
Het adres Kleiweg 10 bevindt zich in de plaats Emmeloord, in de gemeente Emmeloord en de provincie Flevoland. De oppervlakte bedraagt 183 m², waarmee het adres groter dan gemiddeld is. De grootte van het perceel waarop het adres ligt is 9060 m². Het object is klein ten opzichte van de andere adressen in de straat. Het grootste verblijfsobject is 8126 m² groot en het kleinste is 4 m². Het gebouw waarin Kleiweg 10 ligt komt uit het jaar 1950. Objecten die gebouwd zijn vóór 1965 classificeren we hier als oud. In de straat komt het nieuwste gebouw uit het jaar 2020 en het oudste uit 1944. Het bouwjaar van dit object is relatief oud. De volgende gebruiksdoelen zijn geregistreerd voor dit adres: 'woonfunctie' en 'industriefunctie'.
Deze woning is voor het laatst verkocht op 1 maart 2000. Meer informatie over deze transactie? Bestel het Woningtransactierapport om de verkoopprijs en andere informatie te zien.
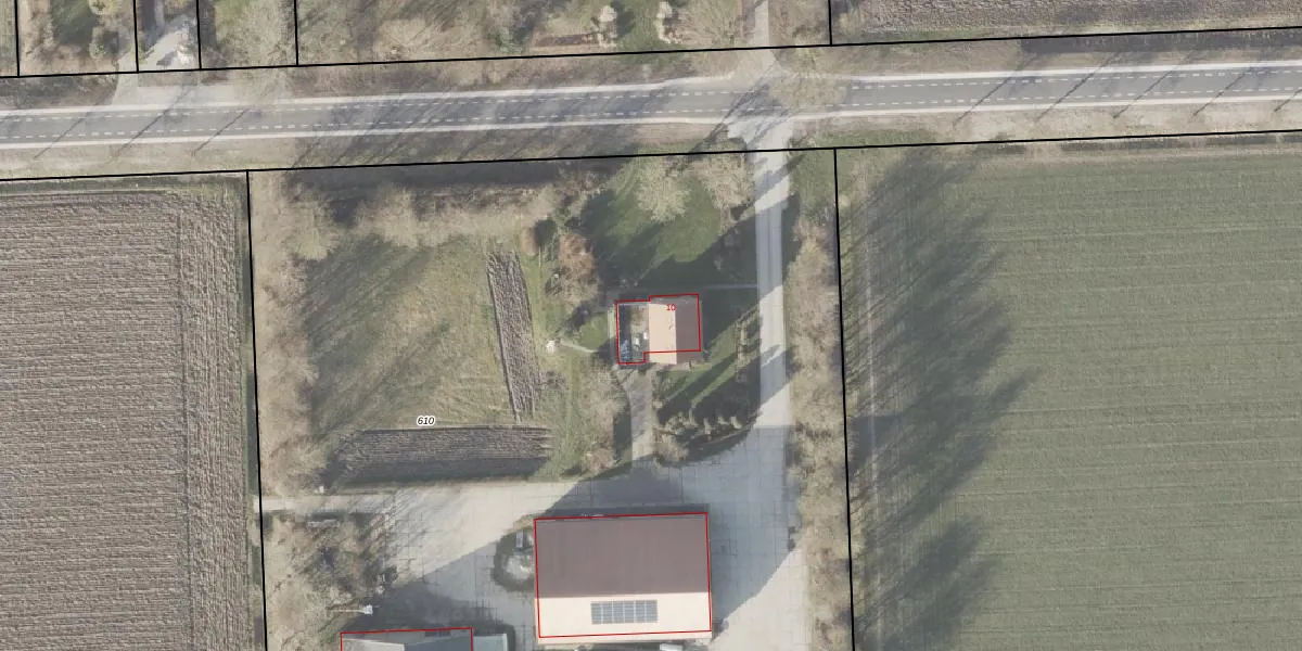
Het perceel waarop het adres ligt is NOP00-A-610. De afkorting 'NOP00' staat voor kadastrale gemeente Noordoostpolder. Het perceel is 9060 m² groot. Dat is kleiner dan de gemiddelde perceeloppervlakte in Noordoostpolder, dat op 2,0 ha ligt. Het kleinste perceel in de kadastrale gemeente is 0 m² groot. De grootste perceeloppervlakte is 47,42 km². Er zijn geen andere adressen aanwezig op het perceel. In de Basisregistratie Kadaster (BRK) werden de grenzen van het perceel geregistreerd op 20-08-1997.
Er is geen energielabel geregistreerd voor het adres. Het hoogste energielabel in de straat is A; het laagste is G. Het gemiddelde energielabel is er B. Het adres Kleiweg 10 heeft als status: 'verblijfsobject in gebruik'. Het pand waarin dit adres ligt heeft als status: 'pand in gebruik'.
Kleiweg 10 is een adres gelegen in de gemeente Noordoostpolder, provincie Flevoland. Dit adres is geregistreerd in de Basisregistratie Adressen en Gebouwen (BAG) met als unieke identificatie 0171010000015207.
Het pand op Kleiweg 10 is gebouwd in 1950, wat betekent dat het 76 jaar oud is. Dit is een ouder pand. Het pand heeft mogelijk aanzienlijke renovaties nodig om aan de huidige standaarden te voldoen.
De woning op Kleiweg 10 heeft een gebruiksoppervlakte van 183 m². Dit is ruim vergeleken met de gemiddelde Nederlandse woning, die een oppervlakte heeft van ongeveer 119 m². De gebruiksoppervlakte is de maat die wordt gebruikt in de BAG-registratie, de landelijke registratie van de Nederlandse overheid.
Kleiweg 10 heeft als functie: wonen en industrie. Deze gebruiksfunctie(s) zijn vastgelegd in de BAG-registratie en geven aan waarvoor het adres officieel mag worden gebruikt.
Kleiweg 10 is gelegen op kadastraal perceel NOP00A610. Deze kadastrale aanduiding is uniek en wordt gebruikt door het Kadaster om eigendomsrechten en andere zakelijke rechten vast te leggen. Het perceel maakt onderdeel uit van de kadastrale gemeente Noordoostpolder.
Het perceel waarop Kleiweg 10 staat heeft een oppervlakte van 9060 m². Dit is een zeer groot perceel. De perceeloppervlakte wordt geregistreerd door het Kadaster. Gedetailleerde informatie over de maten van dit perceel kunt u vinden in het rapport Kadastrale kaart met maatvoering van Kleiweg 10.
De eigenaar van Kleiweg 10 is op te vragen op deze pagina.
De informatie over dit adres is afkomstig uit officiële overheidsregistraties, voornamelijk de Basisregistratie Adressen en Gebouwen (BAG) en de Basisregistratie Kadaster (BRK). Deze gegevens worden beheerd door respectievelijk gemeenten en het Kadaster, en worden regelmatig bijgewerkt. Energielabelgegevens komen uit de database van de Rijksdienst voor Ondernemend Nederland (RVO).
