
Rijksstraatweg 160-N-1 is een adres in Elst Ut, dat zich bevindt binnen de gemeentegrenzen van Elst Ut en de grenzen van de provincie Utrecht. Het perceel waarop het adres gelegen is heeft een oppervlakte van 134 m². Het verblijfsobject is met 82 m² relatief klein. De oppervlakte van het adres is klein vergeleken met de andere objecten in de straat. De oppervlakte van het kleinste object in de straat bedraagt 9 m², terwijl het grootste object 1140 m² groot is. In het jaar 1988 is het pand waarin Rijksstraatweg 160-N-1 ligt gebouwd. Dat is relatief recent: de meeste gebouwen in Nederland zijn gebouwd in de periode 1965-1984. Vergeleken met de andere panden in de straat is dit gebouw nieuw. Het vroegste bouwjaar is er 1817 en het laatste is 2026. Het verblijfsobject heeft de volgende gebruiksdoelen: 'overige gebruiksfunctie'.
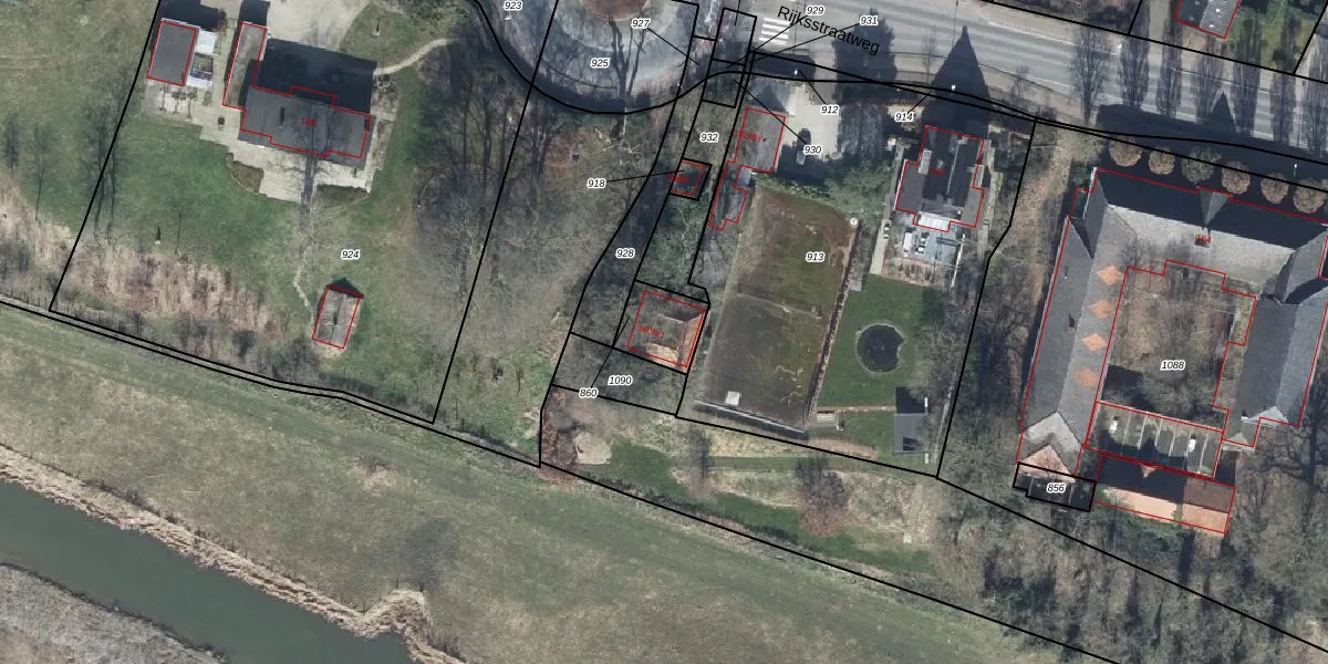
Het adres is gelegen op perceel 860 in de sectie I en de kadastrale gemeente Rhenen. De kadastrale aanduiding is aldus RNN01-I-860. Het perceel is kleiner dan gemiddeld in Rhenen. Het perceel is 134 m² groot, terwijl het gemiddelde ligt op 4281,88 m². De grootste perceeloppervlakte in de kadastrale gemeente is 1,05 km². De kleinste oppervlakte bedraagt 0 m². Dit is het enige adres dat aanwezig is op het perceel. De huidige grenzen van het perceel zijn digitaal in de Basisregistratie Kadaster (BRK) geregistreerd op 17-01-2003.
Er is geen energielabel geregistreerd voor het adres. Het hoogste energielabel in de straat is A++++; het laagste is G. Het gemiddelde energielabel is er C. Het adres Rijksstraatweg 160-N-1 heeft als status: 'verblijfsobject in gebruik'. Het pand waarin dit adres ligt heeft als status: 'pand in gebruik'.
Rijksstraatweg 160-N-1 is een adres gelegen in de gemeente Rhenen, provincie Utrecht. Dit adres is geregistreerd in de Basisregistratie Adressen en Gebouwen (BAG) met als unieke identificatie 0340010000355871.
Het pand op Rijksstraatweg 160-N-1 is gebouwd in 1988, wat betekent dat het 38 jaar oud is. Dit is een pand van middelbare leeftijd. Het pand is van gemiddelde leeftijd en zal waarschijnlijk verouderde elementen bevatten.
De woning op Rijksstraatweg 160-N-1 heeft een gebruiksoppervlakte van 82 m². Dit is onder het gemiddelde vergeleken met de gemiddelde Nederlandse woning, die een oppervlakte heeft van ongeveer 119 m². De gebruiksoppervlakte is de maat die wordt gebruikt in de BAG-registratie, de landelijke registratie van de Nederlandse overheid.
Rijksstraatweg 160-N-1 heeft als functie: overige doeleinden. Deze gebruiksfunctie(s) zijn vastgelegd in de BAG-registratie en geven aan waarvoor het adres officieel mag worden gebruikt.
Rijksstraatweg 160-N-1 is gelegen op kadastraal perceel RNN01I860. Deze kadastrale aanduiding is uniek en wordt gebruikt door het Kadaster om eigendomsrechten en andere zakelijke rechten vast te leggen. Het perceel maakt onderdeel uit van de kadastrale gemeente Rhenen.
Het perceel waarop Rijksstraatweg 160-N-1 staat heeft een oppervlakte van 134 m². Dit is een middelgroot perceel. De perceeloppervlakte wordt geregistreerd door het Kadaster. Gedetailleerde informatie over de maten van dit perceel kunt u vinden in het rapport Kadastrale kaart met maatvoering van Rijksstraatweg 160-N-1.
De eigenaar van Rijksstraatweg 160-N-1 is op te vragen op deze pagina.
De informatie over dit adres is afkomstig uit officiële overheidsregistraties, voornamelijk de Basisregistratie Adressen en Gebouwen (BAG) en de Basisregistratie Kadaster (BRK). Deze gegevens worden beheerd door respectievelijk gemeenten en het Kadaster, en worden regelmatig bijgewerkt. Energielabelgegevens komen uit de database van de Rijksdienst voor Ondernemend Nederland (RVO).
