
Vunderinkslaan 3-b is een adres in Eibergen, dat zich bevindt binnen de gemeentegrenzen van Eibergen en de grenzen van de provincie Gelderland. De oppervlakte van het verblijfsobject is met 177 m² aan de grote kant. Het perceel heeft een oppervlakte van 1940 m². In de straat is dit het kleinste object. Het grootste verblijfsobject heeft een oppervlakte van 468 m². De gemiddelde grootte is er 271 m². In Nederland komt het grootste deel van de gebouwen uit de periode 1965-1984. Ook het bouwjaar van Vunderinkslaan 3-b is afkomstig uit die periode: het betreft namelijk een pand uit 1972. Dit pand is het meest recent exemplaar in de straat. Het oudste object komt er uit 1885 en het gemiddelde bouwjaar is 1928. Het verblijfsobject heeft de volgende gebruiksdoelen: 'woonfunctie'.
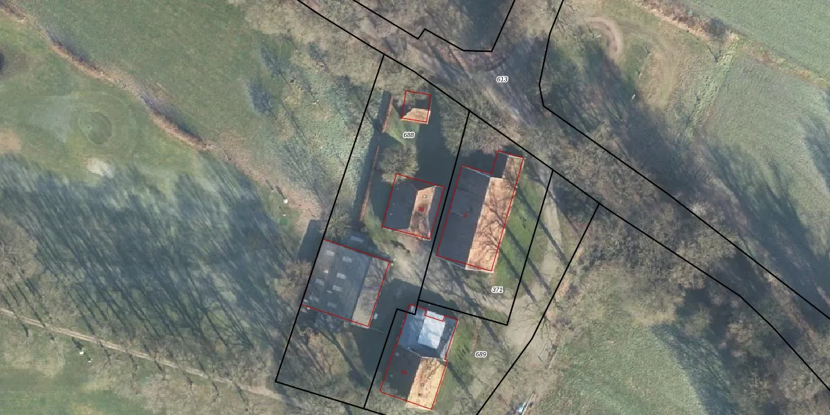
Het perceel waarop het adres ligt is EBG02-AA-688. De afkorting 'EBG02' staat voor kadastrale gemeente Eibergen. Het perceel is kleiner dan gemiddeld in Eibergen. Het perceel is 1940 m² groot, terwijl het gemiddelde ligt op 8438,68 m². Het grootste perceel in de kadastrale gemeente is 33,1 ha. Het kleinste perceel heeft een oppervlakte van 1 m². Op het perceel bevinden zich geen andere adressen. De huidige grenzen van het perceel zijn digitaal in de Basisregistratie Kadaster (BRK) geregistreerd op 17-05-2013.
Er is geen energielabel geregistreerd voor het adres. Het hoogste energielabel in de straat is F; het laagste is G. Het gemiddelde energielabel is er F. Het adres Vunderinkslaan 3-b heeft als status: 'verblijfsobject in gebruik'. Het pand waarin dit adres ligt heeft als status: 'pand in gebruik'.
Vunderinkslaan 3-b is een adres gelegen in de gemeente Berkelland, provincie Gelderland. Dit adres is geregistreerd in de Basisregistratie Adressen en Gebouwen (BAG) met als unieke identificatie 1859010000855787.
Het pand op Vunderinkslaan 3-b is gebouwd in 1972, wat betekent dat het 54 jaar oud is. Dit is een ouder pand. Het pand heeft mogelijk aanzienlijke renovaties nodig om aan de huidige standaarden te voldoen.
De woning op Vunderinkslaan 3-b heeft een gebruiksoppervlakte van 177 m². Dit is ruim vergeleken met de gemiddelde Nederlandse woning, die een oppervlakte heeft van ongeveer 119 m². De gebruiksoppervlakte is de maat die wordt gebruikt in de BAG-registratie, de landelijke registratie van de Nederlandse overheid.
Vunderinkslaan 3-b heeft als functie: wonen. Deze gebruiksfunctie(s) zijn vastgelegd in de BAG-registratie en geven aan waarvoor het adres officieel mag worden gebruikt.
Vunderinkslaan 3-b is gelegen op kadastraal perceel EBG02AA688. Deze kadastrale aanduiding is uniek en wordt gebruikt door het Kadaster om eigendomsrechten en andere zakelijke rechten vast te leggen. Het perceel maakt onderdeel uit van de kadastrale gemeente Eibergen.
Het perceel waarop Vunderinkslaan 3-b staat heeft een oppervlakte van 1940 m². Dit is een zeer groot perceel. De perceeloppervlakte wordt geregistreerd door het Kadaster. Gedetailleerde informatie over de maten van dit perceel kunt u vinden in het rapport Kadastrale kaart met maatvoering van Vunderinkslaan 3-b.
De eigenaar van Vunderinkslaan 3-b is op te vragen op deze pagina.
De informatie over dit adres is afkomstig uit officiële overheidsregistraties, voornamelijk de Basisregistratie Adressen en Gebouwen (BAG) en de Basisregistratie Kadaster (BRK). Deze gegevens worden beheerd door respectievelijk gemeenten en het Kadaster, en worden regelmatig bijgewerkt. Energielabelgegevens komen uit de database van de Rijksdienst voor Ondernemend Nederland (RVO).
