
Burgemeester Stroinkstraat 400-A is een adres in Enschede, dat zich bevindt binnen de gemeentegrenzen van Enschede en de grenzen van de provincie Overijssel. De oppervlakte van het verblijfsobject is met 157 m² aan de grote kant. Het perceel heeft een oppervlakte van 5025 m². Het object is klein ten opzichte van de andere adressen in de straat. Het grootste verblijfsobject is 718 m² groot en het kleinste is 9 m². Burgemeester Stroinkstraat 400-A ligt in een gebouw uit het jaar 1986. Daarmee behoort het tot de groep panden van na 1984, die we als relatief nieuw bestempelen. Dit object is relatief nieuw in de straat. Het nieuwste gebouw komt er uit het jaar 2014 en het oudste uit het jaar 1600. De volgende gebruiksdoelen zijn geregistreerd voor dit adres: 'woonfunctie'.
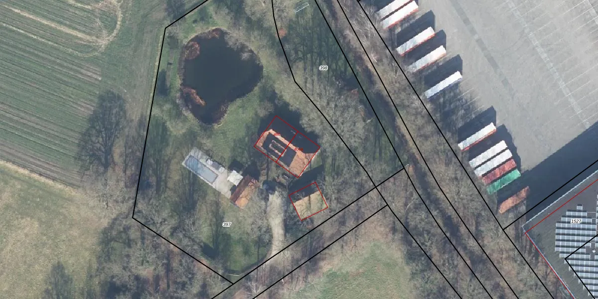
Het perceel waarop het adres ligt is LNK00-AL-397. De afkorting 'LNK00' staat voor kadastrale gemeente Lonneker. De oppervlakte van het perceel is 5025 m². Dat is groter dan gemiddeld in Lonneker, waar de gemiddelde perceeloppervlakte op 2631,08 m² ligt. Het grootste perceel in de kadastrale gemeente is 1,19 km². Het kleinste perceel heeft een oppervlakte van 0 m². Op het perceel liggen in totaal 2 adressen. De huidige grenzen van het perceel zijn digitaal in de Basisregistratie Kadaster (BRK) geregistreerd op 24-11-2014.
Het adres ligt in een gebouw van het type 'twee-onder-een-kap / rijwoning hoek met het subtype twee-onder-een-kap'. Bij de laatste meting is voor het adres het energielabel C geregistreerd. Het hoogste energielabel in de straat is A; het laagste is G. Het gemiddelde energielabel is er D. Het adres Burgemeester Stroinkstraat 400-A heeft als status: 'verblijfsobject in gebruik'. Het pand waarin dit adres ligt heeft als status: 'pand in gebruik'.
Burgemeester Stroinkstraat 400-A is een adres gelegen in de gemeente Enschede, provincie Overijssel. Dit adres is geregistreerd in de Basisregistratie Adressen en Gebouwen (BAG) met als unieke identificatie 0153010000400393.
Het pand op Burgemeester Stroinkstraat 400-A is gebouwd in 1986, wat betekent dat het 40 jaar oud is. Dit is een pand van middelbare leeftijd. Het pand is van gemiddelde leeftijd en zal waarschijnlijk verouderde elementen bevatten.
De woning op Burgemeester Stroinkstraat 400-A heeft een gebruiksoppervlakte van 157 m². Dit is ruim vergeleken met de gemiddelde Nederlandse woning, die een oppervlakte heeft van ongeveer 119 m². De gebruiksoppervlakte is de maat die wordt gebruikt in de BAG-registratie, de landelijke registratie van de Nederlandse overheid.
Burgemeester Stroinkstraat 400-A heeft als functie: wonen. Deze gebruiksfunctie(s) zijn vastgelegd in de BAG-registratie en geven aan waarvoor het adres officieel mag worden gebruikt.
Burgemeester Stroinkstraat 400-A is gelegen op kadastraal perceel LNK00AL397. Deze kadastrale aanduiding is uniek en wordt gebruikt door het Kadaster om eigendomsrechten en andere zakelijke rechten vast te leggen. Het perceel maakt onderdeel uit van de kadastrale gemeente Lonneker.
Het perceel waarop Burgemeester Stroinkstraat 400-A staat heeft een oppervlakte van 5025 m². Dit is een zeer groot perceel. De perceeloppervlakte wordt geregistreerd door het Kadaster. Gedetailleerde informatie over de maten van dit perceel kunt u vinden in het rapport Kadastrale kaart met maatvoering van Burgemeester Stroinkstraat 400-A.
De eigenaar van Burgemeester Stroinkstraat 400-A is op te vragen op deze pagina.
De informatie over dit adres is afkomstig uit officiële overheidsregistraties, voornamelijk de Basisregistratie Adressen en Gebouwen (BAG) en de Basisregistratie Kadaster (BRK). Deze gegevens worden beheerd door respectievelijk gemeenten en het Kadaster, en worden regelmatig bijgewerkt. Energielabelgegevens komen uit de database van de Rijksdienst voor Ondernemend Nederland (RVO).
