
Het adres Oenerweg 67-I bevindt zich in de plaats Epe, in de gemeente Epe en de provincie Gelderland. Het verblijfsobject is vergeleken met het Nederlandse gemiddelde aan de kleine kant: de oppervlakte is 23 m². Het perceel waarop het adres zich bevindt heeft een oppervlakte van 1545 m². Het object is klein ten opzichte van de andere adressen in de straat. Het grootste verblijfsobject is 5950 m² groot en het kleinste is 19 m². De meeste Nederlandse gebouwen zijn gebouwd in de periode 1965-1984. Zo ook het pand waarin Oenerweg 67-I ligt, dat gebouwd is in 1978. Dit object is relatief nieuw in de straat. Het nieuwste gebouw komt er uit het jaar 2023 en het oudste uit het jaar 1900. Voor het verblijfsobject gelden deze gebruiksdoelen: 'woonfunctie'.
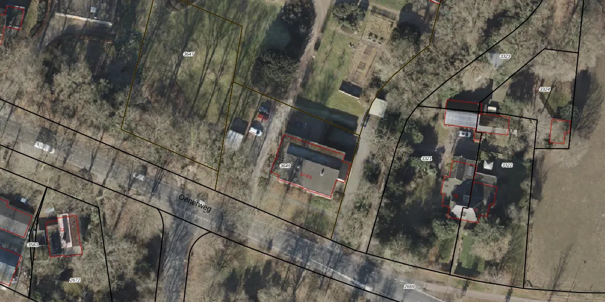
Het perceel waarop het adres ligt is EPE00-L-3649. De afkorting 'EPE00' staat voor kadastrale gemeente Epe en Oene. De gemiddelde perceelgrootte in Epe en Oene is 6734,72 m². Dit perceel is kleiner: de perceeloppervlakte bedraagt 1545 m². De grootste perceeloppervlakte in de kadastrale gemeente is 1,95 km². De kleinste oppervlakte bedraagt 0 m². Op het perceel liggen in totaal 15 adressen. In de Basisregistratie Kadaster (BRK) werden de grenzen van het perceel geregistreerd op 14-10-2025.
Het adres ligt in een gebouw van het type 'appartement met het subtype tussendak'. Bij de laatste meting is voor het adres het energielabel E geregistreerd. Het hoogste energielabel in de straat is A+++++; het laagste is G. Het gemiddelde energielabel is er C. Het adres Oenerweg 67-I heeft als status: 'verblijfsobject in gebruik'. Het pand waarin dit adres ligt heeft als status: 'pand in gebruik'.
Oenerweg 67-I is een adres gelegen in de gemeente Epe, provincie Gelderland. Dit adres is geregistreerd in de Basisregistratie Adressen en Gebouwen (BAG) met als unieke identificatie 0232010000017657.
Het pand op Oenerweg 67-I is gebouwd in 1978, wat betekent dat het 48 jaar oud is. Dit is een pand van middelbare leeftijd. Het pand is van gemiddelde leeftijd en zal waarschijnlijk verouderde elementen bevatten.
De woning op Oenerweg 67-I heeft een gebruiksoppervlakte van 23 m². Dit is relatief klein vergeleken met de gemiddelde Nederlandse woning, die een oppervlakte heeft van ongeveer 119 m². De gebruiksoppervlakte is de maat die wordt gebruikt in de BAG-registratie, de landelijke registratie van de Nederlandse overheid.
Oenerweg 67-I heeft als functie: wonen. Deze gebruiksfunctie(s) zijn vastgelegd in de BAG-registratie en geven aan waarvoor het adres officieel mag worden gebruikt.
Oenerweg 67-I is gelegen op kadastraal perceel EPE00L3649. Deze kadastrale aanduiding is uniek en wordt gebruikt door het Kadaster om eigendomsrechten en andere zakelijke rechten vast te leggen. Het perceel maakt onderdeel uit van de kadastrale gemeente Epe en Oene.
Het perceel waarop Oenerweg 67-I staat heeft een oppervlakte van 1545 m². Dit is een zeer groot perceel. De perceeloppervlakte wordt geregistreerd door het Kadaster. Gedetailleerde informatie over de maten van dit perceel kunt u vinden in het rapport Kadastrale kaart met maatvoering van Oenerweg 67-I.
De eigenaar van Oenerweg 67-I is op te vragen op deze pagina.
De informatie over dit adres is afkomstig uit officiële overheidsregistraties, voornamelijk de Basisregistratie Adressen en Gebouwen (BAG) en de Basisregistratie Kadaster (BRK). Deze gegevens worden beheerd door respectievelijk gemeenten en het Kadaster, en worden regelmatig bijgewerkt. Energielabelgegevens komen uit de database van de Rijksdienst voor Ondernemend Nederland (RVO).
