
Het adres Roessinghsbleekweg 40 bevindt zich in de plaats Enschede, in de gemeente Enschede en de provincie Overijssel. Het object heeft een oppervlakte van 228 m², wat relatief groot is. Het perceel waarop het adres ligt is 1198 m² groot. Het adres is klein vergeleken met andere objecten in de straat. Het grootste object in de straat heeft een oppervlakte van 2,2 ha, het kleinste is 19 m² groot. Het adres Roessinghsbleekweg 40 ligt in een relatief oud pand uit het jaar 1930. Panden van vóór het jaar 1965 hebben we hier geclassificeerd als oud. Het bouwjaar is oud vergeleken met dat van de andere panden in de straat. Het oudste bouwjaar is er 1898 en de nieuwste is 2007. Het verblijfsobject heeft de volgende gebruiksdoelen: 'woonfunctie'.
Deze woning is voor het laatst verkocht op 1 juli 2008. Meer informatie over deze transactie? Bestel het Woningtransactierapport om de verkoopprijs en andere informatie te zien.
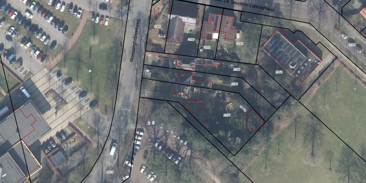
Het adres ligt op het perceel ESD00-K-2190, dat zich in de kadastrale gemeente Enschede bevindt. De gemiddelde perceeloppervlakte in de kadastrale gemeente Enschede is 548,18 m². Dit perceel is met zijn 1198 m² dus groter dan gemiddeld. De grootste perceeloppervlakte in de kadastrale gemeente is 10,7 ha. De kleinste oppervlakte bedraagt 0 m². Dit is het enige adres dat aanwezig is op het perceel. In de Basisregistratie Kadaster (BRK) werden de grenzen van het perceel geregistreerd op 31-08-2000.
Er is geen energielabel geregistreerd voor het adres. Het hoogste energielabel in de straat is A++; het laagste is G. Het gemiddelde energielabel is er C. Het adres Roessinghsbleekweg 40 heeft als status: 'verblijfsobject in gebruik'. Het pand waarin dit adres ligt heeft als status: 'pand in gebruik'.
Roessinghsbleekweg 40 is een adres gelegen in de gemeente Enschede, provincie Overijssel. Dit adres is geregistreerd in de Basisregistratie Adressen en Gebouwen (BAG) met als unieke identificatie 0153010000337435.
Het pand op Roessinghsbleekweg 40 is gebouwd in 1930, wat betekent dat het 96 jaar oud is. Dit is een ouder pand. Het pand heeft mogelijk aanzienlijke renovaties nodig om aan de huidige standaarden te voldoen.
De woning op Roessinghsbleekweg 40 heeft een gebruiksoppervlakte van 228 m². Dit is ruim vergeleken met de gemiddelde Nederlandse woning, die een oppervlakte heeft van ongeveer 119 m². De gebruiksoppervlakte is de maat die wordt gebruikt in de BAG-registratie, de landelijke registratie van de Nederlandse overheid.
Roessinghsbleekweg 40 heeft als functie: wonen. Deze gebruiksfunctie(s) zijn vastgelegd in de BAG-registratie en geven aan waarvoor het adres officieel mag worden gebruikt.
Roessinghsbleekweg 40 is gelegen op kadastraal perceel ESD00K2190. Deze kadastrale aanduiding is uniek en wordt gebruikt door het Kadaster om eigendomsrechten en andere zakelijke rechten vast te leggen. Het perceel maakt onderdeel uit van de kadastrale gemeente Enschede.
Het perceel waarop Roessinghsbleekweg 40 staat heeft een oppervlakte van 1198 m². Dit is een zeer groot perceel. De perceeloppervlakte wordt geregistreerd door het Kadaster. Gedetailleerde informatie over de maten van dit perceel kunt u vinden in het rapport Kadastrale kaart met maatvoering van Roessinghsbleekweg 40.
De eigenaar van Roessinghsbleekweg 40 is op te vragen op deze pagina.
De informatie over dit adres is afkomstig uit officiële overheidsregistraties, voornamelijk de Basisregistratie Adressen en Gebouwen (BAG) en de Basisregistratie Kadaster (BRK). Deze gegevens worden beheerd door respectievelijk gemeenten en het Kadaster, en worden regelmatig bijgewerkt. Energielabelgegevens komen uit de database van de Rijksdienst voor Ondernemend Nederland (RVO).
