Product Functies Prijzen Meer

Adressen

Gebruik de zoekbalk of klik op een perceel voor informatie over de adressen binnen dit perceel.
Locatie
Meten
Lagen
Download

Wendeling 13-B159

Emmen

1519312 Wat moet ik bieden voor deze woning?
16 m²
overige gebruiksfunctie
19 m² perceeloppervlakte
?

Het adres Wendeling 13-B159 bevindt zich in de plaats Emmen, in de gemeente Emmen en de provincie Drenthe. Het verblijfsobject is vergeleken met het Nederlandse gemiddelde aan de kleine kant: de oppervlakte is 16 m². Het perceel waarop het adres zich bevindt heeft een oppervlakte van 19 m². Het adres is klein vergeleken met andere objecten in de straat. Het grootste object in de straat heeft een oppervlakte van 9626 m², het kleinste is 15 m² groot. In Nederland komt het grootste deel van de gebouwen uit de periode 1965-1984. Ook het bouwjaar van Wendeling 13-B159 is afkomstig uit die periode: het betreft namelijk een pand uit 1969. Het nieuwste gebouw in de straat komt uit 2012 en het oudste uit 1963. Dit object is relatief oud. De volgende gebruiksdoelen zijn geregistreerd voor dit adres: 'overige gebruiksfunctie'.

Perceel

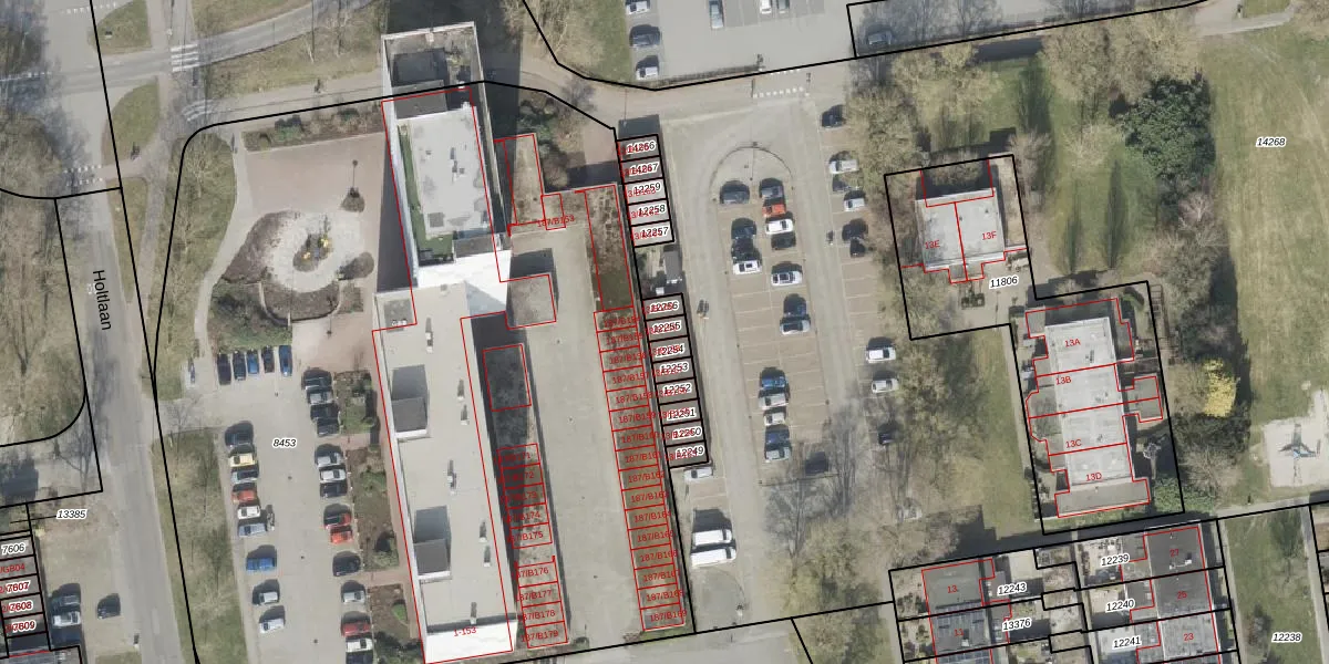
Het adres ligt op het perceel EMN00-F-12255, dat zich in de kadastrale gemeente Emmen bevindt. Het perceel is 19 m² groot. Dat is kleiner dan de gemiddelde perceeloppervlakte in Emmen, dat op 5229,04 m² ligt. Het grootste perceel in de kadastrale gemeente is 1,29 km². Het kleinste perceel heeft een oppervlakte van 0 m². Op het perceel bevinden zich geen andere adressen. In de Basisregistratie Kadaster (BRK) werden de grenzen van het perceel geregistreerd op 17-09-2003.

Energielabel en status

Er is geen energielabel geregistreerd voor het adres. Het hoogste energielabel in de straat is A; het laagste is G. Het gemiddelde energielabel is er C. Het adres Wendeling 13-B159 heeft als status: 'verblijfsobject in gebruik'. Het pand waarin dit adres ligt heeft als status: 'pand in gebruik'.

Meer lezen

Adres

Gebruiksoppervlakte
16 m²
Bruto vloeroppervlakte
X8D1KBfKKHty L94wlQ4cmUpgrade naar KadastraleKaart Pro
Gebruiksdoel(en)
Overige Gebruiksfunctie
Status
Verblijfsobject in gebruik
Type
Onbekend
Gasloos
cD2qirsxL7SBINgpUpgrade naar KadastraleKaart Pro
Gebeurtenissen
Appartementsrechten
aEF4YQftN0 aM0UjUpgrade naar KadastraleKaart Pro
Eigenaar
Eigendomsinformatie 12,95
Adresinformatie bestellen
Adrespakket 34,95
VBO ID
0114010000339098

Pand

Bouwjaar pand
1969
Aantal adressen in dit gebouw
1 adres
Hoogte pand
rrg4VJ1Upgrade naar KadastraleKaart Pro
Aantal bouwlagen (schatting)
21yCl16IUpgrade naar KadastraleKaart Pro
Volume
7H9Y1fURKwVTzq7OUpgrade naar KadastraleKaart Pro
Oppervlakte dak
0ZdxbR kUum1 TUMH8HF9fRUpgrade naar KadastraleKaart Pro
Oppervlakte buitenmuur
5r SsG l1oDaALuKPUpgrade naar KadastraleKaart Pro
Status pand
Pand in gebruik
Pand ID
0114100000209748

Perceel

Kadastrale aanduiding
Emmen F 12255 (EMN00 F 12255)
Oppervlakte
19 m²
Maatvoering
Kadastrale kaart met maatvoering 59,95
Omtrek
19 meter
Datum laatst gewijzigd
17/09/2003
Aantal adressen op perceel
1
Hoogte boven N.A.P.
wRZUPoiidg4CUpgrade naar KadastraleKaart Pro

Veelgestelde vragen

Wendeling 13-B159 is een adres gelegen in de gemeente Emmen, provincie Drenthe. Dit adres is geregistreerd in de Basisregistratie Adressen en Gebouwen (BAG) met als unieke identificatie 0114010000339098.

Het pand op Wendeling 13-B159 is gebouwd in 1969, wat betekent dat het 57 jaar oud is. Dit is een ouder pand. Het pand heeft mogelijk aanzienlijke renovaties nodig om aan de huidige standaarden te voldoen.

De woning op Wendeling 13-B159 heeft een gebruiksoppervlakte van 16 m². Dit is relatief klein vergeleken met de gemiddelde Nederlandse woning, die een oppervlakte heeft van ongeveer 119 m². De gebruiksoppervlakte is de maat die wordt gebruikt in de BAG-registratie, de landelijke registratie van de Nederlandse overheid.

Wendeling 13-B159 heeft als functie: overige doeleinden. Deze gebruiksfunctie(s) zijn vastgelegd in de BAG-registratie en geven aan waarvoor het adres officieel mag worden gebruikt.

Wendeling 13-B159 is gelegen op kadastraal perceel EMN00F12255. Deze kadastrale aanduiding is uniek en wordt gebruikt door het Kadaster om eigendomsrechten en andere zakelijke rechten vast te leggen. Het perceel maakt onderdeel uit van de kadastrale gemeente Emmen.

Het perceel waarop Wendeling 13-B159 staat heeft een oppervlakte van 19 m². Dit is een klein perceel. De perceeloppervlakte wordt geregistreerd door het Kadaster. Gedetailleerde informatie over de maten van dit perceel kunt u vinden in het rapport Kadastrale kaart met maatvoering van Wendeling 13-B159.

De eigenaar van Wendeling 13-B159 is op te vragen op deze pagina.

De informatie over dit adres is afkomstig uit officiële overheidsregistraties, voornamelijk de Basisregistratie Adressen en Gebouwen (BAG) en de Basisregistratie Kadaster (BRK). Deze gegevens worden beheerd door respectievelijk gemeenten en het Kadaster, en worden regelmatig bijgewerkt. Energielabelgegevens komen uit de database van de Rijksdienst voor Ondernemend Nederland (RVO).

Maatvoeringsrapport

Wie is de eigenaar?

Bekijk de eigenaar van Wendeling 13-B159 met de eigendomsinformatie.
Bekijk de eigenaar van dit adres.
Maatvoeringsrapport

Maatvoering van het perceel

Bestel de maatvoering voor Wendeling 13-B159 met het maatvoeringsrapport.
Bestel de maatvoering voor dit adres.

360°-foto's van de omgeving

Google Street View
Upgrade nu voor 360° Street View foto's

Zon en schaduw rondom adres

Buurt
Angelslo
Inwoners: 7.695
Woningen: 3.796
Wijk
Wijk 43 Angelslo
Inwoners: 7.695
Woningen: 3.796
Gemeente
Emmen
Inwoners: 109.346
Woningen: 50.002