
Bentelobrink 43 is gelegen in de plaats Enschede, de gemeente Enschede en de provincie Overijssel. De oppervlakte van het verblijfsobject is met 152 m² aan de grote kant. Het perceel heeft een oppervlakte van 1894 m². De oppervlakte van dit adres is groot vergeleken met de oppervlaktes van andere adressen in de straat. De kleinste oppervlakte bedraagt er 16 m², de grootste 229 m². In Nederland komt het grootste deel van de gebouwen uit de periode 1965-1984. Ook het bouwjaar van Bentelobrink 43 is afkomstig uit die periode: het betreft namelijk een pand uit 1970. Het nieuwste gebouw in de straat komt uit 1996 en het oudste uit 1968. Dit object is relatief oud. Het verblijfsobject heeft de volgende gebruiksdoelen: 'woonfunctie'.
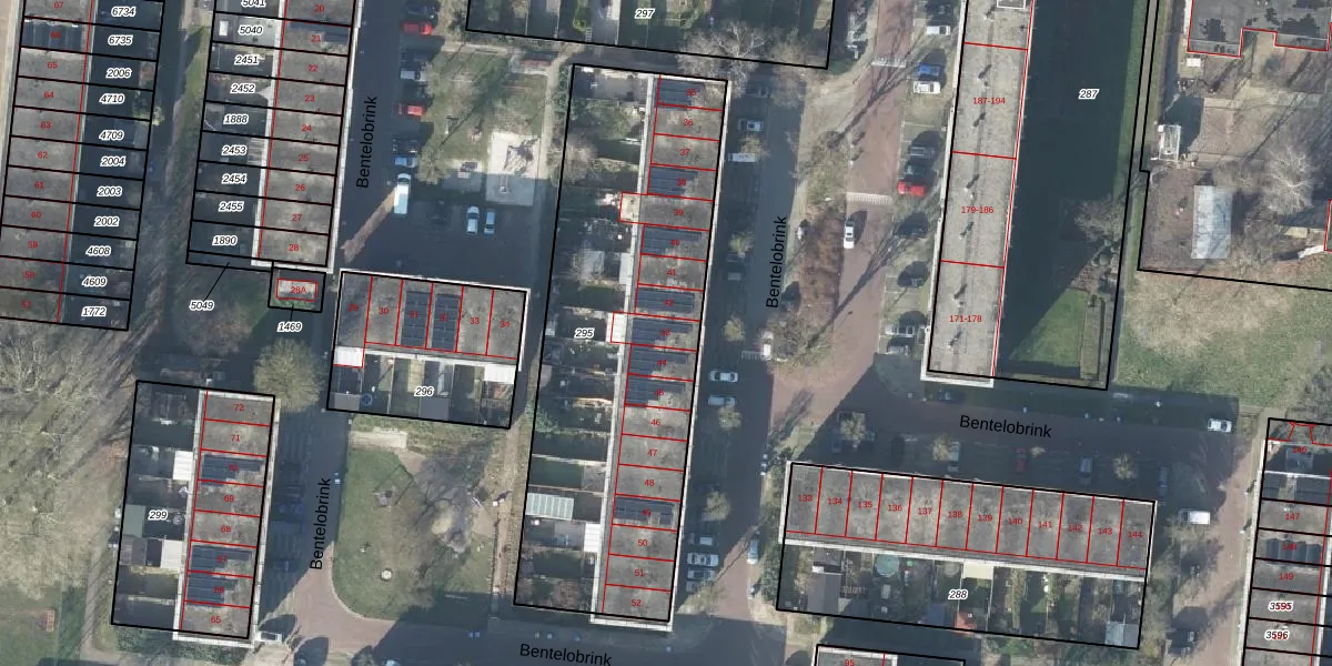
Het adres ligt op het perceel LNK00-Z-295, dat zich in de kadastrale gemeente Lonneker bevindt. Het perceel is kleiner dan gemiddeld in Lonneker. Het perceel is 1894 m² groot, terwijl het gemiddelde ligt op 2631,34 m². Het grootste perceel in de kadastrale gemeente is 1,19 km². Het kleinste perceel heeft een oppervlakte van 0 m². Op het perceel liggen in totaal 18 adressen. De laatste wijziging in het de Basisregistratie Kadaster (BRK) was op 25-08-2010.
Het adres ligt in een gebouw van het type 'rijwoning tussen'. Bij de laatste meting is voor het adres het energielabel A geregistreerd. Het hoogste energielabel in de straat is A; het laagste is G. Het gemiddelde energielabel is er B. Het adres Bentelobrink 43 heeft als status: 'verblijfsobject in gebruik'. Het pand waarin dit adres ligt heeft als status: 'pand in gebruik'.
Bentelobrink 43 is een adres gelegen in de gemeente Enschede, provincie Overijssel. Dit adres is geregistreerd in de Basisregistratie Adressen en Gebouwen (BAG) met als unieke identificatie 0153010000334219.
Het pand op Bentelobrink 43 is gebouwd in 1970, wat betekent dat het 56 jaar oud is. Dit is een ouder pand. Het pand heeft mogelijk aanzienlijke renovaties nodig om aan de huidige standaarden te voldoen.
De woning op Bentelobrink 43 heeft een gebruiksoppervlakte van 152 m². Dit is ruim vergeleken met de gemiddelde Nederlandse woning, die een oppervlakte heeft van ongeveer 119 m². De gebruiksoppervlakte is de maat die wordt gebruikt in de BAG-registratie, de landelijke registratie van de Nederlandse overheid.
Bentelobrink 43 heeft als functie: wonen. Deze gebruiksfunctie(s) zijn vastgelegd in de BAG-registratie en geven aan waarvoor het adres officieel mag worden gebruikt.
Bentelobrink 43 is gelegen op kadastraal perceel LNK00Z295. Deze kadastrale aanduiding is uniek en wordt gebruikt door het Kadaster om eigendomsrechten en andere zakelijke rechten vast te leggen. Het perceel maakt onderdeel uit van de kadastrale gemeente Lonneker.
Het perceel waarop Bentelobrink 43 staat heeft een oppervlakte van 1894 m². Dit is een zeer groot perceel. De perceeloppervlakte wordt geregistreerd door het Kadaster. Gedetailleerde informatie over de maten van dit perceel kunt u vinden in het rapport Kadastrale kaart met maatvoering van Bentelobrink 43.
De eigenaar van Bentelobrink 43 is op te vragen op deze pagina.
De informatie over dit adres is afkomstig uit officiële overheidsregistraties, voornamelijk de Basisregistratie Adressen en Gebouwen (BAG) en de Basisregistratie Kadaster (BRK). Deze gegevens worden beheerd door respectievelijk gemeenten en het Kadaster, en worden regelmatig bijgewerkt. Energielabelgegevens komen uit de database van de Rijksdienst voor Ondernemend Nederland (RVO).
