
Roggelseweg 89-E is een adres in Egchel, dat zich bevindt binnen de gemeentegrenzen van Egchel en de grenzen van de provincie Limburg. Het perceel waarop het verblijfsobject staat is 3,2 ha groot. De oppervlakte van het adres is 101 m², wat zich rond het Nederlandse gemiddelde van 119 m² bevindt. Het object is klein ten opzichte van de andere adressen in de straat. Het grootste verblijfsobject is 692 m² groot en het kleinste is 9 m². Roggelseweg 89-E ligt in een gebouw uit het jaar 2021. Daarmee behoort het tot de groep panden van na 1984, die we als relatief nieuw bestempelen. In de straat is dit het nieuwste pand en stamt het oudste object uit het jaar 1825. Het gemiddelde bouwjaar in de straat is 1966. Voor het verblijfsobject gelden deze gebruiksdoelen: 'bijeenkomstfunctie', 'industriefunctie', 'kantoorfunctie' en 'logiesfunctie'.
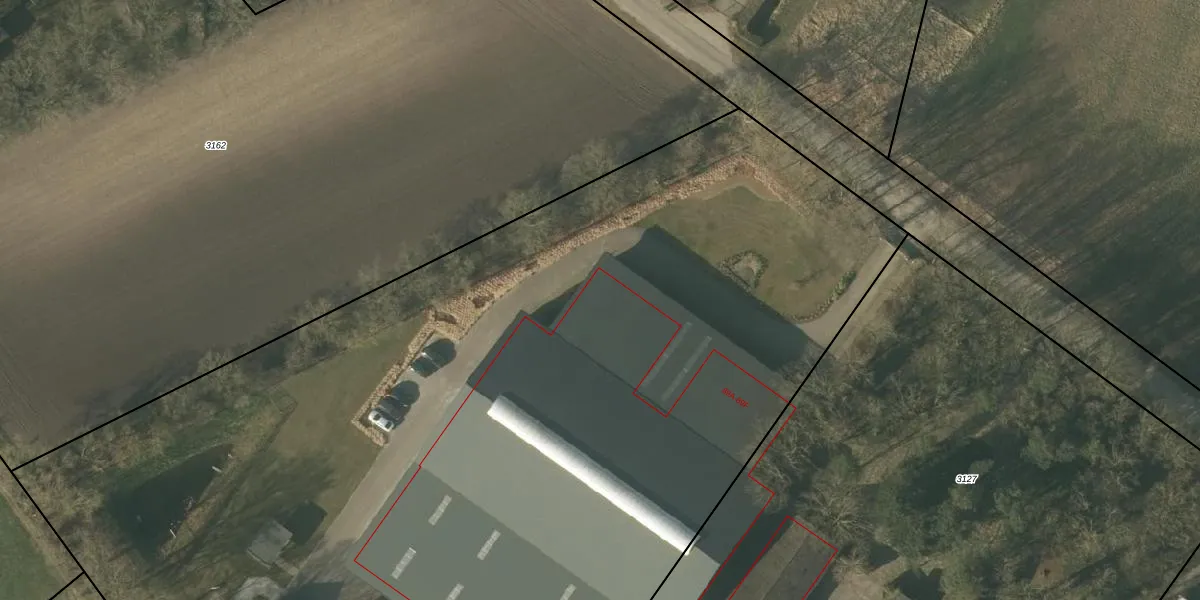
Het perceel waarop het adres ligt is HDN01-H-3128. De afkorting 'HDN01' staat voor kadastrale gemeente Helden. Het perceel is met 3,2 ha relatief groot. Het gemiddelde ligt in de kadastrale gemeente Helden op 4697,67 m². Het grootste perceel in de kadastrale gemeente is 28,9 ha. Het kleinste perceel heeft een oppervlakte van 0 m². Op het perceel zijn 6 adressen aanwezig. De huidige grenzen van het perceel zijn digitaal in de Basisregistratie Kadaster (BRK) geregistreerd op 08-09-2017.
Er is geen energielabel geregistreerd voor het adres. Het hoogste energielabel in de straat is B; het laagste is G. Het gemiddelde energielabel is er D. Het adres Roggelseweg 89-E heeft als status: 'verblijfsobject in gebruik'. Het pand waarin dit adres ligt heeft als status: 'pand in gebruik'.
Roggelseweg 89-E is een adres gelegen in de gemeente Peel en Maas, provincie Limburg. Dit adres is geregistreerd in de Basisregistratie Adressen en Gebouwen (BAG) met als unieke identificatie 1894010000347575.
Het pand op Roggelseweg 89-E is gebouwd in 2021, wat betekent dat het 5 jaar oud is. Dit is een vrij nieuw pand. Het pand is dus waarschijnlijk goed geïsoleerd, geluidsdicht en voldoet aan de huidige bouwstandaarden. Op korte termijn zijn er waarschijnlijk weinig onderhoudskosten.
De woning op Roggelseweg 89-E heeft een gebruiksoppervlakte van 101 m². Dit is onder het gemiddelde vergeleken met de gemiddelde Nederlandse woning, die een oppervlakte heeft van ongeveer 119 m². De gebruiksoppervlakte is de maat die wordt gebruikt in de BAG-registratie, de landelijke registratie van de Nederlandse overheid.
Roggelseweg 89-E heeft als functie: bijeenkomsten, industrie, kantoor en logies/verblijf. Deze gebruiksfunctie(s) zijn vastgelegd in de BAG-registratie en geven aan waarvoor het adres officieel mag worden gebruikt.
Roggelseweg 89-E is gelegen op kadastraal perceel HDN01H3128. Deze kadastrale aanduiding is uniek en wordt gebruikt door het Kadaster om eigendomsrechten en andere zakelijke rechten vast te leggen. Het perceel maakt onderdeel uit van de kadastrale gemeente Helden.
Het perceel waarop Roggelseweg 89-E staat heeft een oppervlakte van 3,2 ha. Dit is een zeer groot perceel. De perceeloppervlakte wordt geregistreerd door het Kadaster. Gedetailleerde informatie over de maten van dit perceel kunt u vinden in het rapport Kadastrale kaart met maatvoering van Roggelseweg 89-E.
De eigenaar van Roggelseweg 89-E is op te vragen op deze pagina.
De informatie over dit adres is afkomstig uit officiële overheidsregistraties, voornamelijk de Basisregistratie Adressen en Gebouwen (BAG) en de Basisregistratie Kadaster (BRK). Deze gegevens worden beheerd door respectievelijk gemeenten en het Kadaster, en worden regelmatig bijgewerkt. Energielabelgegevens komen uit de database van de Rijksdienst voor Ondernemend Nederland (RVO).
