
Bloemfontein 65 is gelegen in de plaats Ermelo, de gemeente Ermelo en de provincie Gelderland. Het perceel waarop het adres gelegen is heeft een oppervlakte van 413 m². Het verblijfsobject is met 91 m² relatief klein. Het adres is klein vergeleken met andere objecten in de straat. Het grootste object in de straat heeft een oppervlakte van 132 m², het kleinste is 15 m² groot. In Nederland komt het grootste deel van de gebouwen uit de periode 1965-1984. Ook het bouwjaar van Bloemfontein 65 is afkomstig uit die periode: het betreft namelijk een pand uit 1971. Het gemiddelde bouwjaar in de straat is 1971 en dat van het oudste pand is 1971. Dit is het nieuwste object in de straat. De volgende gebruiksdoelen zijn geregistreerd voor dit adres: 'woonfunctie'.
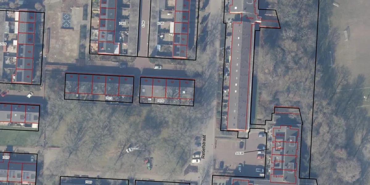
Het adres ligt op het perceel EML00-F-7070, dat zich in de kadastrale gemeente Ermelo bevindt. Het perceel is 413 m² groot. Dat is kleiner dan de gemiddelde perceeloppervlakte in Ermelo, dat op 5294,11 m² ligt. Het grootste perceel in de kadastrale gemeente is 3,90 km². Het kleinste perceel heeft een oppervlakte van 0 m². Er zijn 4 adressen aanwezig op het perceel. De laatste wijziging in het de Basisregistratie Kadaster (BRK) was op 28-12-2006.
Het adres ligt in een gebouw van het type 'twee-onder-een-kap / rijwoning hoek met het subtype rijwoning'. Bij de laatste meting is voor het adres het energielabel B geregistreerd. Het hoogste energielabel in de straat is A; het laagste is G. Het gemiddelde energielabel is er B. Het adres Bloemfontein 65 heeft als status: 'verblijfsobject in gebruik'. Het pand waarin dit adres ligt heeft als status: 'pand in gebruik'.
Bloemfontein 65 is een adres gelegen in de gemeente Ermelo, provincie Gelderland. Dit adres is geregistreerd in de Basisregistratie Adressen en Gebouwen (BAG) met als unieke identificatie 0233010000000312.
Het pand op Bloemfontein 65 is gebouwd in 1971, wat betekent dat het 55 jaar oud is. Dit is een ouder pand. Het pand heeft mogelijk aanzienlijke renovaties nodig om aan de huidige standaarden te voldoen.
De woning op Bloemfontein 65 heeft een gebruiksoppervlakte van 91 m². Dit is onder het gemiddelde vergeleken met de gemiddelde Nederlandse woning, die een oppervlakte heeft van ongeveer 119 m². De gebruiksoppervlakte is de maat die wordt gebruikt in de BAG-registratie, de landelijke registratie van de Nederlandse overheid.
Bloemfontein 65 heeft als functie: wonen. Deze gebruiksfunctie(s) zijn vastgelegd in de BAG-registratie en geven aan waarvoor het adres officieel mag worden gebruikt.
Bloemfontein 65 is gelegen op kadastraal perceel EML00F7070. Deze kadastrale aanduiding is uniek en wordt gebruikt door het Kadaster om eigendomsrechten en andere zakelijke rechten vast te leggen. Het perceel maakt onderdeel uit van de kadastrale gemeente Ermelo.
Het perceel waarop Bloemfontein 65 staat heeft een oppervlakte van 413 m². Dit is een groot perceel. De perceeloppervlakte wordt geregistreerd door het Kadaster. Gedetailleerde informatie over de maten van dit perceel kunt u vinden in het rapport Kadastrale kaart met maatvoering van Bloemfontein 65.
De eigenaar van Bloemfontein 65 is op te vragen op deze pagina
De informatie over dit adres is afkomstig uit officiële overheidsregistraties, voornamelijk de Basisregistratie Adressen en Gebouwen (BAG) en de Basisregistratie Kadaster (BRK). Deze gegevens worden beheerd door respectievelijk gemeenten en het Kadaster, en worden regelmatig bijgewerkt. Energielabelgegevens komen uit de database van de Rijksdienst voor Ondernemend Nederland (RVO).
