
Parrestraat 26 is gelegen in de plaats Eijsden, de gemeente Eijsden-Margraten en de provincie Limburg. De oppervlakte van het verblijfsobject is met 362 m² aan de grote kant. Het perceel heeft een oppervlakte van 3921 m². In vergelijking met de andere adressen in de straat is de oppervlakte van dit object relatief groot. Het grootste verblijfsobject heeft een oppervlakte van 468 m², de oppervlakte van het kleinste object bedraagt 39 m². In het jaar 1996 is het pand waarin Parrestraat 26 ligt gebouwd. Dat is relatief recent: de meeste gebouwen in Nederland zijn gebouwd in de periode 1965-1984. Dit pand is het meest recent exemplaar in de straat. Het oudste object komt er uit 1800 en het gemiddelde bouwjaar is 1942. De volgende gebruiksdoelen zijn geregistreerd voor dit adres: 'logiesfunctie'.
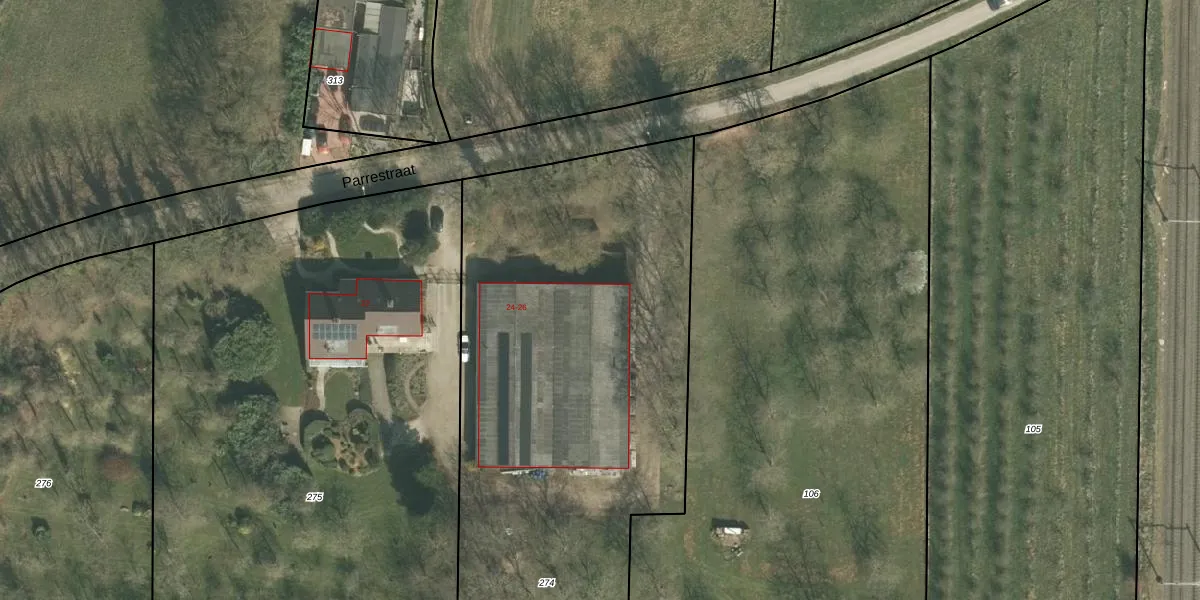
Het perceel waarop het adres ligt is EDN00-G-274. De afkorting 'EDN00' staat voor kadastrale gemeente Eijsden. De oppervlakte van het perceel is 3921 m². Dat is groter dan gemiddeld in Eijsden, waar de gemiddelde perceeloppervlakte op 2719,87 m² ligt. De grootste perceeloppervlakte in de kadastrale gemeente is 49,4 ha. De kleinste oppervlakte bedraagt 0 m². Op het perceel liggen in totaal 2 adressen. De laatste wijziging in het de Basisregistratie Kadaster (BRK) was op 20-12-2011.
Er is geen energielabel geregistreerd voor het adres. Het hoogste energielabel in de straat is A; het laagste is G. Het gemiddelde energielabel is er B. Het adres Parrestraat 26 heeft als status: 'verblijfsobject in gebruik'. Het pand waarin dit adres ligt heeft als status: 'pand in gebruik'.
Parrestraat 26 is een adres gelegen in de gemeente Eijsden-Margraten, provincie Limburg. Dit adres is geregistreerd in de Basisregistratie Adressen en Gebouwen (BAG) met als unieke identificatie 0905010000036980.
Het pand op Parrestraat 26 is gebouwd in 1996, wat betekent dat het 30 jaar oud is. Dit is een pand van middelbare leeftijd. Het pand is van gemiddelde leeftijd en zal waarschijnlijk verouderde elementen bevatten.
De woning op Parrestraat 26 heeft een gebruiksoppervlakte van 362 m². Dit is ruim vergeleken met de gemiddelde Nederlandse woning, die een oppervlakte heeft van ongeveer 119 m². De gebruiksoppervlakte is de maat die wordt gebruikt in de BAG-registratie, de landelijke registratie van de Nederlandse overheid.
Parrestraat 26 heeft als functie: logies/verblijf. Deze gebruiksfunctie(s) zijn vastgelegd in de BAG-registratie en geven aan waarvoor het adres officieel mag worden gebruikt.
Parrestraat 26 is gelegen op kadastraal perceel EDN00G274. Deze kadastrale aanduiding is uniek en wordt gebruikt door het Kadaster om eigendomsrechten en andere zakelijke rechten vast te leggen. Het perceel maakt onderdeel uit van de kadastrale gemeente Eijsden.
Het perceel waarop Parrestraat 26 staat heeft een oppervlakte van 3921 m². Dit is een zeer groot perceel. De perceeloppervlakte wordt geregistreerd door het Kadaster. Gedetailleerde informatie over de maten van dit perceel kunt u vinden in het rapport Kadastrale kaart met maatvoering van Parrestraat 26.
De eigenaar van Parrestraat 26 is op te vragen op deze pagina.
De informatie over dit adres is afkomstig uit officiële overheidsregistraties, voornamelijk de Basisregistratie Adressen en Gebouwen (BAG) en de Basisregistratie Kadaster (BRK). Deze gegevens worden beheerd door respectievelijk gemeenten en het Kadaster, en worden regelmatig bijgewerkt. Energielabelgegevens komen uit de database van de Rijksdienst voor Ondernemend Nederland (RVO).
