
Faberstraat 35 is gelegen in de plaats Enschede, de gemeente Enschede en de provincie Overijssel. Het verblijfsobject is vergeleken met het Nederlandse gemiddelde aan de kleine kant: de oppervlakte is 96 m². Het perceel waarop het adres zich bevindt heeft een oppervlakte van 2180 m². Het adres is klein vergeleken met andere objecten in de straat. Het grootste object in de straat heeft een oppervlakte van 168 m², het kleinste is 13 m² groot. In het jaar 1989 is het pand waarin Faberstraat 35 ligt gebouwd. Dat is relatief recent: de meeste gebouwen in Nederland zijn gebouwd in de periode 1965-1984. Dit object is relatief nieuw in de straat. Het nieuwste gebouw komt er uit het jaar 1992 en het oudste uit het jaar 1920. Het verblijfsobject heeft de volgende gebruiksdoelen: 'woonfunctie'.
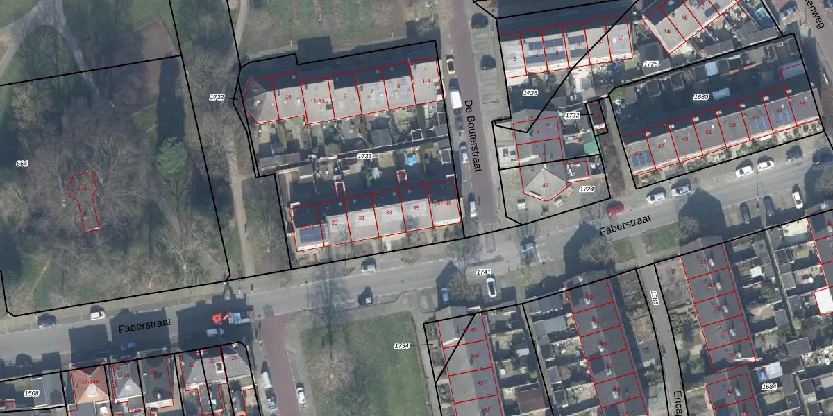
Het adres ligt op het perceel ESD00-M-1733, dat zich in de kadastrale gemeente Enschede bevindt. De gemiddelde perceeloppervlakte in de kadastrale gemeente Enschede is 546,72 m². Dit perceel is met zijn 2180 m² dus groter dan gemiddeld. De grootste perceeloppervlakte in de kadastrale gemeente is 10,7 ha. De kleinste oppervlakte bedraagt 0 m². Op het perceel liggen in totaal 17 adressen. De laatste wijziging in het de Basisregistratie Kadaster (BRK) was op 21-09-2000.
Het adres ligt in een gebouw van het type 'rijwoning tussen'. Bij de laatste meting is voor het adres het energielabel A geregistreerd. Het hoogste energielabel in de straat is A; het laagste is G. Het gemiddelde energielabel is er B. Het adres Faberstraat 35 heeft als status: 'verblijfsobject in gebruik'. Het pand waarin dit adres ligt heeft als status: 'pand in gebruik'.
Faberstraat 35 is een adres gelegen in de gemeente Enschede, provincie Overijssel. Dit adres is geregistreerd in de Basisregistratie Adressen en Gebouwen (BAG) met als unieke identificatie 0153010000367155.
Het pand op Faberstraat 35 is gebouwd in 1989, wat betekent dat het 37 jaar oud is. Dit is een pand van middelbare leeftijd. Het pand is van gemiddelde leeftijd en zal waarschijnlijk verouderde elementen bevatten.
De woning op Faberstraat 35 heeft een gebruiksoppervlakte van 96 m². Dit is onder het gemiddelde vergeleken met de gemiddelde Nederlandse woning, die een oppervlakte heeft van ongeveer 119 m². De gebruiksoppervlakte is de maat die wordt gebruikt in de BAG-registratie, de landelijke registratie van de Nederlandse overheid.
Faberstraat 35 heeft als functie: wonen. Deze gebruiksfunctie(s) zijn vastgelegd in de BAG-registratie en geven aan waarvoor het adres officieel mag worden gebruikt.
Faberstraat 35 is gelegen op kadastraal perceel ESD00M1733. Deze kadastrale aanduiding is uniek en wordt gebruikt door het Kadaster om eigendomsrechten en andere zakelijke rechten vast te leggen. Het perceel maakt onderdeel uit van de kadastrale gemeente Enschede.
Het perceel waarop Faberstraat 35 staat heeft een oppervlakte van 2180 m². Dit is een zeer groot perceel. De perceeloppervlakte wordt geregistreerd door het Kadaster. Gedetailleerde informatie over de maten van dit perceel kunt u vinden in het rapport Kadastrale kaart met maatvoering van Faberstraat 35.
De eigenaar van Faberstraat 35 is op te vragen op deze pagina.
De informatie over dit adres is afkomstig uit officiële overheidsregistraties, voornamelijk de Basisregistratie Adressen en Gebouwen (BAG) en de Basisregistratie Kadaster (BRK). Deze gegevens worden beheerd door respectievelijk gemeenten en het Kadaster, en worden regelmatig bijgewerkt. Energielabelgegevens komen uit de database van de Rijksdienst voor Ondernemend Nederland (RVO).
