
Het adres Colenbranderstraat 35 bevindt zich in de plaats Eindhoven, in de gemeente Eindhoven en de provincie Noord-Brabant. Het perceel waarop het adres gelegen is heeft een oppervlakte van 2313 m². Het verblijfsobject is met 75 m² relatief klein. Dit is het grootste verblijfsobject. Gemiddeld hebben de objecten in de straat een oppervlakte van 60 m². Het kleinste verblijfsobject is er 12 m². Colenbranderstraat 35 bevindt zich in een pand uit het jaar 1964. Daarmee behoort het tot de groep relatief oude panden in Nederland die gebouwd zijn vóór 1965. Het gemiddelde bouwjaar in de straat is 1963 en dat van het oudste pand is 1962. Dit is het nieuwste object in de straat. Voor het verblijfsobject gelden deze gebruiksdoelen: 'woonfunctie'.
Deze woning is voor het laatst verkocht op 1 september 2023. Meer informatie over deze transactie? Bestel het Woningtransactierapport om de verkoopprijs en andere informatie te zien.
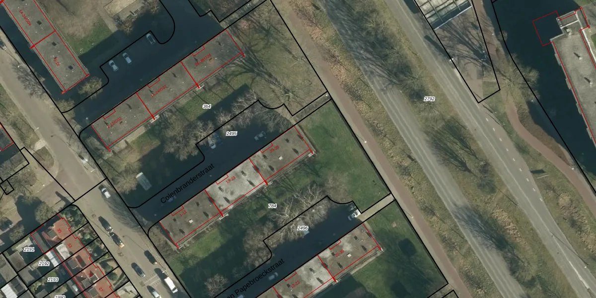
Het adres is gelegen op perceel 784 in de sectie P en de kadastrale gemeente Woensel. De kadastrale aanduiding is aldus WSL01-P-784. Het perceel is met 2313 m² relatief groot. Het gemiddelde ligt in de kadastrale gemeente Woensel op 1038,24 m². Het grootste perceel in de kadastrale gemeente is 74,9 ha. Het kleinste perceel heeft een oppervlakte van 0 m². Er zijn 24 adressen aanwezig op het perceel. In de Basisregistratie Kadaster (BRK) werden de grenzen van het perceel geregistreerd op 26-04-2006.
Er is geen energielabel geregistreerd voor het adres. Het hoogste energielabel in de straat is B; het laagste is G. Het gemiddelde energielabel is er D. Het adres Colenbranderstraat 35 heeft als status: 'verblijfsobject in gebruik'. Het pand waarin dit adres ligt heeft als status: 'pand in gebruik'.
Colenbranderstraat 35 is een adres gelegen in de gemeente Eindhoven, provincie Noord-Brabant. Dit adres is geregistreerd in de Basisregistratie Adressen en Gebouwen (BAG) met als unieke identificatie 0772010000812442.
Het pand op Colenbranderstraat 35 is gebouwd in 1964, wat betekent dat het 62 jaar oud is. Dit is een ouder pand. Het pand heeft mogelijk aanzienlijke renovaties nodig om aan de huidige standaarden te voldoen.
De woning op Colenbranderstraat 35 heeft een gebruiksoppervlakte van 75 m². Dit is onder het gemiddelde vergeleken met de gemiddelde Nederlandse woning, die een oppervlakte heeft van ongeveer 119 m². De gebruiksoppervlakte is de maat die wordt gebruikt in de BAG-registratie, de landelijke registratie van de Nederlandse overheid.
Colenbranderstraat 35 heeft als functie: wonen. Deze gebruiksfunctie(s) zijn vastgelegd in de BAG-registratie en geven aan waarvoor het adres officieel mag worden gebruikt.
Colenbranderstraat 35 is gelegen op kadastraal perceel WSL01P784. Deze kadastrale aanduiding is uniek en wordt gebruikt door het Kadaster om eigendomsrechten en andere zakelijke rechten vast te leggen. Het perceel maakt onderdeel uit van de kadastrale gemeente Woensel.
Het perceel waarop Colenbranderstraat 35 staat heeft een oppervlakte van 2313 m². Dit is een zeer groot perceel. De perceeloppervlakte wordt geregistreerd door het Kadaster. Gedetailleerde informatie over de maten van dit perceel kunt u vinden in het rapport Kadastrale kaart met maatvoering van Colenbranderstraat 35.
De eigenaar van Colenbranderstraat 35 is op te vragen op deze pagina.
De informatie over dit adres is afkomstig uit officiële overheidsregistraties, voornamelijk de Basisregistratie Adressen en Gebouwen (BAG) en de Basisregistratie Kadaster (BRK). Deze gegevens worden beheerd door respectievelijk gemeenten en het Kadaster, en worden regelmatig bijgewerkt. Energielabelgegevens komen uit de database van de Rijksdienst voor Ondernemend Nederland (RVO).
