
Het adres Vaartbroek 43 bevindt zich in de plaats Eindhoven, in de gemeente Eindhoven en de provincie Noord-Brabant. Het perceel waarop het verblijfsobject staat is 4434 m² groot. De oppervlakte van het adres is 106 m², wat zich rond het Nederlandse gemiddelde van 119 m² bevindt. Het object is klein ten opzichte van de andere adressen in de straat. Het grootste verblijfsobject is 130 m² groot en het kleinste is 94 m². In Nederland komt het grootste deel van de gebouwen uit de periode 1965-1984. Ook het bouwjaar van Vaartbroek 43 is afkomstig uit die periode: het betreft namelijk een pand uit 1967. In de straat komt het nieuwste gebouw uit het jaar 1969 en het oudste uit 1964. Het bouwjaar van dit object is relatief oud. Voor het verblijfsobject gelden deze gebruiksdoelen: 'woonfunctie'.
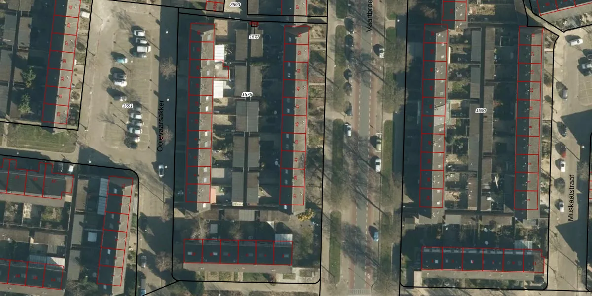
Het perceel waarop het adres ligt is WSL01-C-1576. De afkorting 'WSL01' staat voor kadastrale gemeente Woensel. Het perceel is met 4434 m² relatief groot. Het gemiddelde ligt in de kadastrale gemeente Woensel op 1038,24 m². Het grootste perceel in de kadastrale gemeente is 74,9 ha. Het kleinste perceel heeft een oppervlakte van 0 m². Op het perceel zijn 26 adressen aanwezig. In de Basisregistratie Kadaster (BRK) werden de grenzen van het perceel geregistreerd op 05-04-2006.
Het adres ligt in een gebouw van het type 'rijwoning tussen'. Bij de laatste meting is voor het adres het energielabel D geregistreerd. Het hoogste energielabel in de straat is A; het laagste is G. Het gemiddelde energielabel is er D. Het adres Vaartbroek 43 heeft als status: 'verblijfsobject in gebruik'. Het pand waarin dit adres ligt heeft als status: 'pand in gebruik'.
Vaartbroek 43 is een adres gelegen in de gemeente Eindhoven, provincie Noord-Brabant. Dit adres is geregistreerd in de Basisregistratie Adressen en Gebouwen (BAG) met als unieke identificatie 0772010000768979.
Het pand op Vaartbroek 43 is gebouwd in 1967, wat betekent dat het 59 jaar oud is. Dit is een ouder pand. Het pand heeft mogelijk aanzienlijke renovaties nodig om aan de huidige standaarden te voldoen.
De woning op Vaartbroek 43 heeft een gebruiksoppervlakte van 106 m². Dit is onder het gemiddelde vergeleken met de gemiddelde Nederlandse woning, die een oppervlakte heeft van ongeveer 119 m². De gebruiksoppervlakte is de maat die wordt gebruikt in de BAG-registratie, de landelijke registratie van de Nederlandse overheid.
Vaartbroek 43 heeft als functie: wonen. Deze gebruiksfunctie(s) zijn vastgelegd in de BAG-registratie en geven aan waarvoor het adres officieel mag worden gebruikt.
Vaartbroek 43 is gelegen op kadastraal perceel WSL01C1576. Deze kadastrale aanduiding is uniek en wordt gebruikt door het Kadaster om eigendomsrechten en andere zakelijke rechten vast te leggen. Het perceel maakt onderdeel uit van de kadastrale gemeente Woensel.
Het perceel waarop Vaartbroek 43 staat heeft een oppervlakte van 4434 m². Dit is een zeer groot perceel. De perceeloppervlakte wordt geregistreerd door het Kadaster. Gedetailleerde informatie over de maten van dit perceel kunt u vinden in het rapport Kadastrale kaart met maatvoering van Vaartbroek 43.
De eigenaar van Vaartbroek 43 is op te vragen op deze pagina.
De informatie over dit adres is afkomstig uit officiële overheidsregistraties, voornamelijk de Basisregistratie Adressen en Gebouwen (BAG) en de Basisregistratie Kadaster (BRK). Deze gegevens worden beheerd door respectievelijk gemeenten en het Kadaster, en worden regelmatig bijgewerkt. Energielabelgegevens komen uit de database van de Rijksdienst voor Ondernemend Nederland (RVO).
