
Bremweg 14 is een adres in Epe, dat zich bevindt binnen de gemeentegrenzen van Epe en de grenzen van de provincie Gelderland. Het object heeft een oppervlakte van 184 m², wat relatief groot is. Het perceel waarop het adres ligt is 3045 m² groot. Het adres is klein vergeleken met andere objecten in de straat. Het grootste object in de straat heeft een oppervlakte van 303 m², het kleinste is 125 m² groot. Bremweg 14 bevindt zich in een pand uit het jaar null. Daarmee behoort het tot de groep relatief oude panden in Nederland die gebouwd zijn vóór 1965. Het gemiddelde bouwjaar in de straat is 1964 en dat van het nieuwste object 2018. In de straat is dit het oudste pand. Het verblijfsobject heeft de volgende gebruiksdoelen: 'standplaats'.
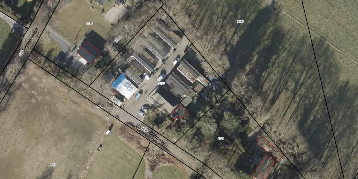
Het adres ligt op het perceel EPE00-U-6797, dat zich in de kadastrale gemeente Epe en Oene bevindt. Het perceel is kleiner dan gemiddeld in Epe en Oene. Het perceel is 3045 m² groot, terwijl het gemiddelde ligt op 6738,62 m². Het grootste perceel in de kadastrale gemeente is 1,95 km². Het kleinste perceel heeft een oppervlakte van 0 m². Er zijn 8 adressen aanwezig op het perceel. De huidige grenzen van het perceel zijn digitaal in de Basisregistratie Kadaster (BRK) geregistreerd op 09-04-2003.
Er is geen energielabel geregistreerd voor het adres. Het hoogste energielabel in de straat is G; het laagste is G. Het gemiddelde energielabel is er G. Het adres Bremweg 14 heeft als status: 'plaats aangewezen'. Het pand waarin dit adres ligt heeft als status: 'undefined'.
Bremweg 14 is een adres gelegen in de gemeente Epe, provincie Gelderland. Dit adres is geregistreerd in de Basisregistratie Adressen en Gebouwen (BAG) met als unieke identificatie 0232030000007856.
De woning op Bremweg 14 heeft een gebruiksoppervlakte van 184 m². Dit is ruim vergeleken met de gemiddelde Nederlandse woning, die een oppervlakte heeft van ongeveer 119 m². De gebruiksoppervlakte is de maat die wordt gebruikt in de BAG-registratie, de landelijke registratie van de Nederlandse overheid.
Bremweg 14 heeft als functie: standplaats. Deze gebruiksfunctie(s) zijn vastgelegd in de BAG-registratie en geven aan waarvoor het adres officieel mag worden gebruikt.
Bremweg 14 is gelegen op kadastraal perceel EPE00U6797. Deze kadastrale aanduiding is uniek en wordt gebruikt door het Kadaster om eigendomsrechten en andere zakelijke rechten vast te leggen. Het perceel maakt onderdeel uit van de kadastrale gemeente Epe en Oene.
Het perceel waarop Bremweg 14 staat heeft een oppervlakte van 3045 m². Dit is een zeer groot perceel. De perceeloppervlakte wordt geregistreerd door het Kadaster. Gedetailleerde informatie over de maten van dit perceel kunt u vinden in het rapport Kadastrale kaart met maatvoering van Bremweg 14.
De eigenaar van Bremweg 14 is op te vragen op deze pagina.
De informatie over dit adres is afkomstig uit officiële overheidsregistraties, voornamelijk de Basisregistratie Adressen en Gebouwen (BAG) en de Basisregistratie Kadaster (BRK). Deze gegevens worden beheerd door respectievelijk gemeenten en het Kadaster, en worden regelmatig bijgewerkt. Energielabelgegevens komen uit de database van de Rijksdienst voor Ondernemend Nederland (RVO).
