
Steinderweg 12 is gelegen in de plaats Elsloo, de gemeente Stein en de provincie Limburg. De oppervlakte bedraagt 201 m², waarmee het adres groter dan gemiddeld is. De grootte van het perceel waarop het adres ligt is 1160 m². Vergeleken met de andere verblijfsobjecten in de straat is dit object groot. De oppervlakte van het grootste object in de straat is 276 m², die van het kleinste bedraagt 9 m². Steinderweg 12 bevindt zich in een pand uit het jaar 1931. Daarmee behoort het tot de groep relatief oude panden in Nederland die gebouwd zijn vóór 1965. In de straat komt het nieuwste gebouw uit het jaar 2012 en het oudste uit 1840. Het bouwjaar van dit object is relatief oud. Voor het verblijfsobject gelden deze gebruiksdoelen: 'woonfunctie'.
Deze woning is voor het laatst verkocht op 1 juni 2009. Meer informatie over deze transactie? Bestel het Woningtransactierapport om de verkoopprijs en andere informatie te zien.
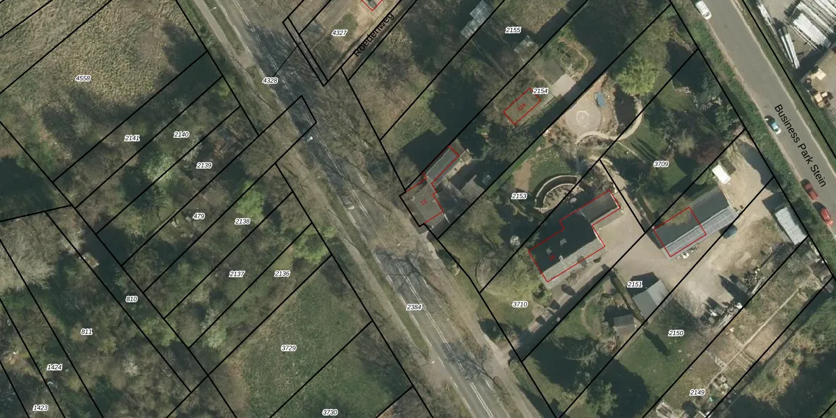
Het adres is gelegen op perceel 2154 in de sectie A en de kadastrale gemeente Elsloo. De kadastrale aanduiding is aldus ELO00-A-2154. De gemiddelde perceelgrootte in Elsloo is 1263,58 m². Dit perceel is kleiner: de perceeloppervlakte bedraagt 1160 m². Het grootste perceel in de kadastrale gemeente is 23,8 ha. Het kleinste perceel heeft een oppervlakte van 0 m². Op het perceel zijn 2 adressen aanwezig. De laatste wijziging in het de Basisregistratie Kadaster (BRK) was op 17-07-2009.
Er is geen energielabel geregistreerd voor het adres. Het hoogste energielabel in de straat is B; het laagste is G. Het gemiddelde energielabel is er D. Het adres Steinderweg 12 heeft als status: 'verblijfsobject in gebruik'. Het pand waarin dit adres ligt heeft als status: 'pand in gebruik'.
Steinderweg 12 is een adres gelegen in de gemeente Stein, provincie Limburg. Dit adres is geregistreerd in de Basisregistratie Adressen en Gebouwen (BAG) met als unieke identificatie 0971010000512254.
Het pand op Steinderweg 12 is gebouwd in 1931, wat betekent dat het 95 jaar oud is. Dit is een ouder pand. Het pand heeft mogelijk aanzienlijke renovaties nodig om aan de huidige standaarden te voldoen.
De woning op Steinderweg 12 heeft een gebruiksoppervlakte van 201 m². Dit is ruim vergeleken met de gemiddelde Nederlandse woning, die een oppervlakte heeft van ongeveer 119 m². De gebruiksoppervlakte is de maat die wordt gebruikt in de BAG-registratie, de landelijke registratie van de Nederlandse overheid.
Steinderweg 12 heeft als functie: wonen. Deze gebruiksfunctie(s) zijn vastgelegd in de BAG-registratie en geven aan waarvoor het adres officieel mag worden gebruikt.
Steinderweg 12 is gelegen op kadastraal perceel ELO00A2154. Deze kadastrale aanduiding is uniek en wordt gebruikt door het Kadaster om eigendomsrechten en andere zakelijke rechten vast te leggen. Het perceel maakt onderdeel uit van de kadastrale gemeente Elsloo.
Het perceel waarop Steinderweg 12 staat heeft een oppervlakte van 1160 m². Dit is een zeer groot perceel. De perceeloppervlakte wordt geregistreerd door het Kadaster. Gedetailleerde informatie over de maten van dit perceel kunt u vinden in het rapport Kadastrale kaart met maatvoering van Steinderweg 12.
De eigenaar van Steinderweg 12 is op te vragen op deze pagina.
De informatie over dit adres is afkomstig uit officiële overheidsregistraties, voornamelijk de Basisregistratie Adressen en Gebouwen (BAG) en de Basisregistratie Kadaster (BRK). Deze gegevens worden beheerd door respectievelijk gemeenten en het Kadaster, en worden regelmatig bijgewerkt. Energielabelgegevens komen uit de database van de Rijksdienst voor Ondernemend Nederland (RVO).
