. Het gemiddelde energielabel is er D. Het adres Hoofdstraat 26-A-1 heeft als status: 'verblijfsobject in gebruik'. Het pand waarin dit adres ligt heeft als status: 'pand in gebruik'.
Hoofdstraat 26-A-1 is een adres gelegen in de gemeente Noordenveld, provincie Drenthe. Dit adres is geregistreerd in de Basisregistratie Adressen en Gebouwen (BAG) met als unieke identificatie 1699010000014130.
Het pand op Hoofdstraat 26-A-1 is gebouwd in 1990, wat betekent dat het 36 jaar oud is. Dit is een pand van middelbare leeftijd. Het pand is van gemiddelde leeftijd en zal waarschijnlijk verouderde elementen bevatten.
De woning op Hoofdstraat 26-A-1 heeft een gebruiksoppervlakte van 196 m². Dit is ruim vergeleken met de gemiddelde Nederlandse woning, die een oppervlakte heeft van ongeveer 119 m². De gebruiksoppervlakte is de maat die wordt gebruikt in de BAG-registratie, de landelijke registratie van de Nederlandse overheid.
Hoofdstraat 26-A-1 heeft als functie: industrie. Deze gebruiksfunctie(s) zijn vastgelegd in de BAG-registratie en geven aan waarvoor het adres officieel mag worden gebruikt.
Hoofdstraat 26-A-1 is gelegen op kadastraal perceel NOR00N4011. Deze kadastrale aanduiding is uniek en wordt gebruikt door het Kadaster om eigendomsrechten en andere zakelijke rechten vast te leggen. Het perceel maakt onderdeel uit van de kadastrale gemeente Norg.
Het perceel waarop Hoofdstraat 26-A-1 staat heeft een oppervlakte van 1297 m². Dit is een zeer groot perceel. De perceeloppervlakte wordt geregistreerd door het Kadaster. Gedetailleerde informatie over de maten van dit perceel kunt u vinden in het rapport Kadastrale kaart met maatvoering van Hoofdstraat 26-A-1.
De eigenaar van Hoofdstraat 26-A-1 is op te vragen op deze pagina.
De informatie over dit adres is afkomstig uit officiële overheidsregistraties, voornamelijk de Basisregistratie Adressen en Gebouwen (BAG) en de Basisregistratie Kadaster (BRK). Deze gegevens worden beheerd door respectievelijk gemeenten en het Kadaster, en worden regelmatig bijgewerkt. Energielabelgegevens komen uit de database van de Rijksdienst voor Ondernemend Nederland (RVO).
