
Generaal de Carislaan 16 is gelegen in de plaats Eindhoven, de gemeente Eindhoven en de provincie Noord-Brabant. Het verblijfsobject is vergeleken met het Nederlandse gemiddelde aan de kleine kant: de oppervlakte is 83 m². Het perceel waarop het adres zich bevindt heeft een oppervlakte van 1998 m². Vergeleken met de andere verblijfsobjecten in de straat is dit object groot. De oppervlakte van het grootste object in de straat is 134 m², die van het kleinste bedraagt 18 m². In Nederland komt het grootste deel van de gebouwen uit de periode 1965-1984. Ook het bouwjaar van Generaal de Carislaan 16 is afkomstig uit die periode: het betreft namelijk een pand uit 1966. Het nieuwste gebouw in de straat komt uit 1970 en het oudste uit 1965. Dit object is relatief oud. Voor het verblijfsobject gelden deze gebruiksdoelen: 'woonfunctie'.
Deze woning is voor het laatst verkocht op 1 juli 2024. Meer informatie over deze transactie? Bestel het Woningtransactierapport om de verkoopprijs en andere informatie te zien.
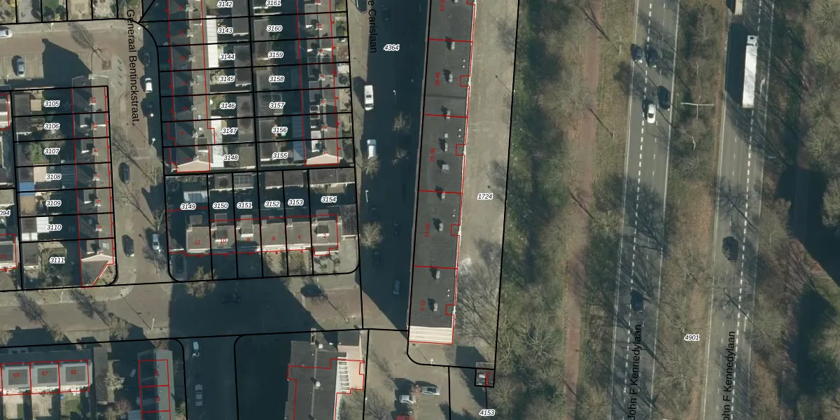
Het adres is gelegen op perceel 1724 in de sectie L en de kadastrale gemeente Woensel. De kadastrale aanduiding is aldus WSL01-L-1724. Het perceel is met 1998 m² relatief groot. Het gemiddelde ligt in de kadastrale gemeente Woensel op 1038,95 m². Het grootste perceel in de kadastrale gemeente is 74,9 ha. Het kleinste perceel heeft een oppervlakte van 0 m². Op het perceel liggen in totaal 30 adressen. De laatste wijziging in het de Basisregistratie Kadaster (BRK) was op 12-04-2006.
Het adres ligt in een gebouw van het type 'appartement met het subtype tussenvloer'. Bij de laatste meting is voor het adres het energielabel F geregistreerd. Het hoogste energielabel in de straat is A; het laagste is G. Het gemiddelde energielabel is er D. Het adres Generaal de Carislaan 16 heeft als status: 'verblijfsobject in gebruik'. Het pand waarin dit adres ligt heeft als status: 'pand in gebruik'.
Generaal de Carislaan 16 is een adres gelegen in de gemeente Eindhoven, provincie Noord-Brabant. Dit adres is geregistreerd in de Basisregistratie Adressen en Gebouwen (BAG) met als unieke identificatie 0772010000714740.
Het pand op Generaal de Carislaan 16 is gebouwd in 1966, wat betekent dat het 60 jaar oud is. Dit is een ouder pand. Het pand heeft mogelijk aanzienlijke renovaties nodig om aan de huidige standaarden te voldoen.
De woning op Generaal de Carislaan 16 heeft een gebruiksoppervlakte van 83 m². Dit is onder het gemiddelde vergeleken met de gemiddelde Nederlandse woning, die een oppervlakte heeft van ongeveer 119 m². De gebruiksoppervlakte is de maat die wordt gebruikt in de BAG-registratie, de landelijke registratie van de Nederlandse overheid.
Generaal de Carislaan 16 heeft als functie: wonen. Deze gebruiksfunctie(s) zijn vastgelegd in de BAG-registratie en geven aan waarvoor het adres officieel mag worden gebruikt.
Generaal de Carislaan 16 is gelegen op kadastraal perceel WSL01L1724. Deze kadastrale aanduiding is uniek en wordt gebruikt door het Kadaster om eigendomsrechten en andere zakelijke rechten vast te leggen. Het perceel maakt onderdeel uit van de kadastrale gemeente Woensel.
Het perceel waarop Generaal de Carislaan 16 staat heeft een oppervlakte van 1998 m². Dit is een zeer groot perceel. De perceeloppervlakte wordt geregistreerd door het Kadaster. Gedetailleerde informatie over de maten van dit perceel kunt u vinden in het rapport Kadastrale kaart met maatvoering van Generaal de Carislaan 16.
De eigenaar van Generaal de Carislaan 16 is op te vragen op deze pagina.
De informatie over dit adres is afkomstig uit officiële overheidsregistraties, voornamelijk de Basisregistratie Adressen en Gebouwen (BAG) en de Basisregistratie Kadaster (BRK). Deze gegevens worden beheerd door respectievelijk gemeenten en het Kadaster, en worden regelmatig bijgewerkt. Energielabelgegevens komen uit de database van de Rijksdienst voor Ondernemend Nederland (RVO).
