
Mors 23-a is een adres in Eibergen, dat zich bevindt binnen de gemeentegrenzen van Eibergen en de grenzen van de provincie Gelderland. De oppervlakte van het verblijfsobject is met 161 m² aan de grote kant. Het perceel heeft een oppervlakte van 1140 m². Het object is klein ten opzichte van de andere adressen in de straat. Het grootste verblijfsobject is 4854 m² groot en het kleinste is 7 m². In Nederland komt het grootste deel van de gebouwen uit de periode 1965-1984. Ook het bouwjaar van Mors 23-a is afkomstig uit die periode: het betreft namelijk een pand uit 1980. Het nieuwste gebouw in de straat komt uit 2024 en het oudste uit 1950. Dit object is relatief oud. Voor het verblijfsobject gelden deze gebruiksdoelen: 'woonfunctie'.
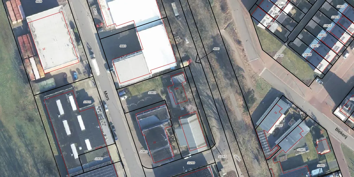
Het perceel waarop het adres ligt is EBG02-D-10801. De afkorting 'EBG02' staat voor kadastrale gemeente Eibergen. De gemiddelde perceelgrootte in Eibergen is 8443,37 m². Dit perceel is kleiner: de perceeloppervlakte bedraagt 1140 m². Het grootste perceel in de kadastrale gemeente is 33,1 ha. Het kleinste perceel heeft een oppervlakte van 1 m². Op het perceel bevinden zich geen andere adressen. De huidige grenzen van het perceel zijn digitaal in de Basisregistratie Kadaster (BRK) geregistreerd op 08-05-2018.
Er is geen energielabel geregistreerd voor het adres. Het hoogste energielabel in de straat is A; het laagste is G. Het gemiddelde energielabel is er C. Het adres Mors 23-a heeft als status: 'verblijfsobject in gebruik'. Het pand waarin dit adres ligt heeft als status: 'pand in gebruik'.
Mors 23-a is een adres gelegen in de gemeente Berkelland, provincie Gelderland. Dit adres is geregistreerd in de Basisregistratie Adressen en Gebouwen (BAG) met als unieke identificatie 1859010000829069.
Het pand op Mors 23-a is gebouwd in 1980, wat betekent dat het 46 jaar oud is. Dit is een pand van middelbare leeftijd. Het pand is van gemiddelde leeftijd en zal waarschijnlijk verouderde elementen bevatten.
De woning op Mors 23-a heeft een gebruiksoppervlakte van 161 m². Dit is ruim vergeleken met de gemiddelde Nederlandse woning, die een oppervlakte heeft van ongeveer 119 m². De gebruiksoppervlakte is de maat die wordt gebruikt in de BAG-registratie, de landelijke registratie van de Nederlandse overheid.
Mors 23-a heeft als functie: wonen. Deze gebruiksfunctie(s) zijn vastgelegd in de BAG-registratie en geven aan waarvoor het adres officieel mag worden gebruikt.
Mors 23-a is gelegen op kadastraal perceel EBG02D10801. Deze kadastrale aanduiding is uniek en wordt gebruikt door het Kadaster om eigendomsrechten en andere zakelijke rechten vast te leggen. Het perceel maakt onderdeel uit van de kadastrale gemeente Eibergen.
Het perceel waarop Mors 23-a staat heeft een oppervlakte van 1140 m². Dit is een zeer groot perceel. De perceeloppervlakte wordt geregistreerd door het Kadaster. Gedetailleerde informatie over de maten van dit perceel kunt u vinden in het rapport Kadastrale kaart met maatvoering van Mors 23-a.
De eigenaar van Mors 23-a is op te vragen op deze pagina.
De informatie over dit adres is afkomstig uit officiële overheidsregistraties, voornamelijk de Basisregistratie Adressen en Gebouwen (BAG) en de Basisregistratie Kadaster (BRK). Deze gegevens worden beheerd door respectievelijk gemeenten en het Kadaster, en worden regelmatig bijgewerkt. Energielabelgegevens komen uit de database van de Rijksdienst voor Ondernemend Nederland (RVO).
