
Het adres Jagerstraat 43 bevindt zich in de plaats Epe, in de gemeente Epe en de provincie Gelderland. Het verblijfsobject is vergeleken met het Nederlandse gemiddelde aan de kleine kant: de oppervlakte is 97 m². Het perceel waarop het adres zich bevindt heeft een oppervlakte van 3978 m². Er zijn geen kleinere objecten in deze straat. De gemiddelde oppervlakte is er 100 m². Het grootste verblijfsobject is 118 m². Jagerstraat 43 bevindt zich in een pand uit het jaar 1957. Daarmee behoort het tot de groep relatief oude panden in Nederland die gebouwd zijn vóór 1965. Dit pand is het meest recent exemplaar in de straat. Het oudste object komt er uit 1957 en het gemiddelde bouwjaar is 1957. De volgende gebruiksdoelen zijn geregistreerd voor dit adres: 'woonfunctie'.
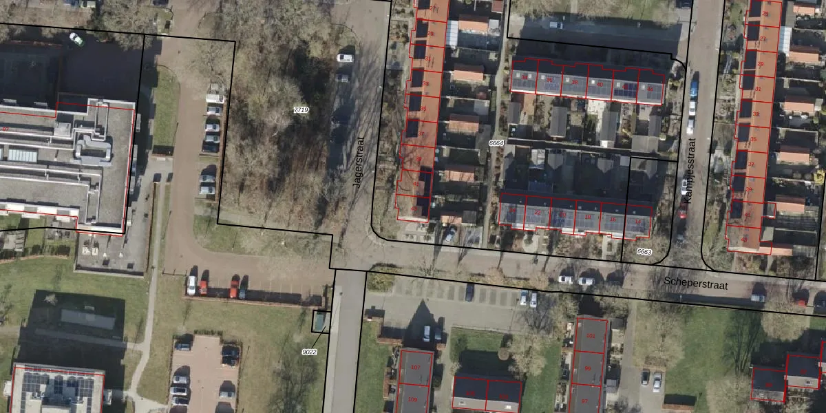
Het adres ligt op het perceel EPE00-U-6664, dat zich in de kadastrale gemeente Epe en Oene bevindt. Het perceel is 3978 m² groot. Dat is kleiner dan de gemiddelde perceeloppervlakte in Epe en Oene, dat op 6733,94 m² ligt. Het grootste perceel in de kadastrale gemeente is 1,95 km². Het kleinste perceel heeft een oppervlakte van 0 m². Op het perceel liggen in totaal 21 adressen. In de Basisregistratie Kadaster (BRK) werden de grenzen van het perceel geregistreerd op 26-04-2000.
Het adres ligt in een gebouw van het type 'twee-onder-een-kap / rijwoning hoek met het subtype rijwoning'. Bij de laatste meting is voor het adres het energielabel A geregistreerd. Het hoogste energielabel in de straat is A; het laagste is G. Het gemiddelde energielabel is er A. Het adres Jagerstraat 43 heeft als status: 'verblijfsobject in gebruik'. Het pand waarin dit adres ligt heeft als status: 'pand in gebruik'.
Jagerstraat 43 is een adres gelegen in de gemeente Epe, provincie Gelderland. Dit adres is geregistreerd in de Basisregistratie Adressen en Gebouwen (BAG) met als unieke identificatie 0232010000003664.
Het pand op Jagerstraat 43 is gebouwd in 1957, wat betekent dat het 69 jaar oud is. Dit is een ouder pand. Het pand heeft mogelijk aanzienlijke renovaties nodig om aan de huidige standaarden te voldoen.
De woning op Jagerstraat 43 heeft een gebruiksoppervlakte van 97 m². Dit is onder het gemiddelde vergeleken met de gemiddelde Nederlandse woning, die een oppervlakte heeft van ongeveer 119 m². De gebruiksoppervlakte is de maat die wordt gebruikt in de BAG-registratie, de landelijke registratie van de Nederlandse overheid.
Jagerstraat 43 heeft als functie: wonen. Deze gebruiksfunctie(s) zijn vastgelegd in de BAG-registratie en geven aan waarvoor het adres officieel mag worden gebruikt.
Jagerstraat 43 is gelegen op kadastraal perceel EPE00U6664. Deze kadastrale aanduiding is uniek en wordt gebruikt door het Kadaster om eigendomsrechten en andere zakelijke rechten vast te leggen. Het perceel maakt onderdeel uit van de kadastrale gemeente Epe en Oene.
Het perceel waarop Jagerstraat 43 staat heeft een oppervlakte van 3978 m². Dit is een zeer groot perceel. De perceeloppervlakte wordt geregistreerd door het Kadaster. Gedetailleerde informatie over de maten van dit perceel kunt u vinden in het rapport Kadastrale kaart met maatvoering van Jagerstraat 43.
De eigenaar van Jagerstraat 43 is op te vragen op deze pagina.
De informatie over dit adres is afkomstig uit officiële overheidsregistraties, voornamelijk de Basisregistratie Adressen en Gebouwen (BAG) en de Basisregistratie Kadaster (BRK). Deze gegevens worden beheerd door respectievelijk gemeenten en het Kadaster, en worden regelmatig bijgewerkt. Energielabelgegevens komen uit de database van de Rijksdienst voor Ondernemend Nederland (RVO).
