
Beneluxlaan 173 is een adres in Enschede, dat zich bevindt binnen de gemeentegrenzen van Enschede en de grenzen van de provincie Overijssel. Het perceel waarop het adres gelegen is heeft een oppervlakte van 1,1 ha. Het verblijfsobject is met 58 m² relatief klein. Het adres is klein vergeleken met andere objecten in de straat. Het grootste object in de straat heeft een oppervlakte van 229 m², het kleinste is 15 m² groot. Het adres Beneluxlaan 173 ligt in een relatief oud pand uit het jaar 1963. Panden van vóór het jaar 1965 hebben we hier geclassificeerd als oud. Het bouwjaar is oud vergeleken met dat van de andere panden in de straat. Het oudste bouwjaar is er 1960 en de nieuwste is 2002. Het verblijfsobject heeft de volgende gebruiksdoelen: 'woonfunctie'.
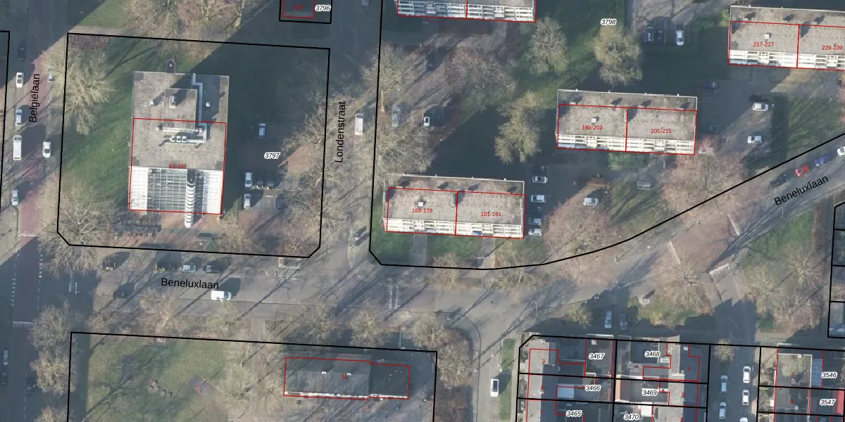
Het adres ligt op het perceel LNK00-H-3798, dat zich in de kadastrale gemeente Lonneker bevindt. De gemiddelde perceeloppervlakte in de kadastrale gemeente Lonneker is 2634,15 m². Dit perceel is met zijn 1,1 ha dus groter dan gemiddeld. De grootste perceeloppervlakte in de kadastrale gemeente is 1,19 km². De kleinste oppervlakte bedraagt 0 m². Er zijn 72 adressen aanwezig op het perceel. De huidige grenzen van het perceel zijn digitaal in de Basisregistratie Kadaster (BRK) geregistreerd op 15-02-2002.
Het adres ligt in een gebouw van het type 'appartement met het subtype hoekdak'. Bij de laatste meting is voor het adres het energielabel B geregistreerd. Het hoogste energielabel in de straat is A; het laagste is G. Het gemiddelde energielabel is er D. Het adres Beneluxlaan 173 heeft als status: 'verblijfsobject in gebruik'. Het pand waarin dit adres ligt heeft als status: 'pand in gebruik'.
Beneluxlaan 173 is een adres gelegen in de gemeente Enschede, provincie Overijssel. Dit adres is geregistreerd in de Basisregistratie Adressen en Gebouwen (BAG) met als unieke identificatie 0153010000301139.
Het pand op Beneluxlaan 173 is gebouwd in 1963, wat betekent dat het 63 jaar oud is. Dit is een ouder pand. Het pand heeft mogelijk aanzienlijke renovaties nodig om aan de huidige standaarden te voldoen.
De woning op Beneluxlaan 173 heeft een gebruiksoppervlakte van 58 m². Dit is relatief klein vergeleken met de gemiddelde Nederlandse woning, die een oppervlakte heeft van ongeveer 119 m². De gebruiksoppervlakte is de maat die wordt gebruikt in de BAG-registratie, de landelijke registratie van de Nederlandse overheid.
Beneluxlaan 173 heeft als functie: wonen. Deze gebruiksfunctie(s) zijn vastgelegd in de BAG-registratie en geven aan waarvoor het adres officieel mag worden gebruikt.
Beneluxlaan 173 is gelegen op kadastraal perceel LNK00H3798. Deze kadastrale aanduiding is uniek en wordt gebruikt door het Kadaster om eigendomsrechten en andere zakelijke rechten vast te leggen. Het perceel maakt onderdeel uit van de kadastrale gemeente Lonneker.
Het perceel waarop Beneluxlaan 173 staat heeft een oppervlakte van 1,1 ha. Dit is een zeer groot perceel. De perceeloppervlakte wordt geregistreerd door het Kadaster. Gedetailleerde informatie over de maten van dit perceel kunt u vinden in het rapport Kadastrale kaart met maatvoering van Beneluxlaan 173.
De eigenaar van Beneluxlaan 173 is op te vragen op deze pagina
De informatie over dit adres is afkomstig uit officiële overheidsregistraties, voornamelijk de Basisregistratie Adressen en Gebouwen (BAG) en de Basisregistratie Kadaster (BRK). Deze gegevens worden beheerd door respectievelijk gemeenten en het Kadaster, en worden regelmatig bijgewerkt. Energielabelgegevens komen uit de database van de Rijksdienst voor Ondernemend Nederland (RVO).
