
Dr. Van der Zandestraat 21 is gelegen in de plaats Enschede, de gemeente Enschede en de provincie Overijssel. De oppervlakte van het object bedraagt 51 m². Dat is klein vergeleken met het Nederlandse gemiddelde. Het perceel waarop het adres ligt is 1611 m² groot. Dit is het kleinste object van de straat. De gemiddelde oppervlakte van verblijfsobjecten is er 68 m². De grootste oppervlakte in de straat is 224 m². Dr. Van der Zandestraat 21 bevindt zich in een pand uit het jaar 1955. Daarmee behoort het tot de groep relatief oude panden in Nederland die gebouwd zijn vóór 1965. In de straat is dit het nieuwste pand en stamt het oudste object uit het jaar 1906. Het gemiddelde bouwjaar in de straat is 1953. De volgende gebruiksdoelen zijn geregistreerd voor dit adres: 'woonfunctie'.
Deze woning is voor het laatst verkocht op 1 december 2017. Meer informatie over deze transactie? Bestel het Woningtransactierapport om de verkoopprijs en andere informatie te zien.
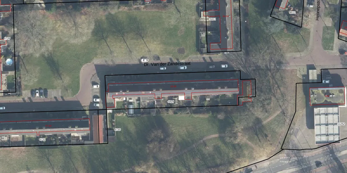
Het adres is gelegen op perceel 5914 in de sectie N en de kadastrale gemeente Lonneker. De kadastrale aanduiding is aldus LNK00-N-5914. Het perceel is 1611 m² groot. Dat is kleiner dan de gemiddelde perceeloppervlakte in Lonneker, dat op 2634,15 m² ligt. Het grootste perceel in de kadastrale gemeente is 1,19 km². Het kleinste perceel heeft een oppervlakte van 0 m². Op het perceel zijn 16 adressen aanwezig. De laatste wijziging in het de Basisregistratie Kadaster (BRK) was op 13-07-2010.
Het adres ligt in een gebouw van het type 'flatwoning (overig) met het subtype tussendak'. Bij de laatste meting is voor het adres het energielabel E geregistreerd. Het hoogste energielabel in de straat is A; het laagste is G. Het gemiddelde energielabel is er C. Het adres Dr. Van der Zandestraat 21 heeft als status: 'verblijfsobject in gebruik'. Het pand waarin dit adres ligt heeft als status: 'pand in gebruik'.
Dr. Van der Zandestraat 21 is een adres gelegen in de gemeente Enschede, provincie Overijssel. Dit adres is geregistreerd in de Basisregistratie Adressen en Gebouwen (BAG) met als unieke identificatie 0153010000354591.
Het pand op Dr. Van der Zandestraat 21 is gebouwd in 1955, wat betekent dat het 71 jaar oud is. Dit is een ouder pand. Het pand heeft mogelijk aanzienlijke renovaties nodig om aan de huidige standaarden te voldoen.
De woning op Dr. Van der Zandestraat 21 heeft een gebruiksoppervlakte van 51 m². Dit is relatief klein vergeleken met de gemiddelde Nederlandse woning, die een oppervlakte heeft van ongeveer 119 m². De gebruiksoppervlakte is de maat die wordt gebruikt in de BAG-registratie, de landelijke registratie van de Nederlandse overheid.
Dr. Van der Zandestraat 21 heeft als functie: wonen. Deze gebruiksfunctie(s) zijn vastgelegd in de BAG-registratie en geven aan waarvoor het adres officieel mag worden gebruikt.
Dr. Van der Zandestraat 21 is gelegen op kadastraal perceel LNK00N5914. Deze kadastrale aanduiding is uniek en wordt gebruikt door het Kadaster om eigendomsrechten en andere zakelijke rechten vast te leggen. Het perceel maakt onderdeel uit van de kadastrale gemeente Lonneker.
Het perceel waarop Dr. Van der Zandestraat 21 staat heeft een oppervlakte van 1611 m². Dit is een zeer groot perceel. De perceeloppervlakte wordt geregistreerd door het Kadaster. Gedetailleerde informatie over de maten van dit perceel kunt u vinden in het rapport Kadastrale kaart met maatvoering van Dr. Van der Zandestraat 21.
De eigenaar van Dr. Van der Zandestraat 21 is op te vragen op deze pagina
De informatie over dit adres is afkomstig uit officiële overheidsregistraties, voornamelijk de Basisregistratie Adressen en Gebouwen (BAG) en de Basisregistratie Kadaster (BRK). Deze gegevens worden beheerd door respectievelijk gemeenten en het Kadaster, en worden regelmatig bijgewerkt. Energielabelgegevens komen uit de database van de Rijksdienst voor Ondernemend Nederland (RVO).
