
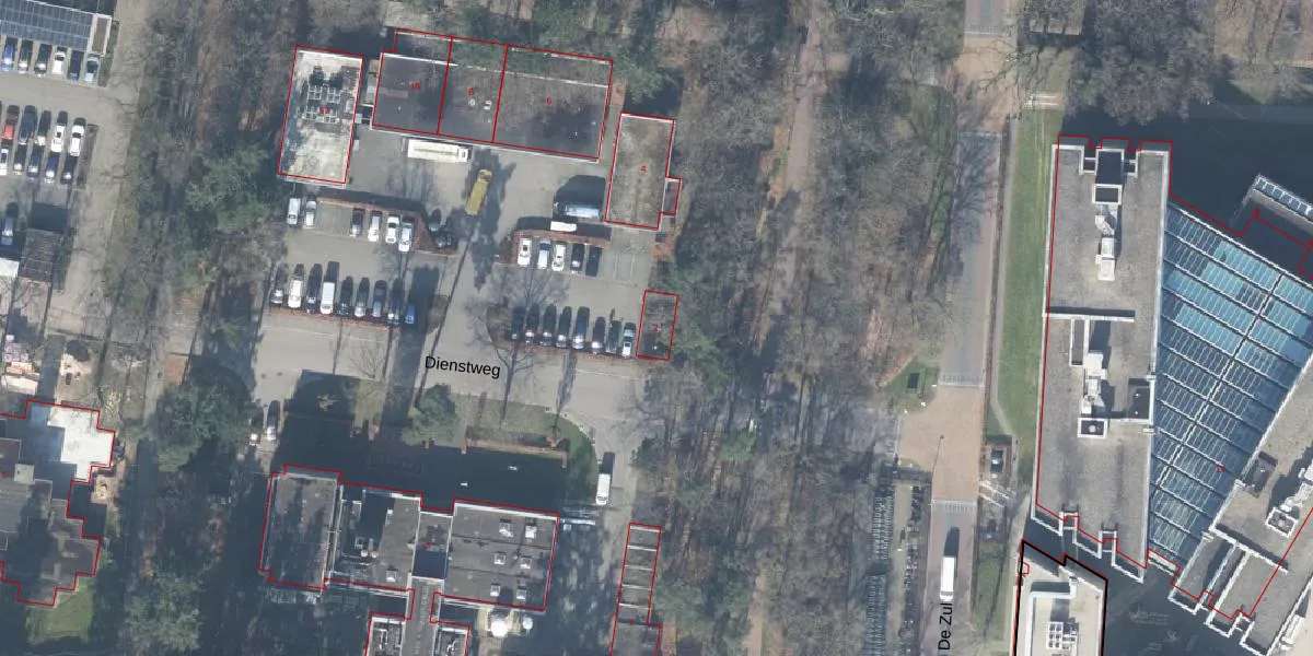
Dienstweg 2 is gelegen in de plaats Enschede, de gemeente Enschede en de provincie Overijssel. Het verblijfsobject is vergeleken met het Nederlandse gemiddelde aan de kleine kant: de oppervlakte is 39 m². Het perceel waarop het adres zich bevindt heeft een oppervlakte van 1,16 km². In de straat is dit het kleinste object. Het grootste verblijfsobject heeft een oppervlakte van 1143 m². De gemiddelde grootte is er 382 m². Het adres Dienstweg 2 ligt in een relatief oud pand uit het jaar 1964. Panden van vóór het jaar 1965 hebben we hier geclassificeerd als oud. Gemiddeld zijn de gebouwen in de straat gebouwd in 1973. Dit is het oudste pand in de straat. Het meest recente komt uit het jaar 1992. Voor het verblijfsobject gelden deze gebruiksdoelen: 'industriefunctie' en 'onderwijsfunctie'.
Het perceel waarop het adres ligt is LNK00-B-6250. De afkorting 'LNK00' staat voor kadastrale gemeente Lonneker. Het perceel is met 1,16 km² relatief groot. Het gemiddelde ligt in de kadastrale gemeente Lonneker op 2631,08 m². De grootste perceeloppervlakte in de kadastrale gemeente is 1,19 km². De kleinste oppervlakte bedraagt 0 m². Op het perceel liggen in totaal 50 adressen. De laatste wijziging in het de Basisregistratie Kadaster (BRK) was op 29-04-2024.
Er is geen energielabel geregistreerd voor het adres. Het hoogste energielabel in de straat is G; het laagste is G. Het gemiddelde energielabel is er G. Het adres Dienstweg 2 heeft als status: 'verblijfsobject in gebruik'. Het pand waarin dit adres ligt heeft als status: 'pand in gebruik'.
Dienstweg 2 is een adres gelegen in de gemeente Enschede, provincie Overijssel. Dit adres is geregistreerd in de Basisregistratie Adressen en Gebouwen (BAG) met als unieke identificatie 0153010000314455.
Het pand op Dienstweg 2 is gebouwd in 1964, wat betekent dat het 62 jaar oud is. Dit is een ouder pand. Het pand heeft mogelijk aanzienlijke renovaties nodig om aan de huidige standaarden te voldoen.
De woning op Dienstweg 2 heeft een gebruiksoppervlakte van 39 m². Dit is relatief klein vergeleken met de gemiddelde Nederlandse woning, die een oppervlakte heeft van ongeveer 119 m². De gebruiksoppervlakte is de maat die wordt gebruikt in de BAG-registratie, de landelijke registratie van de Nederlandse overheid.
Dienstweg 2 heeft als functie: industrie en onderwijs. Deze gebruiksfunctie(s) zijn vastgelegd in de BAG-registratie en geven aan waarvoor het adres officieel mag worden gebruikt.
Dienstweg 2 is gelegen op kadastraal perceel LNK00B6250. Deze kadastrale aanduiding is uniek en wordt gebruikt door het Kadaster om eigendomsrechten en andere zakelijke rechten vast te leggen. Het perceel maakt onderdeel uit van de kadastrale gemeente Lonneker.
Het perceel waarop Dienstweg 2 staat heeft een oppervlakte van 1,16 km². Dit is een zeer groot perceel. De perceeloppervlakte wordt geregistreerd door het Kadaster. Gedetailleerde informatie over de maten van dit perceel kunt u vinden in het rapport Kadastrale kaart met maatvoering van Dienstweg 2.
De eigenaar van Dienstweg 2 is op te vragen op deze pagina.
De informatie over dit adres is afkomstig uit officiële overheidsregistraties, voornamelijk de Basisregistratie Adressen en Gebouwen (BAG) en de Basisregistratie Kadaster (BRK). Deze gegevens worden beheerd door respectievelijk gemeenten en het Kadaster, en worden regelmatig bijgewerkt. Energielabelgegevens komen uit de database van de Rijksdienst voor Ondernemend Nederland (RVO).
