
Dr. Coppesstraat 101 is een adres in Enschede, dat zich bevindt binnen de gemeentegrenzen van Enschede en de grenzen van de provincie Overijssel. Het perceel waarop het adres gelegen is heeft een oppervlakte van 5235 m². Het verblijfsobject is met 52 m² relatief klein. Dit is het kleinste object van de straat. De gemiddelde oppervlakte van verblijfsobjecten is er 87 m². De grootste oppervlakte in de straat is 495 m². Dr. Coppesstraat 101 bevindt zich in een pand uit het jaar 1959. Daarmee behoort het tot de groep relatief oude panden in Nederland die gebouwd zijn vóór 1965. Het gemiddelde bouwjaar in de straat is 1986 en dat van het nieuwste object 2006. In de straat is dit het oudste pand. Voor het verblijfsobject gelden deze gebruiksdoelen: 'woonfunctie'.
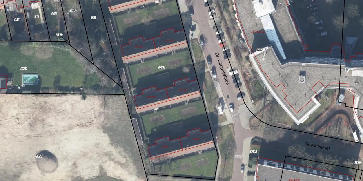
Het adres is gelegen op perceel 1189 in de sectie R en de kadastrale gemeente Lonneker. De kadastrale aanduiding is aldus LNK00-R-1189. Het perceel is met 5235 m² relatief groot. Het gemiddelde ligt in de kadastrale gemeente Lonneker op 2630,06 m². Het grootste perceel in de kadastrale gemeente is 1,19 km². Het kleinste perceel heeft een oppervlakte van 0 m². Er zijn 32 adressen aanwezig op het perceel. De huidige grenzen van het perceel zijn digitaal in de Basisregistratie Kadaster (BRK) geregistreerd op 29-06-2001.
Het adres ligt in een gebouw van het type 'flatwoning (overig) met het subtype hoekvloer'. Bij de laatste meting is voor het adres het energielabel B geregistreerd. Het hoogste energielabel in de straat is A; het laagste is G. Het gemiddelde energielabel is er C. Het adres Dr. Coppesstraat 101 heeft als status: 'verblijfsobject in gebruik'. Het pand waarin dit adres ligt heeft als status: 'pand in gebruik'.
Dr. Coppesstraat 101 is een adres gelegen in de gemeente Enschede, provincie Overijssel. Dit adres is geregistreerd in de Basisregistratie Adressen en Gebouwen (BAG) met als unieke identificatie 0153010000298499.
Het pand op Dr. Coppesstraat 101 is gebouwd in 1959, wat betekent dat het 67 jaar oud is. Dit is een ouder pand. Het pand heeft mogelijk aanzienlijke renovaties nodig om aan de huidige standaarden te voldoen.
De woning op Dr. Coppesstraat 101 heeft een gebruiksoppervlakte van 52 m². Dit is relatief klein vergeleken met de gemiddelde Nederlandse woning, die een oppervlakte heeft van ongeveer 119 m². De gebruiksoppervlakte is de maat die wordt gebruikt in de BAG-registratie, de landelijke registratie van de Nederlandse overheid.
Dr. Coppesstraat 101 heeft als functie: wonen. Deze gebruiksfunctie(s) zijn vastgelegd in de BAG-registratie en geven aan waarvoor het adres officieel mag worden gebruikt.
Dr. Coppesstraat 101 is gelegen op kadastraal perceel LNK00R1189. Deze kadastrale aanduiding is uniek en wordt gebruikt door het Kadaster om eigendomsrechten en andere zakelijke rechten vast te leggen. Het perceel maakt onderdeel uit van de kadastrale gemeente Lonneker.
Het perceel waarop Dr. Coppesstraat 101 staat heeft een oppervlakte van 5235 m². Dit is een zeer groot perceel. De perceeloppervlakte wordt geregistreerd door het Kadaster. Gedetailleerde informatie over de maten van dit perceel kunt u vinden in het rapport Kadastrale kaart met maatvoering van Dr. Coppesstraat 101.
De eigenaar van Dr. Coppesstraat 101 is op te vragen op deze pagina.
De informatie over dit adres is afkomstig uit officiële overheidsregistraties, voornamelijk de Basisregistratie Adressen en Gebouwen (BAG) en de Basisregistratie Kadaster (BRK). Deze gegevens worden beheerd door respectievelijk gemeenten en het Kadaster, en worden regelmatig bijgewerkt. Energielabelgegevens komen uit de database van de Rijksdienst voor Ondernemend Nederland (RVO).
