
Dalerstraat 18 is gelegen in de plaats Erm, de gemeente Coevorden en de provincie Drenthe. Het object heeft een oppervlakte van 164 m², wat relatief groot is. Het perceel waarop het adres ligt is 4800 m² groot. Het adres is klein vergeleken met andere objecten in de straat. Het grootste object in de straat heeft een oppervlakte van 1000 m², het kleinste is 17 m² groot. Dalerstraat 18 bevindt zich in een pand uit het jaar 1932. Daarmee behoort het tot de groep relatief oude panden in Nederland die gebouwd zijn vóór 1965. Het bouwjaar is oud vergeleken met dat van de andere panden in de straat. Het oudste bouwjaar is er 1870 en de nieuwste is 1994. De volgende gebruiksdoelen zijn geregistreerd voor dit adres: 'woonfunctie'.
Deze woning is voor het laatst verkocht op 1 mei 2004. Meer informatie over deze transactie? Bestel het Woningtransactierapport om de verkoopprijs en andere informatie te zien.
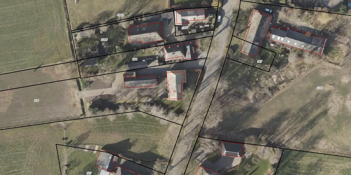
Het adres ligt op het perceel SLE00-R-530, dat zich in de kadastrale gemeente Sleen bevindt. Het perceel is 4800 m² groot. Dat is kleiner dan de gemiddelde perceeloppervlakte in Sleen, dat op 1,1 ha ligt. Het grootste perceel in de kadastrale gemeente is 2,51 km². Het kleinste perceel heeft een oppervlakte van 1 m². Dit is het enige adres dat aanwezig is op het perceel. De laatste wijziging in het de Basisregistratie Kadaster (BRK) was op 08-11-2018.
Er is geen energielabel geregistreerd voor het adres. Het hoogste energielabel in de straat is A; het laagste is G. Het gemiddelde energielabel is er D. Het adres Dalerstraat 18 heeft als status: 'verblijfsobject in gebruik'. Het pand waarin dit adres ligt heeft als status: 'pand in gebruik'.
Dalerstraat 18 is een adres gelegen in de gemeente Coevorden, provincie Drenthe. Dit adres is geregistreerd in de Basisregistratie Adressen en Gebouwen (BAG) met als unieke identificatie 0109010000012121.
Het pand op Dalerstraat 18 is gebouwd in 1932, wat betekent dat het 94 jaar oud is. Dit is een ouder pand. Het pand heeft mogelijk aanzienlijke renovaties nodig om aan de huidige standaarden te voldoen.
De woning op Dalerstraat 18 heeft een gebruiksoppervlakte van 164 m². Dit is ruim vergeleken met de gemiddelde Nederlandse woning, die een oppervlakte heeft van ongeveer 119 m². De gebruiksoppervlakte is de maat die wordt gebruikt in de BAG-registratie, de landelijke registratie van de Nederlandse overheid.
Dalerstraat 18 heeft als functie: wonen. Deze gebruiksfunctie(s) zijn vastgelegd in de BAG-registratie en geven aan waarvoor het adres officieel mag worden gebruikt.
Dalerstraat 18 is gelegen op kadastraal perceel SLE00R530. Deze kadastrale aanduiding is uniek en wordt gebruikt door het Kadaster om eigendomsrechten en andere zakelijke rechten vast te leggen. Het perceel maakt onderdeel uit van de kadastrale gemeente Sleen.
Het perceel waarop Dalerstraat 18 staat heeft een oppervlakte van 4800 m². Dit is een zeer groot perceel. De perceeloppervlakte wordt geregistreerd door het Kadaster. Gedetailleerde informatie over de maten van dit perceel kunt u vinden in het rapport Kadastrale kaart met maatvoering van Dalerstraat 18.
De eigenaar van Dalerstraat 18 is op te vragen op deze pagina.
De informatie over dit adres is afkomstig uit officiële overheidsregistraties, voornamelijk de Basisregistratie Adressen en Gebouwen (BAG) en de Basisregistratie Kadaster (BRK). Deze gegevens worden beheerd door respectievelijk gemeenten en het Kadaster, en worden regelmatig bijgewerkt. Energielabelgegevens komen uit de database van de Rijksdienst voor Ondernemend Nederland (RVO).
