
Kleiweg 5-TR is gelegen in de plaats Emmeloord, de gemeente Noordoostpolder en de provincie Flevoland. De oppervlakte van het object bedraagt 4 m². Dat is klein vergeleken met het Nederlandse gemiddelde. Het perceel waarop het adres ligt is 16 m² groot. Er zijn geen kleinere objecten in deze straat. De gemiddelde oppervlakte is er 544 m². Het grootste verblijfsobject is 8126 m². De meeste Nederlandse gebouwen zijn gebouwd in de periode 1965-1984. Zo ook het pand waarin Kleiweg 5-TR ligt, dat gebouwd is in 1976. Veel andere gebouwen in de straat zijn ouder dan dit pand. Het oudste pand komt uit het jaar 1944 en het nieuwste uit 2020. Het verblijfsobject heeft de volgende gebruiksdoelen: 'overige gebruiksfunctie'.
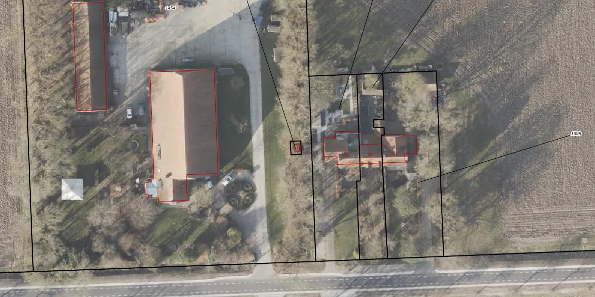
Het adres ligt op het perceel NOP00-A-1453, dat zich in de kadastrale gemeente Noordoostpolder bevindt. Het perceel is kleiner dan gemiddeld in Noordoostpolder. Het perceel is 16 m² groot, terwijl het gemiddelde ligt op 2,0 ha. De grootste perceeloppervlakte in de kadastrale gemeente is 47,42 km². De kleinste oppervlakte bedraagt 0 m². Er zijn geen andere adressen aanwezig op het perceel. De laatste wijziging in het de Basisregistratie Kadaster (BRK) was op 20-08-1997.
Er is geen energielabel geregistreerd voor het adres. Het hoogste energielabel in de straat is A; het laagste is G. Het gemiddelde energielabel is er B. Het adres Kleiweg 5-TR heeft als status: 'verblijfsobject in gebruik'. Het pand waarin dit adres ligt heeft als status: 'pand in gebruik'.
Kleiweg 5-TR is een adres gelegen in de gemeente Noordoostpolder, provincie Flevoland. Dit adres is geregistreerd in de Basisregistratie Adressen en Gebouwen (BAG) met als unieke identificatie 0171010000031448.
Het pand op Kleiweg 5-TR is gebouwd in 1976, wat betekent dat het 50 jaar oud is. Dit is een ouder pand. Het pand heeft mogelijk aanzienlijke renovaties nodig om aan de huidige standaarden te voldoen.
De woning op Kleiweg 5-TR heeft een gebruiksoppervlakte van 4 m². Dit is relatief klein vergeleken met de gemiddelde Nederlandse woning, die een oppervlakte heeft van ongeveer 119 m². De gebruiksoppervlakte is de maat die wordt gebruikt in de BAG-registratie, de landelijke registratie van de Nederlandse overheid.
Kleiweg 5-TR heeft als functie: overige doeleinden. Deze gebruiksfunctie(s) zijn vastgelegd in de BAG-registratie en geven aan waarvoor het adres officieel mag worden gebruikt.
Kleiweg 5-TR is gelegen op kadastraal perceel NOP00A1453. Deze kadastrale aanduiding is uniek en wordt gebruikt door het Kadaster om eigendomsrechten en andere zakelijke rechten vast te leggen. Het perceel maakt onderdeel uit van de kadastrale gemeente Noordoostpolder.
Het perceel waarop Kleiweg 5-TR staat heeft een oppervlakte van 16 m². Dit is een klein perceel. De perceeloppervlakte wordt geregistreerd door het Kadaster. Gedetailleerde informatie over de maten van dit perceel kunt u vinden in het rapport Kadastrale kaart met maatvoering van Kleiweg 5-TR.
De eigenaar van Kleiweg 5-TR is op te vragen op deze pagina.
De informatie over dit adres is afkomstig uit officiële overheidsregistraties, voornamelijk de Basisregistratie Adressen en Gebouwen (BAG) en de Basisregistratie Kadaster (BRK). Deze gegevens worden beheerd door respectievelijk gemeenten en het Kadaster, en worden regelmatig bijgewerkt. Energielabelgegevens komen uit de database van de Rijksdienst voor Ondernemend Nederland (RVO).
