
Rijksweg-Noord 90 is gelegen in de plaats Elst, de gemeente Overbetuwe en de provincie Gelderland. Het object heeft een oppervlakte van 359 m², wat relatief groot is. Het perceel waarop het adres ligt is 312 m² groot. De oppervlakte van dit adres is groot vergeleken met de oppervlaktes van andere adressen in de straat. De kleinste oppervlakte bedraagt er 33 m², de grootste 922 m². Het adres Rijksweg-Noord 90 ligt in een relatief oud pand uit het jaar 1840. Panden van vóór het jaar 1965 hebben we hier geclassificeerd als oud. Het gemiddelde bouwjaar in de straat is 1957 en dat van het nieuwste object 2025. In de straat is dit het oudste pand. De volgende gebruiksdoelen zijn geregistreerd voor dit adres: 'woonfunctie'.
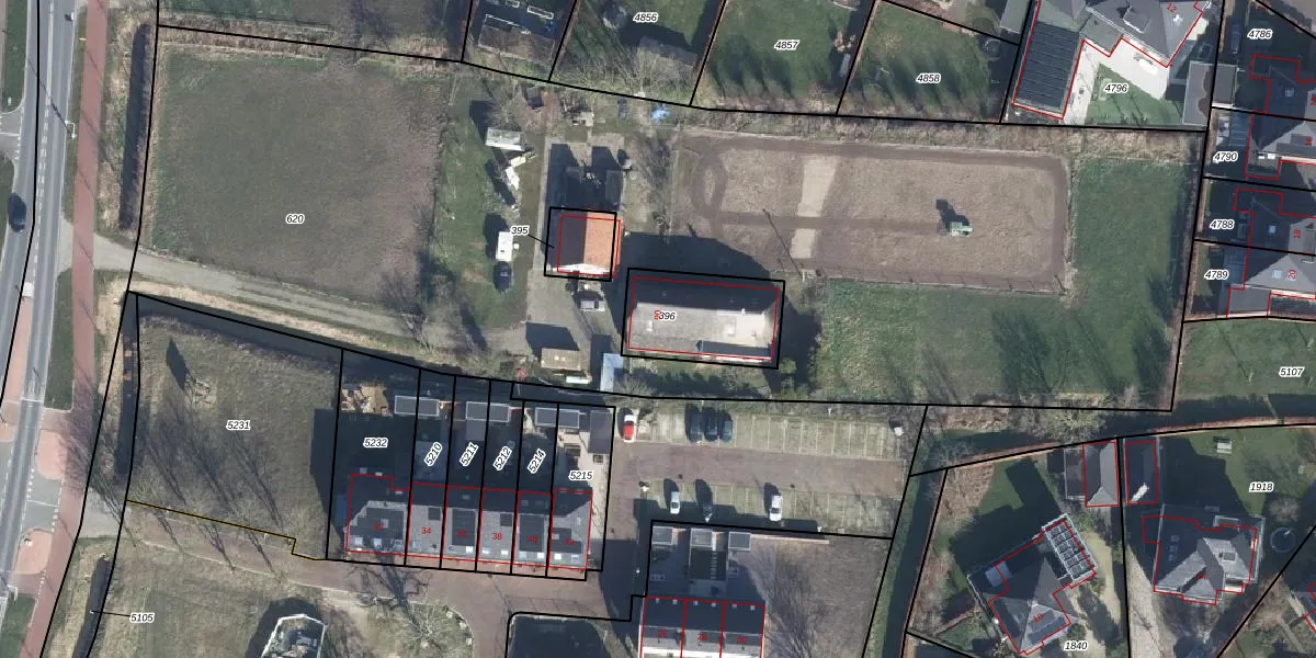
Het adres ligt op het perceel ELS00-N-396, dat zich in de kadastrale gemeente Elst bevindt. Het perceel is 312 m² groot. Dat is kleiner dan de gemiddelde perceeloppervlakte in Elst, dat op 2923,36 m² ligt. De grootste perceeloppervlakte in de kadastrale gemeente is 35,2 ha. De kleinste oppervlakte bedraagt 0 m². Dit is het enige adres dat aanwezig is op het perceel. De laatste wijziging in het de Basisregistratie Kadaster (BRK) was op 08-12-2004.
Er is geen energielabel geregistreerd voor het adres. Het hoogste energielabel in de straat is A+; het laagste is G. Het gemiddelde energielabel is er C. Het adres Rijksweg-Noord 90 heeft als status: 'verblijfsobject in gebruik'. Het pand waarin dit adres ligt heeft als status: 'pand in gebruik'.
Rijksweg-Noord 90 is een adres gelegen in de gemeente Overbetuwe, provincie Gelderland. Dit adres is geregistreerd in de Basisregistratie Adressen en Gebouwen (BAG) met als unieke identificatie 1734010000004212.
Het pand op Rijksweg-Noord 90 is gebouwd in 1840, wat betekent dat het 186 jaar oud is. Dit is een ouder pand. Het pand heeft mogelijk aanzienlijke renovaties nodig om aan de huidige standaarden te voldoen.
De woning op Rijksweg-Noord 90 heeft een gebruiksoppervlakte van 359 m². Dit is ruim vergeleken met de gemiddelde Nederlandse woning, die een oppervlakte heeft van ongeveer 119 m². De gebruiksoppervlakte is de maat die wordt gebruikt in de BAG-registratie, de landelijke registratie van de Nederlandse overheid.
Rijksweg-Noord 90 heeft als functie: wonen. Deze gebruiksfunctie(s) zijn vastgelegd in de BAG-registratie en geven aan waarvoor het adres officieel mag worden gebruikt.
Rijksweg-Noord 90 is gelegen op kadastraal perceel ELS00N396. Deze kadastrale aanduiding is uniek en wordt gebruikt door het Kadaster om eigendomsrechten en andere zakelijke rechten vast te leggen. Het perceel maakt onderdeel uit van de kadastrale gemeente Elst.
Het perceel waarop Rijksweg-Noord 90 staat heeft een oppervlakte van 312 m². Dit is een groot perceel. De perceeloppervlakte wordt geregistreerd door het Kadaster. Gedetailleerde informatie over de maten van dit perceel kunt u vinden in het rapport Kadastrale kaart met maatvoering van Rijksweg-Noord 90.
De eigenaar van Rijksweg-Noord 90 is op te vragen op deze pagina.
De informatie over dit adres is afkomstig uit officiële overheidsregistraties, voornamelijk de Basisregistratie Adressen en Gebouwen (BAG) en de Basisregistratie Kadaster (BRK). Deze gegevens worden beheerd door respectievelijk gemeenten en het Kadaster, en worden regelmatig bijgewerkt. Energielabelgegevens komen uit de database van de Rijksdienst voor Ondernemend Nederland (RVO).
