
Het adres Bergweg 140-e bevindt zich in de plaats Elspeet, in de gemeente Elspeet en de provincie Gelderland. De oppervlakte van het object bedraagt 50 m². Dat is klein vergeleken met het Nederlandse gemiddelde. Het perceel waarop het adres ligt is 3,5 ha groot. Er zijn geen kleinere objecten in deze straat. De gemiddelde oppervlakte is er 133 m². Het grootste verblijfsobject is 293 m². Het pand waarin Bergweg 140-e ligt is gebouwd in het jaar 2015. Panden die gebouwd zijn na het jaar 1984 noemen we hier relatief nieuw. In de straat is dit het nieuwste pand en stamt het oudste object uit het jaar 1926. Het gemiddelde bouwjaar in de straat is 1979. De volgende gebruiksdoelen zijn geregistreerd voor dit adres: 'logiesfunctie'.
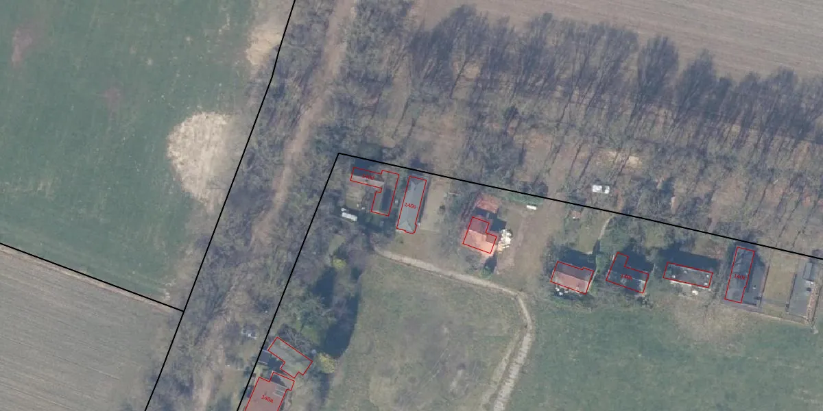
Het adres ligt op het perceel NST01-F-6003, dat zich in de kadastrale gemeente Nunspeet bevindt. De oppervlakte van het perceel is 3,5 ha. Dat is groter dan gemiddeld in Nunspeet, waar de gemiddelde perceeloppervlakte op 7211,51 m² ligt. Het kleinste perceel in de kadastrale gemeente is 0 m² groot. De grootste perceeloppervlakte is 1,70 km². Op het perceel zijn 6 adressen aanwezig. In de Basisregistratie Kadaster (BRK) werden de grenzen van het perceel geregistreerd op 02-08-2002.
Er is geen energielabel geregistreerd voor het adres. Het hoogste energielabel in de straat is C; het laagste is G. Het gemiddelde energielabel is er C. Het adres Bergweg 140-e heeft als status: 'verblijfsobject in gebruik'. Het pand waarin dit adres ligt heeft als status: 'pand in gebruik'.
Bergweg 140-e is een adres gelegen in de gemeente Nunspeet, provincie Gelderland. Dit adres is geregistreerd in de Basisregistratie Adressen en Gebouwen (BAG) met als unieke identificatie 0302010000056469.
Het pand op Bergweg 140-e is gebouwd in 2015, wat betekent dat het 11 jaar oud is. Dit is een relatief modern pand. Ten opzichte van de nationale woningvoorraad is het pand relatief modern, maar er kunnen enkele verouderde elementen zijn die aandacht nodig hebben.
De woning op Bergweg 140-e heeft een gebruiksoppervlakte van 50 m². Dit is relatief klein vergeleken met de gemiddelde Nederlandse woning, die een oppervlakte heeft van ongeveer 119 m². De gebruiksoppervlakte is de maat die wordt gebruikt in de BAG-registratie, de landelijke registratie van de Nederlandse overheid.
Bergweg 140-e heeft als functie: logies/verblijf. Deze gebruiksfunctie(s) zijn vastgelegd in de BAG-registratie en geven aan waarvoor het adres officieel mag worden gebruikt.
Bergweg 140-e is gelegen op kadastraal perceel NST01F6003. Deze kadastrale aanduiding is uniek en wordt gebruikt door het Kadaster om eigendomsrechten en andere zakelijke rechten vast te leggen. Het perceel maakt onderdeel uit van de kadastrale gemeente Nunspeet.
Het perceel waarop Bergweg 140-e staat heeft een oppervlakte van 3,5 ha. Dit is een zeer groot perceel. De perceeloppervlakte wordt geregistreerd door het Kadaster. Gedetailleerde informatie over de maten van dit perceel kunt u vinden in het rapport Kadastrale kaart met maatvoering van Bergweg 140-e.
De eigenaar van Bergweg 140-e is op te vragen op deze pagina.
De informatie over dit adres is afkomstig uit officiële overheidsregistraties, voornamelijk de Basisregistratie Adressen en Gebouwen (BAG) en de Basisregistratie Kadaster (BRK). Deze gegevens worden beheerd door respectievelijk gemeenten en het Kadaster, en worden regelmatig bijgewerkt. Energielabelgegevens komen uit de database van de Rijksdienst voor Ondernemend Nederland (RVO).
