
Het adres Bosweg 16 bevindt zich in de plaats Epse, in de gemeente Epse en de provincie Gelderland. De oppervlakte van het verblijfsobject is met 154 m² aan de grote kant. Het perceel heeft een oppervlakte van 2040 m². Er zijn geen kleinere objecten in deze straat. De gemiddelde oppervlakte is er 259 m². Het grootste verblijfsobject is 487 m². In Nederland komt het grootste deel van de gebouwen uit de periode 1965-1984. Ook het bouwjaar van Bosweg 16 is afkomstig uit die periode: het betreft namelijk een pand uit 1965. Het nieuwste gebouw in de straat komt uit 2008 en het oudste uit 1934. Dit object is relatief oud. De volgende gebruiksdoelen zijn geregistreerd voor dit adres: 'woonfunctie'.
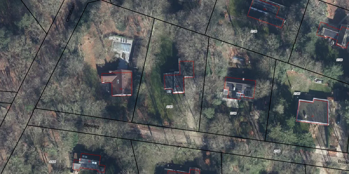
Het adres ligt op het perceel GSL01-B-2743, dat zich in de kadastrale gemeente Gorssel bevindt. Het perceel is 2040 m² groot. Dat is kleiner dan de gemiddelde perceeloppervlakte in Gorssel, dat op 5926,54 m² ligt. Het grootste perceel in de kadastrale gemeente is 69,8 ha. Het kleinste perceel heeft een oppervlakte van 0 m². Op het perceel bevinden zich geen andere adressen. In de Basisregistratie Kadaster (BRK) werden de grenzen van het perceel geregistreerd op 20-12-2001.
Er is geen energielabel geregistreerd voor het adres. Het hoogste energielabel in de straat is A++++; het laagste is G. Het gemiddelde energielabel is er C. Het adres Bosweg 16 heeft als status: 'verblijfsobject in gebruik'. Het pand waarin dit adres ligt heeft als status: 'pand in gebruik'.
Bosweg 16 is een adres gelegen in de gemeente Lochem, provincie Gelderland. Dit adres is geregistreerd in de Basisregistratie Adressen en Gebouwen (BAG) met als unieke identificatie 0262010000003364.
Het pand op Bosweg 16 is gebouwd in 1965, wat betekent dat het 61 jaar oud is. Dit is een ouder pand. Het pand heeft mogelijk aanzienlijke renovaties nodig om aan de huidige standaarden te voldoen.
De woning op Bosweg 16 heeft een gebruiksoppervlakte van 154 m². Dit is ruim vergeleken met de gemiddelde Nederlandse woning, die een oppervlakte heeft van ongeveer 119 m². De gebruiksoppervlakte is de maat die wordt gebruikt in de BAG-registratie, de landelijke registratie van de Nederlandse overheid.
Bosweg 16 heeft als functie: wonen. Deze gebruiksfunctie(s) zijn vastgelegd in de BAG-registratie en geven aan waarvoor het adres officieel mag worden gebruikt.
Bosweg 16 is gelegen op kadastraal perceel GSL01B2743. Deze kadastrale aanduiding is uniek en wordt gebruikt door het Kadaster om eigendomsrechten en andere zakelijke rechten vast te leggen. Het perceel maakt onderdeel uit van de kadastrale gemeente Gorssel.
Het perceel waarop Bosweg 16 staat heeft een oppervlakte van 2040 m². Dit is een zeer groot perceel. De perceeloppervlakte wordt geregistreerd door het Kadaster. Gedetailleerde informatie over de maten van dit perceel kunt u vinden in het rapport Kadastrale kaart met maatvoering van Bosweg 16.
De eigenaar van Bosweg 16 is op te vragen op deze pagina.
De informatie over dit adres is afkomstig uit officiële overheidsregistraties, voornamelijk de Basisregistratie Adressen en Gebouwen (BAG) en de Basisregistratie Kadaster (BRK). Deze gegevens worden beheerd door respectievelijk gemeenten en het Kadaster, en worden regelmatig bijgewerkt. Energielabelgegevens komen uit de database van de Rijksdienst voor Ondernemend Nederland (RVO).
