
Quickbornlaan 18 is gelegen in de plaats Epe, de gemeente Epe en de provincie Gelderland. De oppervlakte van het adres is 101 m². Dat is vergelijkbaar met het gemiddelde Nederlandse oppervlakte van 119 m². De oppervlakte van het perceel waarin het adres ligt is 1670 m². Het adres is klein vergeleken met andere objecten in de straat. Het grootste object in de straat heeft een oppervlakte van 437 m², het kleinste is 16 m² groot. Het adres Quickbornlaan 18 ligt in een relatief oud pand uit het jaar 1925. Panden van vóór het jaar 1965 hebben we hier geclassificeerd als oud. Gemiddeld zijn de gebouwen in de straat gebouwd in 1939. Dit is het oudste pand in de straat. Het meest recente komt uit het jaar 1988. Voor het verblijfsobject gelden deze gebruiksdoelen: 'kantoorfunctie'.
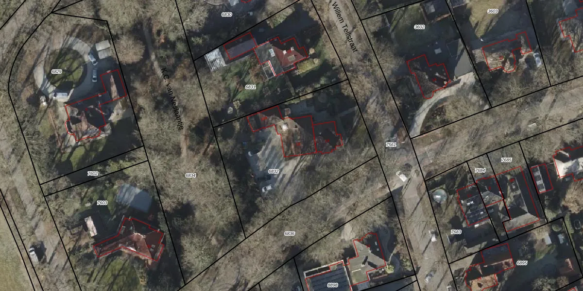
Het adres ligt op het perceel EPE00-U-6832, dat zich in de kadastrale gemeente Epe en Oene bevindt. De gemiddelde perceelgrootte in Epe en Oene is 6734,72 m². Dit perceel is kleiner: de perceeloppervlakte bedraagt 1670 m². De grootste perceeloppervlakte in de kadastrale gemeente is 1,95 km². De kleinste oppervlakte bedraagt 0 m². Op het perceel liggen in totaal 3 adressen. De laatste wijziging in het de Basisregistratie Kadaster (BRK) was op 26-04-2000.
Er is geen energielabel geregistreerd voor het adres. Het hoogste energielabel in de straat is A; het laagste is G. Het gemiddelde energielabel is er E. Het adres Quickbornlaan 18 heeft als status: 'verblijfsobject in gebruik'. Het pand waarin dit adres ligt heeft als status: 'pand in gebruik'.
Quickbornlaan 18 is een adres gelegen in de gemeente Epe, provincie Gelderland. Dit adres is geregistreerd in de Basisregistratie Adressen en Gebouwen (BAG) met als unieke identificatie 0232010000002330.
Het pand op Quickbornlaan 18 is gebouwd in 1925, wat betekent dat het 101 jaar oud is. Dit is een ouder pand. Het pand heeft mogelijk aanzienlijke renovaties nodig om aan de huidige standaarden te voldoen.
De woning op Quickbornlaan 18 heeft een gebruiksoppervlakte van 101 m². Dit is onder het gemiddelde vergeleken met de gemiddelde Nederlandse woning, die een oppervlakte heeft van ongeveer 119 m². De gebruiksoppervlakte is de maat die wordt gebruikt in de BAG-registratie, de landelijke registratie van de Nederlandse overheid.
Quickbornlaan 18 heeft als functie: kantoor. Deze gebruiksfunctie(s) zijn vastgelegd in de BAG-registratie en geven aan waarvoor het adres officieel mag worden gebruikt.
Quickbornlaan 18 is gelegen op kadastraal perceel EPE00U6832. Deze kadastrale aanduiding is uniek en wordt gebruikt door het Kadaster om eigendomsrechten en andere zakelijke rechten vast te leggen. Het perceel maakt onderdeel uit van de kadastrale gemeente Epe en Oene.
Het perceel waarop Quickbornlaan 18 staat heeft een oppervlakte van 1670 m². Dit is een zeer groot perceel. De perceeloppervlakte wordt geregistreerd door het Kadaster. Gedetailleerde informatie over de maten van dit perceel kunt u vinden in het rapport Kadastrale kaart met maatvoering van Quickbornlaan 18.
De eigenaar van Quickbornlaan 18 is op te vragen op deze pagina.
De informatie over dit adres is afkomstig uit officiële overheidsregistraties, voornamelijk de Basisregistratie Adressen en Gebouwen (BAG) en de Basisregistratie Kadaster (BRK). Deze gegevens worden beheerd door respectievelijk gemeenten en het Kadaster, en worden regelmatig bijgewerkt. Energielabelgegevens komen uit de database van de Rijksdienst voor Ondernemend Nederland (RVO).
