
Het adres Kernkampstraat 44 bevindt zich in de plaats Eindhoven, in de gemeente Eindhoven en de provincie Noord-Brabant. De oppervlakte van het object bedraagt 75 m². Dat is klein vergeleken met het Nederlandse gemiddelde. Het perceel waarop het adres ligt is 4520 m² groot. Dit is het grootste verblijfsobject. Gemiddeld hebben de objecten in de straat een oppervlakte van 60 m². Het kleinste verblijfsobject is er 12 m². Het adres Kernkampstraat 44 ligt in een relatief oud pand uit het jaar 1961. Panden van vóór het jaar 1965 hebben we hier geclassificeerd als oud. In de straat is dit het nieuwste pand en stamt het oudste object uit het jaar 1961. Het gemiddelde bouwjaar in de straat is 1961. Voor het verblijfsobject gelden deze gebruiksdoelen: 'woonfunctie'.
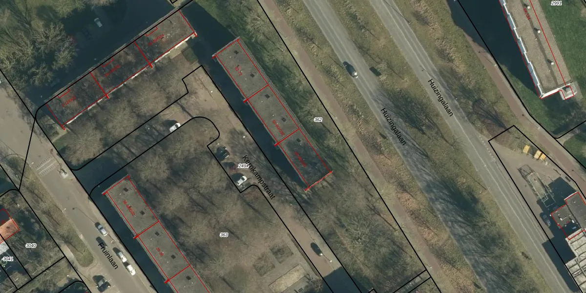
Het adres is gelegen op perceel 362 in de sectie P en de kadastrale gemeente Woensel. De kadastrale aanduiding is aldus WSL01-P-362. Het perceel is met 4520 m² relatief groot. Het gemiddelde ligt in de kadastrale gemeente Woensel op 1039,13 m². De grootste perceeloppervlakte in de kadastrale gemeente is 74,9 ha. De kleinste oppervlakte bedraagt 0 m². Op het perceel zijn 48 adressen aanwezig. In de Basisregistratie Kadaster (BRK) werden de grenzen van het perceel geregistreerd op 26-04-2006.
Het adres ligt in een gebouw van het type 'flatwoning (overig) met het subtype tussenmidden'. Bij de laatste meting is voor het adres het energielabel C geregistreerd. Het hoogste energielabel in de straat is C; het laagste is G. Het gemiddelde energielabel is er C. Het adres Kernkampstraat 44 heeft als status: 'verblijfsobject in gebruik'. Het pand waarin dit adres ligt heeft als status: 'pand in gebruik'.
Kernkampstraat 44 is een adres gelegen in de gemeente Eindhoven, provincie Noord-Brabant. Dit adres is geregistreerd in de Basisregistratie Adressen en Gebouwen (BAG) met als unieke identificatie 0772010000724831.
Het pand op Kernkampstraat 44 is gebouwd in 1961, wat betekent dat het 65 jaar oud is. Dit is een ouder pand. Het pand heeft mogelijk aanzienlijke renovaties nodig om aan de huidige standaarden te voldoen.
De woning op Kernkampstraat 44 heeft een gebruiksoppervlakte van 75 m². Dit is onder het gemiddelde vergeleken met de gemiddelde Nederlandse woning, die een oppervlakte heeft van ongeveer 119 m². De gebruiksoppervlakte is de maat die wordt gebruikt in de BAG-registratie, de landelijke registratie van de Nederlandse overheid.
Kernkampstraat 44 heeft als functie: wonen. Deze gebruiksfunctie(s) zijn vastgelegd in de BAG-registratie en geven aan waarvoor het adres officieel mag worden gebruikt.
Kernkampstraat 44 is gelegen op kadastraal perceel WSL01P362. Deze kadastrale aanduiding is uniek en wordt gebruikt door het Kadaster om eigendomsrechten en andere zakelijke rechten vast te leggen. Het perceel maakt onderdeel uit van de kadastrale gemeente Woensel.
Het perceel waarop Kernkampstraat 44 staat heeft een oppervlakte van 4520 m². Dit is een zeer groot perceel. De perceeloppervlakte wordt geregistreerd door het Kadaster. Gedetailleerde informatie over de maten van dit perceel kunt u vinden in het rapport Kadastrale kaart met maatvoering van Kernkampstraat 44.
De eigenaar van Kernkampstraat 44 is op te vragen op deze pagina
De informatie over dit adres is afkomstig uit officiële overheidsregistraties, voornamelijk de Basisregistratie Adressen en Gebouwen (BAG) en de Basisregistratie Kadaster (BRK). Deze gegevens worden beheerd door respectievelijk gemeenten en het Kadaster, en worden regelmatig bijgewerkt. Energielabelgegevens komen uit de database van de Rijksdienst voor Ondernemend Nederland (RVO).
