
Wethouder Beversstraat 119 is gelegen in de plaats Enschede, de gemeente Enschede en de provincie Overijssel. De oppervlakte van het object bedraagt 69 m². Dat is klein vergeleken met het Nederlandse gemiddelde. Het perceel waarop het adres ligt is 2578 m² groot. De oppervlakte van het adres is klein vergeleken met de andere objecten in de straat. De oppervlakte van het kleinste object in de straat bedraagt 10 m², terwijl het grootste object 1,2 ha groot is. Het adres Wethouder Beversstraat 119 ligt in een relatief oud pand uit het jaar 1962. Panden van vóór het jaar 1965 hebben we hier geclassificeerd als oud. Dit is het oudste object in de straat. Het nieuwste pand komt uit 2025 en het gemiddelde bouwjaar in de straat is 2005. Voor het verblijfsobject gelden deze gebruiksdoelen: 'woonfunctie'.
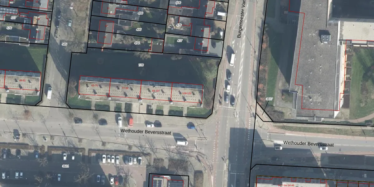
Het adres is gelegen op perceel 728 in de sectie P en de kadastrale gemeente Lonneker. De kadastrale aanduiding is aldus LNK00-P-728. De gemiddelde perceelgrootte in Lonneker is 2630,78 m². Dit perceel is kleiner: de perceeloppervlakte bedraagt 2578 m². De grootste perceeloppervlakte in de kadastrale gemeente is 1,19 km². De kleinste oppervlakte bedraagt 0 m². Op het perceel zijn 30 adressen aanwezig. De laatste wijziging in het de Basisregistratie Kadaster (BRK) was op 25-06-2001.
Het adres ligt in een gebouw van het type 'appartement met het subtype hoekmidden'. Bij de laatste meting is voor het adres het energielabel C geregistreerd. Het hoogste energielabel in de straat is A+++; het laagste is G. Het gemiddelde energielabel is er A. Het adres Wethouder Beversstraat 119 heeft als status: 'verblijfsobject in gebruik'. Het pand waarin dit adres ligt heeft als status: 'pand in gebruik'.
Wethouder Beversstraat 119 is een adres gelegen in de gemeente Enschede, provincie Overijssel. Dit adres is geregistreerd in de Basisregistratie Adressen en Gebouwen (BAG) met als unieke identificatie 0153010000411719.
Het pand op Wethouder Beversstraat 119 is gebouwd in 1962, wat betekent dat het 64 jaar oud is. Dit is een ouder pand. Het pand heeft mogelijk aanzienlijke renovaties nodig om aan de huidige standaarden te voldoen.
De woning op Wethouder Beversstraat 119 heeft een gebruiksoppervlakte van 69 m². Dit is relatief klein vergeleken met de gemiddelde Nederlandse woning, die een oppervlakte heeft van ongeveer 119 m². De gebruiksoppervlakte is de maat die wordt gebruikt in de BAG-registratie, de landelijke registratie van de Nederlandse overheid.
Wethouder Beversstraat 119 heeft als functie: wonen. Deze gebruiksfunctie(s) zijn vastgelegd in de BAG-registratie en geven aan waarvoor het adres officieel mag worden gebruikt.
Wethouder Beversstraat 119 is gelegen op kadastraal perceel LNK00P728. Deze kadastrale aanduiding is uniek en wordt gebruikt door het Kadaster om eigendomsrechten en andere zakelijke rechten vast te leggen. Het perceel maakt onderdeel uit van de kadastrale gemeente Lonneker.
Het perceel waarop Wethouder Beversstraat 119 staat heeft een oppervlakte van 2578 m². Dit is een zeer groot perceel. De perceeloppervlakte wordt geregistreerd door het Kadaster. Gedetailleerde informatie over de maten van dit perceel kunt u vinden in het rapport Kadastrale kaart met maatvoering van Wethouder Beversstraat 119.
De eigenaar van Wethouder Beversstraat 119 is op te vragen op deze pagina.
De informatie over dit adres is afkomstig uit officiële overheidsregistraties, voornamelijk de Basisregistratie Adressen en Gebouwen (BAG) en de Basisregistratie Kadaster (BRK). Deze gegevens worden beheerd door respectievelijk gemeenten en het Kadaster, en worden regelmatig bijgewerkt. Energielabelgegevens komen uit de database van de Rijksdienst voor Ondernemend Nederland (RVO).
