
Het adres Meteoorstraat 45 bevindt zich in de plaats Eindhoven, in de gemeente Eindhoven en de provincie Noord-Brabant. Het perceel waarop het verblijfsobject staat is 1,0 ha groot. De oppervlakte van het adres is 117 m², wat zich rond het Nederlandse gemiddelde van 119 m² bevindt. In vergelijking met de andere adressen in de straat is de oppervlakte van dit object relatief groot. Het grootste verblijfsobject heeft een oppervlakte van 137 m², de oppervlakte van het kleinste object bedraagt 16 m². In Nederland komt het grootste deel van de gebouwen uit de periode 1965-1984. Ook het bouwjaar van Meteoorstraat 45 is afkomstig uit die periode: het betreft namelijk een pand uit 1967. In de straat is dit het nieuwste pand en stamt het oudste object uit het jaar 1967. Het gemiddelde bouwjaar in de straat is 1967. De volgende gebruiksdoelen zijn geregistreerd voor dit adres: 'woonfunctie'.
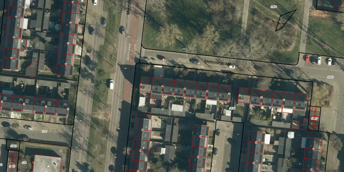
Het perceel waarop het adres ligt is WSL01-C-1436. De afkorting 'WSL01' staat voor kadastrale gemeente Woensel. De oppervlakte van het perceel is 1,0 ha. Dat is groter dan gemiddeld in Woensel, waar de gemiddelde perceeloppervlakte op 1038,24 m² ligt. Het grootste perceel in de kadastrale gemeente is 74,9 ha. Het kleinste perceel heeft een oppervlakte van 0 m². Op het perceel zijn 58 adressen aanwezig. In de Basisregistratie Kadaster (BRK) werden de grenzen van het perceel geregistreerd op 13-04-2006.
Het adres ligt in een gebouw van het type 'rijwoning tussen'. Bij de laatste meting is voor het adres het energielabel D geregistreerd. Het hoogste energielabel in de straat is A+; het laagste is G. Het gemiddelde energielabel is er A. Het adres Meteoorstraat 45 heeft als status: 'verblijfsobject in gebruik'. Het pand waarin dit adres ligt heeft als status: 'pand in gebruik'.
Meteoorstraat 45 is een adres gelegen in de gemeente Eindhoven, provincie Noord-Brabant. Dit adres is geregistreerd in de Basisregistratie Adressen en Gebouwen (BAG) met als unieke identificatie 0772010000762367.
Het pand op Meteoorstraat 45 is gebouwd in 1967, wat betekent dat het 59 jaar oud is. Dit is een ouder pand. Het pand heeft mogelijk aanzienlijke renovaties nodig om aan de huidige standaarden te voldoen.
De woning op Meteoorstraat 45 heeft een gebruiksoppervlakte van 117 m². Dit is onder het gemiddelde vergeleken met de gemiddelde Nederlandse woning, die een oppervlakte heeft van ongeveer 119 m². De gebruiksoppervlakte is de maat die wordt gebruikt in de BAG-registratie, de landelijke registratie van de Nederlandse overheid.
Meteoorstraat 45 heeft als functie: wonen. Deze gebruiksfunctie(s) zijn vastgelegd in de BAG-registratie en geven aan waarvoor het adres officieel mag worden gebruikt.
Meteoorstraat 45 is gelegen op kadastraal perceel WSL01C1436. Deze kadastrale aanduiding is uniek en wordt gebruikt door het Kadaster om eigendomsrechten en andere zakelijke rechten vast te leggen. Het perceel maakt onderdeel uit van de kadastrale gemeente Woensel.
Het perceel waarop Meteoorstraat 45 staat heeft een oppervlakte van 1,0 ha. Dit is een zeer groot perceel. De perceeloppervlakte wordt geregistreerd door het Kadaster. Gedetailleerde informatie over de maten van dit perceel kunt u vinden in het rapport Kadastrale kaart met maatvoering van Meteoorstraat 45.
De eigenaar van Meteoorstraat 45 is op te vragen op deze pagina.
De informatie over dit adres is afkomstig uit officiële overheidsregistraties, voornamelijk de Basisregistratie Adressen en Gebouwen (BAG) en de Basisregistratie Kadaster (BRK). Deze gegevens worden beheerd door respectievelijk gemeenten en het Kadaster, en worden regelmatig bijgewerkt. Energielabelgegevens komen uit de database van de Rijksdienst voor Ondernemend Nederland (RVO).
