
Het adres Elsendorpseweg 28-f bevindt zich in de plaats Elsendorp, in de gemeente Elsendorp en de provincie Noord-Brabant. De oppervlakte van het verblijfsobject is met 400 m² aan de grote kant. Het perceel heeft een oppervlakte van 5930 m². Het object is klein ten opzichte van de andere adressen in de straat. Het grootste verblijfsobject is 5460 m² groot en het kleinste is 27 m². Elsendorpseweg 28-f ligt in een gebouw uit het jaar 2025. Daarmee behoort het tot de groep panden van na 1984, die we als relatief nieuw bestempelen. Dit pand is het meest recent exemplaar in de straat. Het oudste object komt er uit 1910 en het gemiddelde bouwjaar is 1961. Het verblijfsobject heeft de volgende gebruiksdoelen: 'industriefunctie'.
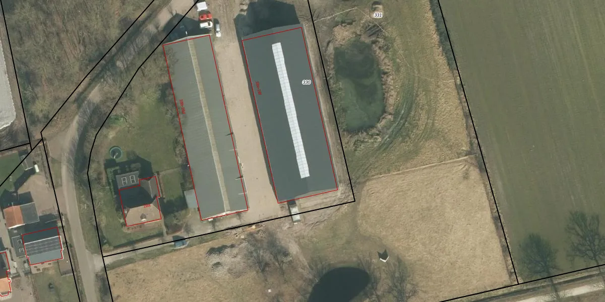
Het perceel waarop het adres ligt is GMT00-P-330. De afkorting 'GMT00' staat voor kadastrale gemeente Gemert. De gemiddelde perceeloppervlakte in de kadastrale gemeente Gemert is 4648,6 m². Dit perceel is met zijn 5930 m² dus groter dan gemiddeld. Het grootste perceel in de kadastrale gemeente is 67,8 ha. Het kleinste perceel heeft een oppervlakte van 0 m². Op het perceel liggen in totaal 6 adressen. In de Basisregistratie Kadaster (BRK) werden de grenzen van het perceel geregistreerd op 29-03-2005.
Er is geen energielabel geregistreerd voor het adres. Het hoogste energielabel in de straat is A+++; het laagste is G. Het gemiddelde energielabel is er D. Het adres Elsendorpseweg 28-f heeft als status: 'verblijfsobject in gebruik'. Het pand waarin dit adres ligt heeft als status: 'pand in gebruik'.
Elsendorpseweg 28-f is een adres gelegen in de gemeente Gemert-Bakel, provincie Noord-Brabant. Dit adres is geregistreerd in de Basisregistratie Adressen en Gebouwen (BAG) met als unieke identificatie 1652010000016907.
Het pand op Elsendorpseweg 28-f is gebouwd in 2025, wat betekent dat het 1 jaar oud is. Dit is een vrij nieuw pand. Het pand is dus waarschijnlijk goed geïsoleerd, geluidsdicht en voldoet aan de huidige bouwstandaarden. Op korte termijn zijn er waarschijnlijk weinig onderhoudskosten.
De woning op Elsendorpseweg 28-f heeft een gebruiksoppervlakte van 400 m². Dit is ruim vergeleken met de gemiddelde Nederlandse woning, die een oppervlakte heeft van ongeveer 119 m². De gebruiksoppervlakte is de maat die wordt gebruikt in de BAG-registratie, de landelijke registratie van de Nederlandse overheid.
Elsendorpseweg 28-f heeft als functie: industrie. Deze gebruiksfunctie(s) zijn vastgelegd in de BAG-registratie en geven aan waarvoor het adres officieel mag worden gebruikt.
Elsendorpseweg 28-f is gelegen op kadastraal perceel GMT00P330. Deze kadastrale aanduiding is uniek en wordt gebruikt door het Kadaster om eigendomsrechten en andere zakelijke rechten vast te leggen. Het perceel maakt onderdeel uit van de kadastrale gemeente Gemert.
Het perceel waarop Elsendorpseweg 28-f staat heeft een oppervlakte van 5930 m². Dit is een zeer groot perceel. De perceeloppervlakte wordt geregistreerd door het Kadaster. Gedetailleerde informatie over de maten van dit perceel kunt u vinden in het rapport Kadastrale kaart met maatvoering van Elsendorpseweg 28-f.
De eigenaar van Elsendorpseweg 28-f is op te vragen op deze pagina.
De informatie over dit adres is afkomstig uit officiële overheidsregistraties, voornamelijk de Basisregistratie Adressen en Gebouwen (BAG) en de Basisregistratie Kadaster (BRK). Deze gegevens worden beheerd door respectievelijk gemeenten en het Kadaster, en worden regelmatig bijgewerkt. Energielabelgegevens komen uit de database van de Rijksdienst voor Ondernemend Nederland (RVO).
