Product Functies Prijzen Meer

Adressen

Gebruik de zoekbalk of klik op een perceel voor informatie over de adressen binnen dit perceel.
Locatie
Meten
Lagen
Download

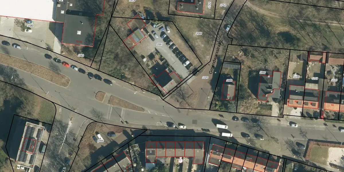
Groendwarsstraat 2

5642CA, Eindhoven

€ 1519312 Wat moet ik bieden voor deze woning?
128 m²
industriefunctie
1.315 m² perceeloppervlakte
?

Groendwarsstraat 2 is gelegen in de plaats Eindhoven, de gemeente Eindhoven en de provincie Noord-Brabant. Het verblijfsobject is 128 m² groot en bevindt zich op een perceel met een oppervlakte van 1315 m². Gemiddeld hebben adressen in Nederland een oppervlakte van 119 m². In de straat is dit het adres met de grootste oppervlakte. De objecten in de straat zijn gemiddeld 128 m² groot. Het kleinste verblijfsobject heeft een oppervlakte van 128 m². Het adres Groendwarsstraat 2 ligt in een relatief oud pand uit het jaar 1900. Panden van vóór het jaar 1965 hebben we hier geclassificeerd als oud. Het gemiddelde bouwjaar in de straat is 1900 en dat van het oudste pand is 1900. Dit is het nieuwste object in de straat. Voor het verblijfsobject gelden deze gebruiksdoelen: 'industriefunctie'.

Perceel

Het perceel waarop het adres ligt is TGR00-F-2067. De afkorting 'TGR00' staat voor kadastrale gemeente Tongelre. Het perceel is met 1315 m² relatief groot. Het gemiddelde ligt in de kadastrale gemeente Tongelre op 1285,92 m². De grootste perceeloppervlakte in de kadastrale gemeente is 48,0 ha. De kleinste oppervlakte bedraagt 0 m². Dit is het enige adres dat aanwezig is op het perceel. De laatste wijziging in het de Basisregistratie Kadaster (BRK) was op 20-02-2013.

Energielabel en status

Er is geen energielabel geregistreerd voor het adres. Het hoogste energielabel in de straat is G; het laagste is G. Het gemiddelde energielabel is er G. Het adres Groendwarsstraat 2 heeft als status: 'verblijfsobject in gebruik'. Het pand waarin dit adres ligt heeft als status: 'pand in gebruik'.

Meer lezen

Adres

Gebruiksoppervlakte
128 m²
Bruto vloeroppervlakte
PZzd8Y2oDXc4pTUpgrade naar KadastraleKaart Pro
Gebruiksdoel(en)
Industriefunctie
Status
Verblijfsobject in gebruik
Type
Onbekend
Gasloos
Z5G9HWQfIq3KmwFXM6k7jzUpgrade naar KadastraleKaart Pro
Gebeurtenissen
Appartementsrechten
2Yn1g91nKBIayUpgrade naar KadastraleKaart Pro
Eigenaar
Eigendomsinformatie 12,95
Adresinformatie bestellen
Adrespakket 34,95
VBO ID
0772010000716266

Pand

Bouwjaar pand
1900
Aantal adressen in dit gebouw
1 adres
Hoogte pand
Ils5VL9z EsRKVsUpgrade naar KadastraleKaart Pro
Aantal bouwlagen (schatting)
Cfi rivjQ0QPUpgrade naar KadastraleKaart Pro
Volume
A9rYwYzMOaoKAr3EpUpgrade naar KadastraleKaart Pro
Oppervlakte dak
kEPc6KTjmEgiUpgrade naar KadastraleKaart Pro
Oppervlakte buitenmuur
Rd wnd9N HDA0Upgrade naar KadastraleKaart Pro
Status pand
Pand in gebruik
Pand ID
0772100000297376

Perceel

Kadastrale aanduiding
Tongelre F 2067 (TGR00 F 2067)
Oppervlakte
1.315 m²
Maatvoering
Kadastrale kaart met maatvoering 59,95
Omtrek
152 meter
Datum laatst gewijzigd
20/02/2013
Aantal adressen op perceel
1
Hoogte boven N.A.P.
sIxNBAJtaUPAsUpgrade naar KadastraleKaart Pro

Veelgestelde vragen

Groendwarsstraat 2 is een adres gelegen in de gemeente Eindhoven, provincie Noord-Brabant. Dit adres is geregistreerd in de Basisregistratie Adressen en Gebouwen (BAG) met als unieke identificatie 0772010000716266.

Het pand op Groendwarsstraat 2 is gebouwd in 1900, wat betekent dat het 126 jaar oud is. Dit is een ouder pand. Het pand heeft mogelijk aanzienlijke renovaties nodig om aan de huidige standaarden te voldoen.

De woning op Groendwarsstraat 2 heeft een gebruiksoppervlakte van 128 m². Dit is gemiddeld vergeleken met de gemiddelde Nederlandse woning, die een oppervlakte heeft van ongeveer 119 m². De gebruiksoppervlakte is de maat die wordt gebruikt in de BAG-registratie, de landelijke registratie van de Nederlandse overheid.

Groendwarsstraat 2 heeft als functie: industrie. Deze gebruiksfunctie(s) zijn vastgelegd in de BAG-registratie en geven aan waarvoor het adres officieel mag worden gebruikt.

Groendwarsstraat 2 is gelegen op kadastraal perceel TGR00F2067. Deze kadastrale aanduiding is uniek en wordt gebruikt door het Kadaster om eigendomsrechten en andere zakelijke rechten vast te leggen. Het perceel maakt onderdeel uit van de kadastrale gemeente Tongelre.

Het perceel waarop Groendwarsstraat 2 staat heeft een oppervlakte van 1315 m². Dit is een zeer groot perceel. De perceeloppervlakte wordt geregistreerd door het Kadaster. Gedetailleerde informatie over de maten van dit perceel kunt u vinden in het rapport Kadastrale kaart met maatvoering van Groendwarsstraat 2.

De eigenaar van Groendwarsstraat 2 is op te vragen op deze pagina.

De informatie over dit adres is afkomstig uit officiële overheidsregistraties, voornamelijk de Basisregistratie Adressen en Gebouwen (BAG) en de Basisregistratie Kadaster (BRK). Deze gegevens worden beheerd door respectievelijk gemeenten en het Kadaster, en worden regelmatig bijgewerkt. Energielabelgegevens komen uit de database van de Rijksdienst voor Ondernemend Nederland (RVO).

Maatvoeringsrapport

Wie is de eigenaar?

Bekijk de eigenaar van Groendwarsstraat 2 met de eigendomsinformatie.
Bekijk de eigenaar van dit adres.
Maatvoeringsrapport

Maatvoering van het perceel

Bestel de maatvoering voor Groendwarsstraat 2 met het maatvoeringsrapport.
Bestel de maatvoering voor dit adres.

360°-foto's van de omgeving

Google Street View
Upgrade nu voor 360° Street View foto's

Zon en schaduw rondom adres

Buurt
Doornakkers-West
Inwoners: 3.555
Woningen: 1.687
Wijk
Doornakkers
Inwoners: 8.565
Woningen: 3.855
Gemeente
Eindhoven
Inwoners: 246.417
Woningen: 116.056