
Het adres 't Hofke 13 bevindt zich in de plaats Eindhoven, in de gemeente Eindhoven en de provincie Noord-Brabant. De oppervlakte van het verblijfsobject is met 275 m² aan de grote kant. Het perceel heeft een oppervlakte van 1662 m². De oppervlakte van dit adres is groot vergeleken met de oppervlaktes van andere adressen in de straat. De kleinste oppervlakte bedraagt er 24 m², de grootste 720 m². 't Hofke 13 bevindt zich in een pand uit het jaar 1825. Daarmee behoort het tot de groep relatief oude panden in Nederland die gebouwd zijn vóór 1965. Gemiddeld zijn de gebouwen in de straat gebouwd in 1965. Dit is het oudste pand in de straat. Het meest recente komt uit het jaar 2012. De volgende gebruiksdoelen zijn geregistreerd voor dit adres: 'woonfunctie'.
Deze woning is voor het laatst verkocht op 1 september 2021. Meer informatie over deze transactie? Bestel het Woningtransactierapport om de verkoopprijs en andere informatie te zien.
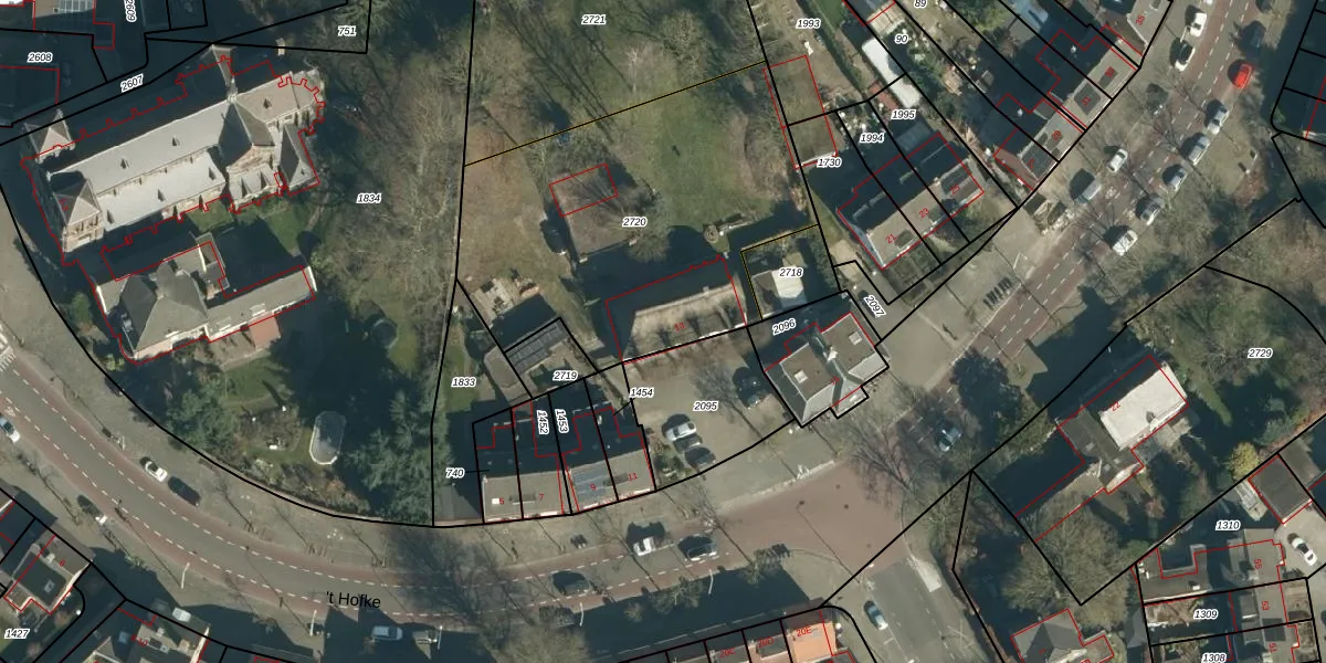
Het adres ligt op het perceel TGR00-G-2720, dat zich in de kadastrale gemeente Tongelre bevindt. De oppervlakte van het perceel is 1662 m². Dat is groter dan gemiddeld in Tongelre, waar de gemiddelde perceeloppervlakte op 1286,54 m² ligt. Het grootste perceel in de kadastrale gemeente is 48,0 ha. Het kleinste perceel heeft een oppervlakte van 0 m². Op het perceel bevinden zich geen andere adressen. In de Basisregistratie Kadaster (BRK) werden de grenzen van het perceel geregistreerd op 27-03-2019.
Er is geen energielabel geregistreerd voor het adres. Het hoogste energielabel in de straat is A++; het laagste is G. Het gemiddelde energielabel is er B. Het adres 't Hofke 13 heeft als status: 'verbouwing verblijfsobject'. Het pand waarin dit adres ligt heeft als status: 'pand in gebruik'.
't Hofke 13 is een adres gelegen in de gemeente Eindhoven, provincie Noord-Brabant. Dit adres is geregistreerd in de Basisregistratie Adressen en Gebouwen (BAG) met als unieke identificatie 0772010000793278.
Het pand op 't Hofke 13 is gebouwd in 1825, wat betekent dat het 201 jaar oud is. Dit is een ouder pand. Het pand heeft mogelijk aanzienlijke renovaties nodig om aan de huidige standaarden te voldoen.
De woning op 't Hofke 13 heeft een gebruiksoppervlakte van 275 m². Dit is ruim vergeleken met de gemiddelde Nederlandse woning, die een oppervlakte heeft van ongeveer 119 m². De gebruiksoppervlakte is de maat die wordt gebruikt in de BAG-registratie, de landelijke registratie van de Nederlandse overheid.
't Hofke 13 heeft als functie: wonen. Deze gebruiksfunctie(s) zijn vastgelegd in de BAG-registratie en geven aan waarvoor het adres officieel mag worden gebruikt.
't Hofke 13 is gelegen op kadastraal perceel TGR00G2720. Deze kadastrale aanduiding is uniek en wordt gebruikt door het Kadaster om eigendomsrechten en andere zakelijke rechten vast te leggen. Het perceel maakt onderdeel uit van de kadastrale gemeente Tongelre.
Het perceel waarop 't Hofke 13 staat heeft een oppervlakte van 1662 m². Dit is een zeer groot perceel. De perceeloppervlakte wordt geregistreerd door het Kadaster. Gedetailleerde informatie over de maten van dit perceel kunt u vinden in het rapport Kadastrale kaart met maatvoering van 't Hofke 13.
De eigenaar van 't Hofke 13 is op te vragen op deze pagina.
De informatie over dit adres is afkomstig uit officiële overheidsregistraties, voornamelijk de Basisregistratie Adressen en Gebouwen (BAG) en de Basisregistratie Kadaster (BRK). Deze gegevens worden beheerd door respectievelijk gemeenten en het Kadaster, en worden regelmatig bijgewerkt. Energielabelgegevens komen uit de database van de Rijksdienst voor Ondernemend Nederland (RVO).
