Product Functies Prijzen Meer

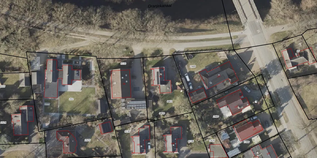
Adressen

Gebruik de zoekbalk of klik op een perceel voor informatie over de adressen binnen dit perceel.
Locatie
Meten
Lagen
Download

Eikenweg 63

7825VC, Emmen

1519312 Wat moet ik bieden voor deze woning?
154 m²
woonfunctie
945 m² perceeloppervlakte
B

Eikenweg 63 is een adres in Emmen, dat zich bevindt binnen de gemeentegrenzen van Emmen en de grenzen van de provincie Drenthe. De oppervlakte van het verblijfsobject is met 154 m² aan de grote kant. Het perceel heeft een oppervlakte van 945 m². Er zijn geen kleinere objecten in deze straat. De gemiddelde oppervlakte is er 226 m². Het grootste verblijfsobject is 314 m². In het jaar 1998 is het pand waarin Eikenweg 63 ligt gebouwd. Dat is relatief recent: de meeste gebouwen in Nederland zijn gebouwd in de periode 1965-1984. Dit pand is het meest recent exemplaar in de straat. Het oudste object komt er uit 1905 en het gemiddelde bouwjaar is 1966. De volgende gebruiksdoelen zijn geregistreerd voor dit adres: 'woonfunctie'.

Perceel

Het adres ligt op het perceel EMN00-W-9401, dat zich in de kadastrale gemeente Emmen bevindt. Het perceel is 945 m² groot. Dat is kleiner dan de gemiddelde perceeloppervlakte in Emmen, dat op 5229,33 m² ligt. De grootste perceeloppervlakte in de kadastrale gemeente is 1,29 km². De kleinste oppervlakte bedraagt 0 m². Op het perceel bevinden zich geen andere adressen. De huidige grenzen van het perceel zijn digitaal in de Basisregistratie Kadaster (BRK) geregistreerd op 22-05-2023.

Energielabel en status

Het adres ligt in een gebouw van het type 'vrijstaande woning'. Bij de laatste meting is voor het adres het energielabel B geregistreerd. Het hoogste energielabel in de straat is A; het laagste is G. Het gemiddelde energielabel is er A. Het adres Eikenweg 63 heeft als status: 'verblijfsobject in gebruik'. Het pand waarin dit adres ligt heeft als status: 'pand in gebruik'.

Meer lezen

Adres

Gebruiksoppervlakte
154 m²
Bruto vloeroppervlakte
vF TMKFyYu CnUpgrade naar KadastraleKaart Pro
Gebruiksdoel(en)
Woonfunctie
Status
Verblijfsobject in gebruik
Type
Vrijstaande woning
Gasloos
tsikeHJ 6NtF zYTHwf760Upgrade naar KadastraleKaart Pro
Gebeurtenissen
Appartementsrechten
M bRaYZt mEUpgrade naar KadastraleKaart Pro
Eigenaar
Eigendomsinformatie 12,95
Adresinformatie bestellen
Adrespakket 34,95
VBO ID
0114010000360518

Pand

Bouwjaar pand
1998
Aantal adressen in dit gebouw
1 adres
Hoogte pand
PRF yKdfsoPnFFUpgrade naar KadastraleKaart Pro
Aantal bouwlagen (schatting)
4KTAa0OlMIOnbrnSxYUpgrade naar KadastraleKaart Pro
Volume
axqBpBkQD6kxq wqZ q2Upgrade naar KadastraleKaart Pro
Oppervlakte dak
0LH 1 cVIMSbaQWqI L xUpgrade naar KadastraleKaart Pro
Oppervlakte buitenmuur
K0BwqPAXZKhMnUpgrade naar KadastraleKaart Pro
Status pand
Pand in gebruik
Pand ID
0114100000219914

Perceel

Kadastrale aanduiding
Emmen W 9401 (EMN00 W 9401)
Oppervlakte
945 m²
Maatvoering
Kadastrale kaart met maatvoering 59,95
Omtrek
127 meter
Datum laatst gewijzigd
22/05/2023
Aantal adressen op perceel
1
Hoogte boven N.A.P.
1 05J YeBr4WeUpgrade naar KadastraleKaart Pro

Veelgestelde vragen

Eikenweg 63 is een adres gelegen in de gemeente Emmen, provincie Drenthe. Dit adres is geregistreerd in de Basisregistratie Adressen en Gebouwen (BAG) met als unieke identificatie 0114010000360518.

Het pand op Eikenweg 63 is gebouwd in 1998, wat betekent dat het 28 jaar oud is. Dit is een pand van middelbare leeftijd. Het pand is van gemiddelde leeftijd en zal waarschijnlijk verouderde elementen bevatten.

De woning op Eikenweg 63 heeft een gebruiksoppervlakte van 154 m². Dit is ruim vergeleken met de gemiddelde Nederlandse woning, die een oppervlakte heeft van ongeveer 119 m². De gebruiksoppervlakte is de maat die wordt gebruikt in de BAG-registratie, de landelijke registratie van de Nederlandse overheid.

Eikenweg 63 heeft als functie: wonen. Deze gebruiksfunctie(s) zijn vastgelegd in de BAG-registratie en geven aan waarvoor het adres officieel mag worden gebruikt.

Eikenweg 63 is gelegen op kadastraal perceel EMN00W9401. Deze kadastrale aanduiding is uniek en wordt gebruikt door het Kadaster om eigendomsrechten en andere zakelijke rechten vast te leggen. Het perceel maakt onderdeel uit van de kadastrale gemeente Emmen.

Het perceel waarop Eikenweg 63 staat heeft een oppervlakte van 945 m². Dit is een groot perceel. De perceeloppervlakte wordt geregistreerd door het Kadaster. Gedetailleerde informatie over de maten van dit perceel kunt u vinden in het rapport Kadastrale kaart met maatvoering van Eikenweg 63.

De eigenaar van Eikenweg 63 is op te vragen op deze pagina.

De informatie over dit adres is afkomstig uit officiële overheidsregistraties, voornamelijk de Basisregistratie Adressen en Gebouwen (BAG) en de Basisregistratie Kadaster (BRK). Deze gegevens worden beheerd door respectievelijk gemeenten en het Kadaster, en worden regelmatig bijgewerkt. Energielabelgegevens komen uit de database van de Rijksdienst voor Ondernemend Nederland (RVO).

Maatvoeringsrapport

Wie is de eigenaar?

Bekijk de eigenaar van Eikenweg 63 met de eigendomsinformatie.
Bekijk de eigenaar van dit adres.
Maatvoeringsrapport

Maatvoering van het perceel

Bestel de maatvoering voor Eikenweg 63 met het maatvoeringsrapport.
Bestel de maatvoering voor dit adres.

360°-foto's van de omgeving

Google Street View
Upgrade nu voor 360° Street View foto's

Zon en schaduw rondom adres

Buurt
Zuidbarge
Inwoners: 400
Woningen: 158
Wijk
Wijk 52 Kern Emmen Zuid
Inwoners: 1.495
Woningen: 557
Gemeente
Emmen
Inwoners: 109.346
Woningen: 50.002