
Drieërweg 104-32 is gelegen in de plaats Ermelo, de gemeente Ermelo en de provincie Gelderland. De oppervlakte van het object bedraagt 29 m². Dat is klein vergeleken met het Nederlandse gemiddelde. Het perceel waarop het adres ligt is 6,9 ha groot. De oppervlakte van het adres is klein vergeleken met de andere objecten in de straat. De oppervlakte van het kleinste object in de straat bedraagt 3 m², terwijl het grootste object 1208 m² groot is. Het adres Drieërweg 104-32 ligt in een relatief oud pand uit het jaar null. Panden van vóór het jaar 1965 hebben we hier geclassificeerd als oud. Dit is het oudste object in de straat. Het nieuwste pand komt uit 2020 en het gemiddelde bouwjaar in de straat is 1984. Het verblijfsobject heeft de volgende gebruiksdoelen: 'standplaats'.
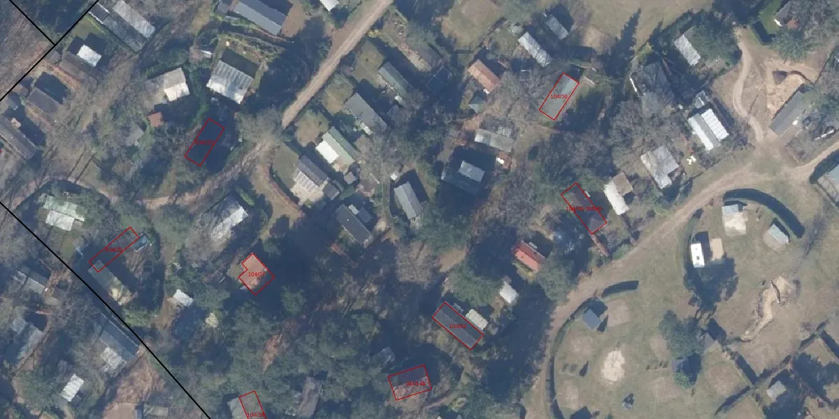
Het adres is gelegen op perceel 3096 in de sectie E en de kadastrale gemeente Ermelo. De kadastrale aanduiding is aldus EML00-E-3096. De gemiddelde perceeloppervlakte in de kadastrale gemeente Ermelo is 5293,14 m². Dit perceel is met zijn 6,9 ha dus groter dan gemiddeld. De grootste perceeloppervlakte in de kadastrale gemeente is 3,90 km². De kleinste oppervlakte bedraagt 0 m². Op het perceel zijn 107 adressen aanwezig. De laatste wijziging in het de Basisregistratie Kadaster (BRK) was op 24-02-2017.
Er is geen energielabel geregistreerd voor het adres. Het hoogste energielabel in de straat is A++; het laagste is G. Het gemiddelde energielabel is er C. Het adres Drieërweg 104-32 heeft als status: 'plaats aangewezen'. Het pand waarin dit adres ligt heeft als status: 'undefined'.
Drieërweg 104-32 is een adres gelegen in de gemeente Ermelo, provincie Gelderland. Dit adres is geregistreerd in de Basisregistratie Adressen en Gebouwen (BAG) met als unieke identificatie 0233039900022321.
De woning op Drieërweg 104-32 heeft een gebruiksoppervlakte van 29 m². Dit is relatief klein vergeleken met de gemiddelde Nederlandse woning, die een oppervlakte heeft van ongeveer 119 m². De gebruiksoppervlakte is de maat die wordt gebruikt in de BAG-registratie, de landelijke registratie van de Nederlandse overheid.
Drieërweg 104-32 heeft als functie: standplaats. Deze gebruiksfunctie(s) zijn vastgelegd in de BAG-registratie en geven aan waarvoor het adres officieel mag worden gebruikt.
Drieërweg 104-32 is gelegen op kadastraal perceel EML00E3096. Deze kadastrale aanduiding is uniek en wordt gebruikt door het Kadaster om eigendomsrechten en andere zakelijke rechten vast te leggen. Het perceel maakt onderdeel uit van de kadastrale gemeente Ermelo.
Het perceel waarop Drieërweg 104-32 staat heeft een oppervlakte van 6,9 ha. Dit is een zeer groot perceel. De perceeloppervlakte wordt geregistreerd door het Kadaster. Gedetailleerde informatie over de maten van dit perceel kunt u vinden in het rapport Kadastrale kaart met maatvoering van Drieërweg 104-32.
De eigenaar van Drieërweg 104-32 is op te vragen op deze pagina.
De informatie over dit adres is afkomstig uit officiële overheidsregistraties, voornamelijk de Basisregistratie Adressen en Gebouwen (BAG) en de Basisregistratie Kadaster (BRK). Deze gegevens worden beheerd door respectievelijk gemeenten en het Kadaster, en worden regelmatig bijgewerkt. Energielabelgegevens komen uit de database van de Rijksdienst voor Ondernemend Nederland (RVO).
