
Floraplein 52 is een adres in Eindhoven, dat zich bevindt binnen de gemeentegrenzen van Eindhoven en de grenzen van de provincie Noord-Brabant. Het verblijfsobject is vergeleken met het Nederlandse gemiddelde aan de kleine kant: de oppervlakte is 65 m². Het perceel waarop het adres zich bevindt heeft een oppervlakte van 1620 m². Dit is het kleinste object van de straat. De gemiddelde oppervlakte van verblijfsobjecten is er 96 m². De grootste oppervlakte in de straat is 199 m². Floraplein 52 bevindt zich in een pand uit het jaar 1954. Daarmee behoort het tot de groep relatief oude panden in Nederland die gebouwd zijn vóór 1965. Dit object is relatief nieuw in de straat. Het nieuwste gebouw komt er uit het jaar 1972 en het oudste uit het jaar 1931. Voor het verblijfsobject gelden deze gebruiksdoelen: 'woonfunctie'.
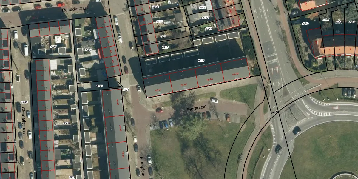
Het adres is gelegen op perceel 9013 in de sectie D en de kadastrale gemeente Stratum. De kadastrale aanduiding is aldus STM00-D-9013. Het perceel is met 1620 m² relatief groot. Het gemiddelde ligt in de kadastrale gemeente Stratum op 909,28 m². Het grootste perceel in de kadastrale gemeente is 92,9 ha. Het kleinste perceel heeft een oppervlakte van 0 m². Op het perceel liggen in totaal 24 adressen. De huidige grenzen van het perceel zijn digitaal in de Basisregistratie Kadaster (BRK) geregistreerd op 02-02-2026.
Het adres ligt in een gebouw van het type 'appartement met het subtype tussenvloer'. Bij de laatste meting is voor het adres het energielabel A+ geregistreerd. Het hoogste energielabel in de straat is A++; het laagste is G. Het gemiddelde energielabel is er A+. Het adres Floraplein 52 heeft als status: 'verblijfsobject in gebruik'. Het pand waarin dit adres ligt heeft als status: 'pand in gebruik'.
Floraplein 52 is een adres gelegen in de gemeente Eindhoven, provincie Noord-Brabant. Dit adres is geregistreerd in de Basisregistratie Adressen en Gebouwen (BAG) met als unieke identificatie 0772010000736970.
Het pand op Floraplein 52 is gebouwd in 1954, wat betekent dat het 72 jaar oud is. Dit is een ouder pand. Het pand heeft mogelijk aanzienlijke renovaties nodig om aan de huidige standaarden te voldoen.
De woning op Floraplein 52 heeft een gebruiksoppervlakte van 65 m². Dit is relatief klein vergeleken met de gemiddelde Nederlandse woning, die een oppervlakte heeft van ongeveer 119 m². De gebruiksoppervlakte is de maat die wordt gebruikt in de BAG-registratie, de landelijke registratie van de Nederlandse overheid.
Floraplein 52 heeft als functie: wonen. Deze gebruiksfunctie(s) zijn vastgelegd in de BAG-registratie en geven aan waarvoor het adres officieel mag worden gebruikt.
Floraplein 52 is gelegen op kadastraal perceel STM00D9013. Deze kadastrale aanduiding is uniek en wordt gebruikt door het Kadaster om eigendomsrechten en andere zakelijke rechten vast te leggen. Het perceel maakt onderdeel uit van de kadastrale gemeente Stratum.
Het perceel waarop Floraplein 52 staat heeft een oppervlakte van 1620 m². Dit is een zeer groot perceel. De perceeloppervlakte wordt geregistreerd door het Kadaster. Gedetailleerde informatie over de maten van dit perceel kunt u vinden in het rapport Kadastrale kaart met maatvoering van Floraplein 52.
De eigenaar van Floraplein 52 is op te vragen op deze pagina
De informatie over dit adres is afkomstig uit officiële overheidsregistraties, voornamelijk de Basisregistratie Adressen en Gebouwen (BAG) en de Basisregistratie Kadaster (BRK). Deze gegevens worden beheerd door respectievelijk gemeenten en het Kadaster, en worden regelmatig bijgewerkt. Energielabelgegevens komen uit de database van de Rijksdienst voor Ondernemend Nederland (RVO).
