
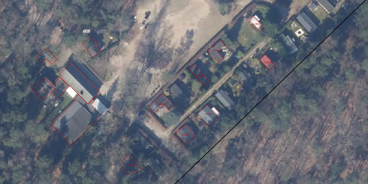
Drieërweg 119-28 is gelegen in de plaats Ermelo, de gemeente Ermelo en de provincie Gelderland. De oppervlakte van het verblijfsobject is met 261 m² aan de grote kant. Het perceel heeft een oppervlakte van 3,4 ha. Vergeleken met de andere verblijfsobjecten in de straat is dit object groot. De oppervlakte van het grootste object in de straat is 1208 m², die van het kleinste bedraagt 3 m². Het adres Drieërweg 119-28 ligt in een relatief oud pand uit het jaar null. Panden van vóór het jaar 1965 hebben we hier geclassificeerd als oud. Gemiddeld zijn de gebouwen in de straat gebouwd in 1984. Dit is het oudste pand in de straat. Het meest recente komt uit het jaar 2020. Het verblijfsobject heeft de volgende gebruiksdoelen: 'standplaats'.
Het adres is gelegen op perceel 1062 in de sectie E en de kadastrale gemeente Ermelo. De kadastrale aanduiding is aldus EML00-E-1062. De gemiddelde perceeloppervlakte in de kadastrale gemeente Ermelo is 5293,14 m². Dit perceel is met zijn 3,4 ha dus groter dan gemiddeld. De grootste perceeloppervlakte in de kadastrale gemeente is 3,90 km². De kleinste oppervlakte bedraagt 0 m². Op het perceel liggen in totaal 48 adressen. De laatste wijziging in het de Basisregistratie Kadaster (BRK) was op 05-06-2009.
Er is geen energielabel geregistreerd voor het adres. Het hoogste energielabel in de straat is A++; het laagste is G. Het gemiddelde energielabel is er C. Het adres Drieërweg 119-28 heeft als status: 'plaats aangewezen'. Het pand waarin dit adres ligt heeft als status: 'undefined'.
Drieërweg 119-28 is een adres gelegen in de gemeente Ermelo, provincie Gelderland. Dit adres is geregistreerd in de Basisregistratie Adressen en Gebouwen (BAG) met als unieke identificatie 0233039900022369.
De woning op Drieërweg 119-28 heeft een gebruiksoppervlakte van 261 m². Dit is ruim vergeleken met de gemiddelde Nederlandse woning, die een oppervlakte heeft van ongeveer 119 m². De gebruiksoppervlakte is de maat die wordt gebruikt in de BAG-registratie, de landelijke registratie van de Nederlandse overheid.
Drieërweg 119-28 heeft als functie: standplaats. Deze gebruiksfunctie(s) zijn vastgelegd in de BAG-registratie en geven aan waarvoor het adres officieel mag worden gebruikt.
Drieërweg 119-28 is gelegen op kadastraal perceel EML00E1062. Deze kadastrale aanduiding is uniek en wordt gebruikt door het Kadaster om eigendomsrechten en andere zakelijke rechten vast te leggen. Het perceel maakt onderdeel uit van de kadastrale gemeente Ermelo.
Het perceel waarop Drieërweg 119-28 staat heeft een oppervlakte van 3,4 ha. Dit is een zeer groot perceel. De perceeloppervlakte wordt geregistreerd door het Kadaster. Gedetailleerde informatie over de maten van dit perceel kunt u vinden in het rapport Kadastrale kaart met maatvoering van Drieërweg 119-28.
De eigenaar van Drieërweg 119-28 is op te vragen op deze pagina.
De informatie over dit adres is afkomstig uit officiële overheidsregistraties, voornamelijk de Basisregistratie Adressen en Gebouwen (BAG) en de Basisregistratie Kadaster (BRK). Deze gegevens worden beheerd door respectievelijk gemeenten en het Kadaster, en worden regelmatig bijgewerkt. Energielabelgegevens komen uit de database van de Rijksdienst voor Ondernemend Nederland (RVO).
